Bistrita Lac - casa + teren

189.000 €

Bistrița Lac, Bacău

Sup. utilă / mp. utili:
180 mp
An constr.:
1999 (Există)
  • • Exclusivitate
  • • Locație exactă
  • • Vizionare prin apel video

Descriere spațiu comercial

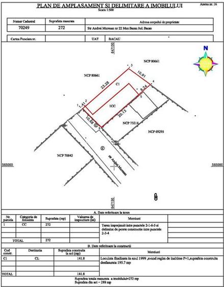
🏡 De vânzare – Casă în cartierul Bistrița Lac, str. Andrei Mureșanu, Bacău Vă propunem spre achiziție o proprietate amplasată într-unul dintre cele mai apreciate cartiere din Bacău – Bistrița Lac, pe strada Andrei Mureșanu. Imobilul este compus din două corpuri de clădire: Casa veche – construită înainte de 1989 din cărămidă, parter + pod, renovată în anii ’90. Casa nouă (P+1) – construită în 1999, din cărămidă, cu acces la etaj printr-o scară metalică exterioară. 📐 Date tehnice: Suprafață construită totală: 196 mp Suprafață construită la sol: 142 mp Suprafață teren: 272 mp Deschidere stradală: aprox. 11 ml 🔌 Utilități: apă, gaz, curent electric, canalizare. 👉 Imobilul necesită lucrări de modernizare, însă structura este solidă și oferă multiple posibilități de compartimentare și amenajare. 💰 Preț: 189.000 euro – o oportunitate excelentă pentru cei care își doresc un spațiu de lucru într-o zonă de mare interes. 📞 Pentru detalii și programarea unei vizionări: – Florin Dudău, Consultant Imobiliar PROHOUSE.
Citește mai mult Citește mai puțin

Detalii spațiu comercial

ID anunț: X0QL1407L Copiat! 275388221 Copiat!
Actualizat în: 01 Aprilie 2026
Tip tranzacție: De vânzare prin agent
Clasă birouri: C
Stadiu construcție: Există
Suprafață teren: 272 mp
Modalitate de plată: Cash sau Credit

Utilități

Comision
3%

Puncte de interes

Mijloace transport
bus-station
Statia Piata Centrala
Stații autobuz aprox. 203 m
bus-station
Statia Arena Mall
Stații autobuz aprox. 1184 m
bus-station
Statia Gara
Stații autobuz aprox. 1769 m
bus-station
Gara Bacau
Stații autobuz aprox. 1858 m
Școală
school
Scoala Gimnaziala Platon
Școli aprox. 169 m
university
Universitatea George Bacovia
Universități aprox. 1038 m
university
block B
Universități aprox. 1587 m
school
Scoala Gimnaziala Nr.10
Școli aprox. 1989 m
Recreere
sports-ground
Teren sportiv
Terenuri sport aprox. 141 m
supermarket
Kaufland
Supermarket aprox. 384 m
park
Parcul Catedralei
Parcuri aprox. 487 m
restaurant
Viking's
Restaurant aprox. 678 m

Proprietăți similare

Spațiu comercial, 240 mp în Republicii
200.000 €
Bacău, Republicii
240 mp utili
Spațiu stradal
1E
Spațiu comercial, de 93 mp, în Est
199.900 €
Județul Bacău, Onești
93 mp utili
Centru comercial
1983
Spațiu industrial, de 220 mp, în Ștefan cel Mare
179.000 €
Bacău, Ștefan cel Mare
220 mp utili
Logistică
1E

Detalii de contact

PROHOUSE

Florin Dudau Proprietar Agentie

4.11(3 review-uri)

PROHOUSE
PRO

Abonează-te la newsletter să fii primul care primește cele mai noi recomandări de proprietăți și sfaturi de la experți.

CONTACT

Creează alertă

Salvează căutarea ca să primești pe email ultimele anunțuri publicate

Spații comerciale cu 4+ camere de vânzare în zona Bistrița Lac, Bacău