Potential imobiliar remarcabil, recomandat domeniului Petrolier si HoReCa, DN11,

1.400.000 €

Exterior Est, Sfântu Gheorghe

Sup. utilă / mp. utili:
704 mp
Tip prop.:
Centru comercial
Niv.:
2
An constr.:
1995 (Există)
  • • Comision 0%
  • • Locație aproximativă
  • • Vizionare prin apel video

Descriere spațiu comercial

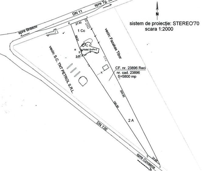
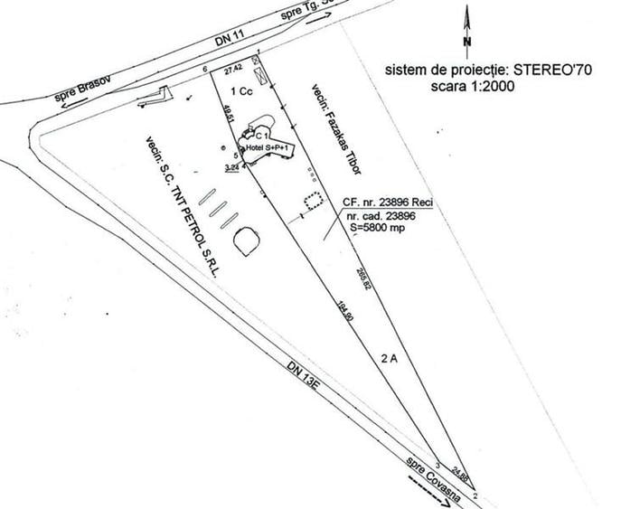
Comosion cumparator: 0% ASCENDENT IMOBILIARE COVASNA propune la vanzare fosta stație de alimentare cu carburant, respectiv MiniHotel in localitatea Reci, judetul Covasna, pe care o propunem spre achizitionare celor care au experimentat deja domeniul petrolier sau Horeca. Pentru confortul dumneavoastra va invitam sa faceti o prima vizionare, din locatia unde va aflati, chiar acum, prin accesarea filmului de prezentare pe care vi l-am pregatit, cu drag: Film prezentare: http: https: watch?v=rYXSCt9kKfo Va prezintam mai jos descrierea si cateva din avantajele locatiei: Fosta Benzinarie 1. se situeaza la intersectie drumurilor DN11 ( drum care face legatura intre Brasov si Bacau ) si DN13E ( drum intre Sfantu Gheorghe si Covasna ), cu un trafic intens greu semnificativ de 10. de vehicule pe zi, trafic ce merita exploatat. Benzinaria se afla la adresa: https: maps oU2SRkPMHLgCcoji6 2. aceasta statie de alimentare a detinut Autorizatie de mediu pentru functionare 3. are o suprafata de 11.500 mp, cu urmatoarele constructii: magazin "Shop" de 144 mp, o platforma tehnologica de 433 mp, si un depozit de carburant cu 80 mp suprafata la sol cu 6 rezervoare de combustibil (volum total: 129 mc). Un spatiu pentru o parcare de tiruri cu aproximativ 30 de locuri, un punct forte fata de celelalte statii din zona, lucru care ce duce la atragerea clientilor care alimenteaza cantitati mai mari de combustibil. Restaurant si MiniHotel S+P+1 Suprafata teren: 5800 mp Suprafat construita la sol: 330 mp Suprafata desfasurata 990 mp Suprafata utila 704 mp Atentie! - nu exista restaurante in zona, un restaurant nou ar fi un alt atu fata de concurenta ! Aceste avantaje ne fac sa fim increzatori in succesul acestui proiect si speram ca v-am trezit interesul pentru continuarea discutiilor. Pentru achizitionarea acestor proprietati asteptam cu interes o oferta ferma, in concordanta cu potentialul de business si proprietatile propuse la vanzare. Consilierii dedicati alesei oferte: domnul Ionel Manailescu, Telefon WhatsApp: si domnul Bicsak Laszlo, Telefon WhatsApp: Detalii, fotografii suplimentare si alte variante similare exclusive:
Citește mai mult Citește mai puțin
Căldură

Detalii spațiu comercial

ID anunț: X506145C2 Copiat! 274952622 Copiat!
Actualizat în: 14 Februarie 2026
Regim înălțime: P+2E+T
Stadiu construcție: Există

Utilități

Utilități
Apă Curent
Comision
0%

Certificat energetic:

Clasa energetică: C

Puncte de interes

Recreere
sports-ground
Teren sportiv
Terenuri sport aprox. 1893 m

Detalii de contact

ASCENDENT IMOBILIARE

Ionel Manailescu Sales Associate

ASCENDENT IMOBILIARE
PRO

Abonează-te la newsletter să fii primul care primește cele mai noi recomandări de proprietăți și sfaturi de la experți.

CONTACT

Creează alertă

Salvează căutarea ca să primești pe email ultimele anunțuri publicate

Spații comerciale cu 4+ camere de vânzare în zona Exterior Est, Sfântu Gheorghe