Direct proprietar, persoana juridica vand casa cu regim de inaltime P+M, si anexa, amplasate in zona mediana a localitatii Carandeni, comuna Lazareni, la cca. 29 km de mun Oradea.
Aceasta este amplasata langa strada principala a localitatii, intr-o zona rezidentiala cu case de locuit. Accesul se realizeaza din drumul asfaltat al localitatii, ce deriva din DJ 768 Hidiselu de Jos la o distanta de cca 900 m.
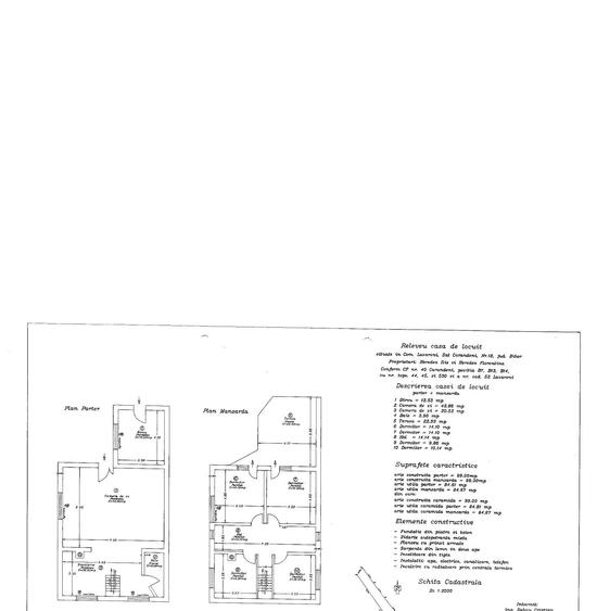
Proprietatea este compusa din casa de locuit construita in 2007 P+M cu anexa demisol si terasa + teren de 1000 mp,
Utilitati: curent electric, apa, si canalizare.
C1- Casa are suprafata desfasurata de 198 mp, compartimentare: la parter birou cu grup sanitar, living cu bucatarie si baie: iar la mansarda 4 dormitoare, baie, casa scarii.
Casa are finisaje medii, si are lipsa obiecte sanitare in bucatarie, si bai, lipsa calorifere, lipsa corpuri de iluminat, lipsa scara la mansarda, lipsa centrala termica.
Structura constructiva: fundatii din piatra si beton armat cu suprastructura din caramida; inchiderile exterioare sunt realizate din zidarie portanta mixta si cadre din beton armat. Compartimentarile interioare sunt din zidarie din caramida. Acoperisul este pe sarpanta din lemn cu invelitoarea din tigla.
C2 - constructia in regim de inaltime demisol este alipita de C1. Constructia are urmatoarea structura: fundatii din beton, suprastructura din beton armat si inchideri din caramida. Constructia C2 are pardoseli din gresie si peretii sunt placati cu faianta.
Pe teren exista inca o constructie de tip sopron pe structura din lemn, neinscrisa in CF.
Terenul are suprafata de 1000 mp , este plan are forma aproape dreptunghiulara si front la drumul principal al localitatii de 7,46 ml.
Citește mai mult
Citește mai puțin
Nemobilat
3 Parcări
1 Garaj
Necesită renovare
Zonă rurală
Sediul central - Timișoara
Bulevardul Victor Babeș nr. 2, 300230, Timișoara, România
Tel: +40.374.40.44.98 / Fax: +40.256.401.179
Email: suport@imobiliare.ro
Luni - Vineri 08:00 - 20:00
Punct de lucru - București: Iride Business Park, Bld. Dimitrie
Pompeiu 9-9A, Clădirea B2B,
020335, Sector 2, București, România
CONTACT
Sediul central - Timișoara
Bulevardul Victor Babeș nr. 2, 300230, Timișoara, România
Tel: +40.374.40.44.98 / Fax: +40.256.401.179
Email: suport@imobiliare.ro
Luni - Vineri 08:00 - 20:00
Punct de lucru - București: Iride Business Park, Bld. Dimitrie
Pompeiu 9-9A, Clădirea B2B,
020335, Sector 2, București, România
Sună acum și cere detalii sau programează o vizionare.
Cere detalii prin email
*
*
*
*
Înainte să pleci...
Ești sigur că ai văzut și aceste proprietăți?
45.000 €
Județul Bihor, Cresuia
5 camere
150 mp
4.564 mp teren
53.900 €
Județul Bihor, Livada de Bihor
3 camere
68 mp
568 mp teren
53.500 €
Județul Bihor, Valea Crișului
4 camere
102 mp
830 mp teren
115.000 €
Județul Bihor, Remeți
4 camere
84 mp
430 mp teren
79.900 €
Județul Bihor, Sântimreu
3 camere
80 mp
1.184 mp teren
45.000 €
Județul Bihor, Săcueni
4 camere
105 mp
3.000 mp teren
Creează alertă
Salvează căutarea ca să primești pe email ultimele anunțuri publicate
Case și vile cu 4+ camere de vânzare în Lăzăreni, Județul Bihor
Cere detalii prin email
*
*
*
*
Detaliile tale de contact vor fi partajate cu Asset Portfolio Servicing Romania Srl
Preț total299.653 RON (58.808 €)
Costuri cu achiziția4.120 RON
Preț de achiziție295.533 RON
Costuri cu achiziția4.120 RON
Comision agenție Întreabă agenţia
Onorariu notarial3.677 RON
Taxă înscriere OCPI443 RON
Preț de achiziție295.533 RON
Preț locuință295.533 RON
TVA 0%Inclus în prețul cerut
Cost total51.741 RON (10.154 €)
Avans (15%)44.330 RON
Cost achitat în prima lună2.078 RON
Costuri cu achiziția5.333 RON
Cost achitat în prima lună2.078 RON
Comision analiză dosar
400 RON - 900 RON
Taxă evaluare imobil(până la)
900 RON
Rata lunară (variabilă)1.316 RON
Asigurare anuală imobil296 RON
Arhivă electronică102 RON
Poliță PAD130 RON
Asigurare de viață/lună Costul este variabil. În funcție de banca aleasă, procentul variază între 0.0259% și 0.035% din soldul creditului.
Costuri cu achiziția5.333 RON
Comision agenție Întreabă agenţia
Onorariu notarial3.677 RON
Taxă întabulare OCPI443 RON
Autentificare contract credit1.213 RON
Preț de achiziție295.533 RON
Preț locuință295.533 RON
TVA 0%Inclus în prețul cerut
Preț de achiziție295.533 RON
Preț locuință295.533 RON
TVA 0%
Inclus în prețul cerut
Avans minim14.777 RON
Credit pe 30 de ani280.756 RON
Cost achitat în prima lună
Taxa evaluare imobil(până la)
900 RON
Rata lunară (variabilă)1.973 RON
Depozit colateral5.919 RON
Comision de garantare FNGCIMM25 RON
Asigurare anuală imobil296 RON
Poliță PAD130 RON
Tarif arhivă electronică102 RON
Costuri adiționale436 RON + taxe notariale
Asigurare viață și complexă (opțională)Costul este variabil. În funcție de banca aleasă, procentul variază între 0.0259% și 0.035% din soldul creditului
Onorariu notarialconform tarif notarial
Taxă întabulare OCPI436 RON
i
Toate valorile de mai sus sunt estimative și nu reprezintă în mod obligatoriu costurile exacte pe care le veți primi de la companiile/instituțiile prin care veți încheia tranzacția.