Spalatorie auto, spatii comerciale, b-dul N. Romanescu

749.000 €

Romanești, Craiova

Sup. utilă / mp. utili:
360 mp
Tip prop.:
Centru comercial
Niv.:
1
  • • Locație aproximativă

Descriere spațiu comercial

Blitz va propune o superafacere la cheie in incinta unui ansamblu comercial unde se desfasoara urmatoarele activitati: la parter, spalatorie, vulcanizare cu aparatura de ultima generatie, frizerie, jocuri de noroc, mini bar, mini market, un foisor terasa pentru clienti, proprietarul avand contract de inchiriere cu acestia pana la finele anului 2027 cu drept de prelungire. De asemenea in incinta acestui ansamblu, la etaj se afla un apartament in suprafata de 73 mp, doua dormitoare, o baie generoasa si un salon de evenimente. Pentru mai multe detalii, nu ezitati sa ne contactati. Va asteptam la vizionare! Cod oferta / ID BLITZ: P153719 Nr grupuri sanitare: 2 Nr incaperi: 8 Utilitati - Sistem incalzire (Centrala proprie,Calorifere); Climatizare (Aer conditionat); Utilitati generale (Curent,Curent trifazic,Apa,Canalizare,Gaz,Telefon) Finisaje - Podele (Gresie,Parchet); Iluminat (Exterior cladire,Lumina naturala) Dotari - Contorizare (Apometre,Contor caldura,Contor gaz) pret vanzare: 749000 moneda vanzare: EUR Disponibilitate proprietate: imediat
Citește mai mult Citește mai puțin
3 Parcări

Detalii spațiu comercial

ID anunț: X3SH143R3 Copiat! 275242435 Copiat!
Actualizat în: 10 Martie 2026
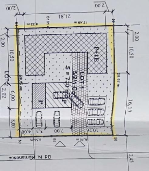
Suprafață utilă: 360 mp
Regim înălțime: P+1E

Utilități

Contorizare
Apometre Contor căldură Contor gaz
Mobilat
Mobilat
Utilități
Curent Apă Canalizare Gaze Curent trifazic Telefon
Sistem încălzire
Centrală proprie Calorifere
Climatizare
Aer condiționat
Podele
Parchet Gresie
Comision
%

Puncte de interes

Mijloace transport
bus-station
Potelu
Stații autobuz aprox. 249 m
airport
Aeroclubul Balta-Verde
Aeroporturi aprox. 419 m
bus-station
Romanesti
Stații autobuz aprox. 422 m
bus-station
Lactido
Stații autobuz aprox. 633 m
Școală
school
Liceul Tehnologic de Transporturi Auto
Școli aprox. 623 m
school
Scoala Gimnaziala Gheorghe Bibescu
Școli aprox. 1121 m
university
Facultatea de Medicina
Universități aprox. 1958 m
university
Campus Medicina
Universități aprox. 1958 m
Recreere
pub
Dream On Pub
Pub aprox. 233 m
restaurant
Flormang Craiova
Restaurant aprox. 246 m
park
Parc
Parcuri aprox. 586 m
supermarket
Pelendava
Supermarket aprox. 1454 m

Proprietăți similare

Spațiu industrial, de 1,750 mp, în Brestei
695.000 €
Craiova, Brestei
1.750 mp utili
Logistică
Spațiu industrial, de 1,976.7 mp, în Bariera Vâlcii
760.000 €
Craiova, Bariera Vâlcii
1.976,7 mp utili
Logistică
1E
Hotel/Pensiune, de 528.56 mp, în Central
790.000 €
Craiova, Central
528,56 mp utili
1E

Detalii de contact

Abonează-te la newsletter să fii primul care primește cele mai noi recomandări de proprietăți și sfaturi de la experți.

CONTACT

Creează alertă

Salvează căutarea ca să primești pe email ultimele anunțuri publicate

Spații comerciale de vânzare în zona Romanești, Craiova