Teren 4.000 mp – Prelungirea Ghencea, Cartierul Latin – Potențial excelent de dezvoltare
Se oferă spre vânzare un teren în suprafață de 4.000 mp, amplasat în zona Prelungirea Ghencea – Cartierul Latin, o zonă aflată în plină expansiune, cu acces facil către centrul Capitalei și infrastructură completă.
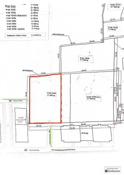
Caracteristici teren:
- suprafață totală: 4.000 mp
- dimensiuni: 78 m x 52 m
- acces din două direcții – din Cartierul Latin și dinspre Prelungirea Ghencea
- străzi asfaltate și iluminate
- toate utilitățile disponibile la teren
Regim urbanistic:
- regim de înălțime: P+6+7 retras (PUZ aprobat)
- posibilitate amenajare locuri de parcare
- se poate construi un imobil cu dimensiunile de 54,90 m lungime și 17,70 m lățime, cu o suprafață desfășurată de aproximativ 7.000 mp și 10 apartamente de 2 camere pe etaj
Avantaje zonă:
- transport public în apropiere
- cartier rezidențial în continuă dezvoltare
- acces rapid către centre comerciale, școli, grădinițe și alte facilități urbane
Terenul reprezintă o oportunitate excelentă de investiție pentru dezvoltatori imobiliari, fiind ideal pentru realizarea unui ansamblu rezidențial sau proiect mixt într-o zonă cu potențial ridicat de creștere.
Sediul central - Timișoara
Bulevardul Victor Babeș nr. 2, 300230, Timișoara, România
Tel: +40.374.40.44.98 / Fax: +40.256.401.179
Email: suport@imobiliare.ro
Luni - Vineri 08:00 - 20:00
Punct de lucru - București: Iride Business Park, Bld. Dimitrie
Pompeiu 9-9A, Clădirea B2B,
020335, Sector 2, București, România
CONTACT
Sediul central - Timișoara
Bulevardul Victor Babeș nr. 2, 300230, Timișoara, România
Tel: +40.374.40.44.98 / Fax: +40.256.401.179
Email: suport@imobiliare.ro
Luni - Vineri 08:00 - 20:00
Punct de lucru - București: Iride Business Park, Bld. Dimitrie
Pompeiu 9-9A, Clădirea B2B,
020335, Sector 2, București, România
Dacă te vei muta în această zonă a Capitalei, nu vei avea acces direct la nicio stație de metrou. Cele mai apropiate se află pe magistrala 5 inaugurată recent în Drumul Taberei. În schimb, vei putea să călătorești cu autobuzul, iar 222 de va ajuta să ajungi în vecinătatea unei stații de metrou. Linia 122 îți va fi, cel mai probabil, și ea de mare ajutor. Ruta sa pornește din complexul Cartierul Latin, parcurge Bulevardul Prelungirea Ghencea, ajunge în zona Eroilor și are capătul în Piața Universității. Pentru a te deplasa mai ușor prin zonă ai putea să apelezi, totodată, la linia de autobuz 185. Consultă harta și vezi unde găsești stațiile mijloacelor de transport în comun din zona Prelungirea Ghencea.
În această zonă găsim câteva unități de învățământ. Printre acestea amintim Școala Gimnazială nr. 144 și Școala Gimnazială nr. 279, ambele aflate pe șoseaua Prelungirea Ghencea. În plus, aici vei avea la dispoziție și Școala Gimnazială ProIngenio și câteva grădinițe private. Unele dintre cele mai apropiate licee de zona Prelugirea Ghencea sunt Liceul Teoretic "Eugen Lovinescu" și Colegiul Național "Elena Cuza". Vezi aici ce alte unități de învățământ găsești în zona în care îți cauți o nouă locuință.
Dacă te hotărăști să te muți în zona Prelungirea Ghencea, vei avea câteva magazine la dispoziție de unde îți vei putea face cumpărăturile. Probabil cel mai cunoscut în rândul locuitorilor de aici este supermarketul Mega Image aflat la intersecția dintre Prelungirea Ghencea și Strada Valea Oltului. În apropiere găsești și un Profi. Pe șoseaua Prelungirea Ghencea mai găsești câteva magazine, printre care un Lidl. În zona cartierului Latin ai la dispoziție un Mega Image, un magazin Penny și un Profi. Vei găsi mai multe magazine alimentare mari pe Strada Valea Oltului, spre zona cartierului Brâncuși. Cel mai apropiat mall pe care îl vei avea la dispoziție va fi Plaza România. La doi pași de acesta se află și mall-ul AFI Cotroceni. Cu mașina poți să ajungi destul de ușor la cumpărături la complexul comercial Vulcan Value Center sau la Liberty Mall. Dacă ești în căutare de mobilier pentru nou ta locuință, atunci e bine să știi că pe Bulevardul Ghencea găsești numeroase magazine dedicate. Consultă harta pentru a găsi cele mai apropiate magazine de viitoarea ta locuință.
Dacă mergi des cu mașina, e bine să știi că pe principala arteră de circulație din cartier, șoseaua Prelungirea Ghencea, traficul este destul de îngreunat, mai ales în zona de la ieșirea din București spre șoseaua de centură. Aici au fost demarate și lucrările de construcție pentru pasajul suprateran Prelungirea Ghencea-Domnești. Pentru că numărul locurilor de parcare din zona Prelungirea Ghencea este destul de limitat, îți recomandăm să te interesezi la Serviciul Parcaje Scop Reședință din cadrul ADP Sector 5 sau la Serviciul Parcaje al ADP Sector 6 dacă poți închiria un astfel de spațiu în apropierea viitoarei tale locuințe. Dacă te gândești să te muți într-un ansamblu rezidențial nou, discută cu dezvoltatorul și vezi cât te-ar costa și un loc de parcare. Vezi pe hartă unde sunt poziționate cele mai mari parcări din cartier.
Stadionul Steaua București este un punct important al zonei Ghencea. Acesta a trecut printr-un proces de modernizare și dispune de o arenă nouă cu o capacitate de peste 30.000 de locuri. În imediata sa vecinătate se află Bazinul de Înot Steaua București, unde tu sau copilul tău puteți participa la cursuri de inițiere, dar și de perfecționare. Ideal pentru micuțul tău ar putea fi și terenul de joacă acoperit pe care îl găsești pe șoseaua Prelungirea Ghencea, lângă Drumul Valea Ursului. Îți place să joci tenis sau fotbal alături de prietenii tăi? Atunci o bună opțiune de întâlnire poate fi complexul sportiv aflat pe Strada Bascov care pune la dispoziție contra cost astfel de terenuri, dar și o sală de fitness. În zonă nu vei avea niciun parc de mari dimensiuni. Cu toate acestea, în apropiere casei tale se va afla Parcul Drumul Taberei (fostul Moghioroș) care a fost modernizat recent și cuprinde și un lac de agrement. Pentru a ajunge la cel mai apropiat mall, Plaza România, va trebui să mergi, cel mai probabil, cu mașina. Găsești pe hartă mai multe puncte de interes în vecinătatea zonei Prelungirea Ghencea.
Principala clinică la care vei putea apela la nevoie în cazul în care hotărăști să te muți în această zonă din sud - vestul Bucureștiului este Ghencea Medical Center, care acoperă peste 25 de specialități. De menționat este și faptul că în această zonă nu există niciun spital de stat de mari dimensiuni. Există însă mai multe clinici private la care poți apela în cartierul vecin, Drumul Taberei. Găsești pe harta de mai jos localizarea unităților medicale din împrejurimi.
Găsești câteva restaurante și pizzerii pe de-a lungul principalei artere de circulație din cartier, șoseaua Prelungirea Ghencea. Altele pe strada Valea Oltului din apropiere. Pentru mai multă diversitate poți să mergi cu mașina la mall-urile Plaza România și AFI Cotroceni care dispun de food court-uri destul de variate. Aruncă o privire pe hartă și vezi care sunt cele mai apropiate restaurante, terase și cafenele de viitoarea ta casă.
Câteva bancomate pot fi găsite pe șoseaua Prelungirea Ghencea și pe Bulevardul Ghencea. Consultă harta pentru detalii.
Înainte să pleci...
Ești sigur că ai văzut și aceste proprietăți?
900.000 €
București, Prelungirea Ghencea
7.500 mp teren
Construcții
1.000.000 €
București, Prelungirea Ghencea
4.000 mp teren
Construcții
935.055 €
București, Prelungirea Ghencea
5.667 mp teren
Construcții
Creează alertă
Salvează căutarea ca să primești pe email ultimele anunțuri publicate
Terenuri construcții de vânzare în zona Prelungirea Ghencea, Sector 6
Cere detalii prin email
*
*
*
*
Detaliile tale de contact vor fi partajate cu Av Imobiliare