Teren liber de inchiriat | Sos Oltenitei | acces facil | Zona A2B

6.600 € + TVA / lună
1.50 € + TVA / mp / lună

Olteniței, București

Sup. teren:
4.400 mp
Tip:
Construcții
  • • Exclusivitate
  • • Locație exactă

Descriere spațiu comercial

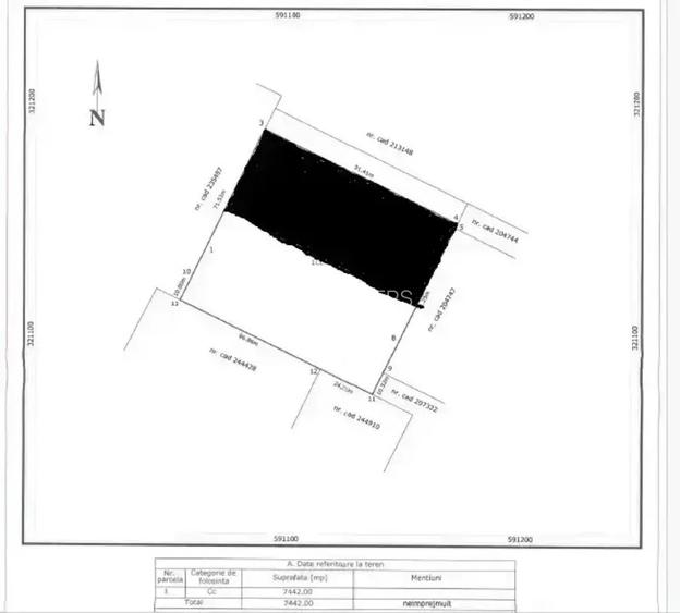
Va propunem spre inchiriere un teren pe Sos. Oltenitei in suprafata totala de 4.400 mp, din care 250 mp drum de acces. Pretul chiriei variaza in functie de perioada inchiriabila. In cazul in care se inchiriaza pe termen scurt insemnand 1- 2 ani chiria este 6.600 Euro + Tva/luna. In cazul in care se inchiriaza pe termen mediu si lung chiria este de 8.800 Euro + Tva/luna. Terenul este incadrat in zona A2B conform P.U.G. indicatorii sunt CUT Volumetric maxim 15%, POT maxim 80%, H maxim 20 m. Pentru detalii si vizionari Alin Cirstea tel: sau VAUNT ID: 102385
Citește mai mult Citește mai puțin
Electricitate Apă Gaz Canalizare

Detalii spațiu comercial

ID anunț: X7QH1309J Copiat! 270568477 Copiat!
Actualizat în: 04 Februarie 2026
Clasificare teren: Intravilan
Front stradal: 6 m
Nr. fronturi stradale: 1
P.O.T.: 80%
C.U.T.: 15
Sursa coef. urbanistici: P.U.G.
Regim înălțime: 20 m

Utilități

Destinație
Industrial Comercial
Utilități
Curent trifazic
Amenajare străzi
Asfaltate Mijloace de transport în comun Iluminat stradal
Alte caracteristici
Acces auto
Comision
o luna%

Puncte de interes

Mijloace transport
tram-station
Soseaua Vitan-Barzesti
Stații tramvai aprox. 191 m
tram-station
Statia Soseaua Oltenitei / Soseaua Vitan-Barzesti, linia 11
Stații tramvai aprox. 211 m
bus-station
Statia Soseaua Oltenitei / Soseaua Vitan-Barzesti, linia 634, N106, 202
Stații autobuz aprox. 234 m
metro-station
Aparatorii Patriei (M2)
Stații metrou aprox. 787 m
Școală
school
Scoala Gimnaziala Speciala Sfantul Nicolae
Școli aprox. 513 m
school
Grupul Industrial "Dacia"
Școli aprox. 516 m
kindergarten
Gradinita "Panseluta", nr.166
Gradinițe aprox. 533 m
university
Universitatea Spiru Haret
Universități aprox. 842 m
Recreere
supermarket
Kaufland Oltenitei
Supermarket aprox. 154 m
sports-ground
Teren sportiv
Terenuri sport aprox. 497 m
park
Loc de Joaca
Parcuri aprox. 497 m
mall
Cora Sun Plaza
Mall aprox. 1925 m

Proprietăți recomandate

Detalii de contact

R&D ADVISERS

Alin Cirstea Project Manager

5.00(3 review-uri)

R&D ADVISERS
PRO

Abonează-te la newsletter să fii primul care primește cele mai noi recomandări de proprietăți și sfaturi de la experți.

CONTACT

Creează alertă

Salvează căutarea ca să primești pe email ultimele anunțuri publicate

Spații comerciale de închiriat în zona Olteniței, Sector 4