Teren 518mp(370.4mp+cota dr+cota sp. verde),drum 7ml. asfalt,toate utilitatile!

85.470 € + TVA
165 € + TVA / mp

Otopeni, Județul Ilfov

Sup. teren:
518 mp
Tip:
Construcții
  • • Locație aproximativă

Descriere teren

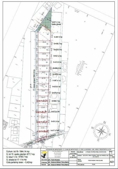
Teren intravilan construibil in suprafata totala de 518mp din care 370,4mp s.utila si restul cota drum de acces +cota din "zona verde"- parc ce va fi in coproprietate in cote indivize conform loturilor din viitorul cartier . Terenul se afla in zona strict rezidentiala conform Pug Otopeni si are deschidere de 15ml la drum privat ce are o latime de 7ml ,strada asfaltata si cu toate utilitati!e trase la fiecare lot in parte.Terenul in schita din prezentare este "lot 5"! LOTURI DE VANZARE PRET=165 euro mp, raportat la suprafata totala-rezultata din suprafata utila a fiecarui lot+cota drum+cota spatiu verde,respeciv : LOT 5 = suprafata totala 518mp ,370,4mp utili +, cotele din drumul de acces si zona spatiu verde. LOT 6 = suprafata totala 530mp ,378,6mp utili +, cotele din drumul de acces si zona spatiu verde LOT 7 = suprafata totala 542,4mp ,387,4mp utili +, cotele din drumul de acces si zona spatiu verde LOT 8 = suprafata totala 555mp ,395,6mp utili +, cotele din drumul de acces si zona spatiu verde LOT 9 = suprafata totala 566mp ,404,2mp utili +, cotele din drumul de acces si zona spatiu verde LOT 10 = suprafata totala 578mp ,412,6mp utili +, cotele din drumul de acces si zona spatiu verde LOT 11 = suprafata totala 590mp ,421,2mp utili +, cotele din drumul de acces si zona spatiu verde LOT 12 = suprafata totala 601mp ,429,5mp utili +, cotele din drumul de acces si zona spatiu verde LOT 13 = suprafata totala 572mp ,408,7mp utili +, cotele din drumul de acces si zona spatiu verde LOT 14 = suprafata totala 1243mp ,887,9mp utili +, cotele din drumul de acces si zona spatiu verde LOT 15 = 887,7mp- spatiu verde,parc,loc de joaca-intra in proprietatea privata in cote iondivize,a tuturor detinatorilor de loturi din cartier DESCHIDERILE LA STRADA,DIMENSIUNILE FIECARUI LOT,SUPRAFETELE UTILE, LOCALIZAREA....SUNT PREZENTATE IN SCHITA CADASTRALA DIN FOTO 2 PREZENTARE
Citește mai mult Citește mai puțin
Electricitate Apă Gaz Canalizare

Detalii teren

ID anunț: X2DS030MQ Copiat! 22239779 Copiat!
Actualizat în: 05 Octombrie 2024
Clasificare teren: Intravilan
Front stradal: 15 m
Nr. fronturi stradale: 1
P.O.T.: 40%
C.U.T.: 1.2
Sursa coef. urbanistici: P.U.G.
Lățime drum acces: 7 m
Regim înălțime: 10 m

Utilități

Destinație
Rezidențial
Utilități
Curent trifazic Utilități în zonă
Amenajare străzi
Asfaltate Mijloace de transport în comun Iluminat stradal
Alte caracteristici
La șosea Acces auto
Comision
2%

Vecinătăți:

cartier rezidential,parc,gradinita,stadion,loc de joaca,supermarket,DN1

Alte detalii despre preț:

pretul afisat include toate utilitatile trase la fiecare lot,respectiv canalizare,apa,gaze,curent electric

Puncte de interes

Mijloace transport
bus-station
Statia Amco, linia 783
Stații autobuz aprox. 955 m
bus-station
Statia Sat Odai, linia 304
Stații autobuz aprox. 1172 m
bus-station
Statia Pasaj Otopeni, linia 149,304
Stații autobuz aprox. 1297 m
bus-station
Statia I.C.S.I.M, linia 304
Stații autobuz aprox. 1539 m
Școală
kindergarten
Gradinita cu program prelungit nr. 2 Otopeni
Gradinițe aprox. 933 m
school
Liceul Teoretic Ioan Petrus - Corp 1
Școli aprox. 1434 m
university
Academia Națională de Informații "Mihai Viteazul"
Universități aprox. 1762 m
kindergarten
Gradinita numarul 1
Gradinițe aprox. 1949 m
Recreere
restaurant
Complexul Ambasad'Or
Restaurant aprox. 677 m
sports-ground
Teren sportiv
Terenuri sport aprox. 940 m
park
La Lac
Parcuri aprox. 1453 m
supermarket
Mega Image Otopeni
Supermarket aprox. 1774 m

Detalii de contact

PAUNIMOBILIARE

PAUN IONUT ALEXANDRU administrator

PAUNIMOBILIARE

Abonează-te la newsletter să fii primul care primește cele mai noi recomandări de proprietăți și sfaturi de la experți.

CONTACT

Creează alertă

Salvează căutarea ca să primești pe email ultimele anunțuri publicate

Terenuri construcții de vânzare în Otopeni, Județul Ilfov