2

Vila P+1E+M - direct proprietar

184.900 €

1 Mai, Piatra-Neamț

Nr. cam.:
8
Sup. utilă:
254 mp
Sup. teren:
400 mp
Tip prop.:
Individuală
  • • Locație exactă

Descriere casă

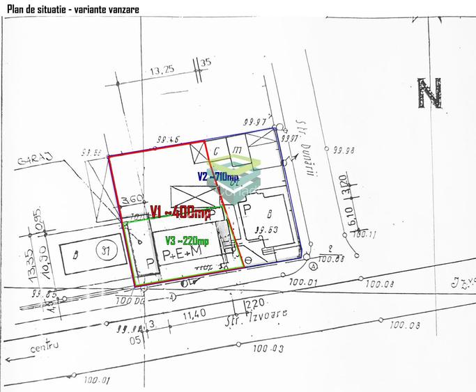
Vand vila P+1E+M plus teren in suprafata de aproximativ 400mp (v1 - contur rosu din schita), cu posibila extindere pana la aproximativ 710mp (v2 - contur albastru din schita). Proprietatea este localizata pe strada recent reabilitata cu trotuare largi si rigole ape pluviale, cu statie de autobuz foarte aproape si are o deschidere de ~18m la aceasta. Poate fi mai lunga si poate avea si o a doua deschidere la strada secundara, asfaltata, in cazul achizitiei integrale (impreuna cu casa alaturata plus terenul aferent). Imobilul se preteaza excelent atat pentru locuit cat si pentru o mica afacere de familie: pensiune, spatiu comercial, birouri, productie non-poluanta, etc. Utilitati: apa, canal, curent, gaze, internet si cablu tv pe fibra optica. Incalzire cu centrala termica pe gaz + panou solar pt apa calda. Parterul este renovat in mare parte (2022-2023), tabla noua pe acoperis (2022), fatada noua (2023). Pretul de vanzare pentru achizitia in varianta 1 este de 184.900 euro - negociabil. In varianta achizitiei integrale (v2 - 710mp) pe diferenta de teren sunt contruite: o casa din caramida (doua camere + bucatarie + baie), o anexa gospodareasca (bucatarie de vara cu gaze trase) si o magazie cu beci - Pretul se va negocia pentru aceasta varianta. Direct proprietar.
Citește mai mult Citește mai puțin
Parțial mobilat Grădină Curte Calorifere Centrală proprie Zonă de deal / munte

Detalii casă

ID anunț: X4CO110QL Copiat! 274891911 Copiat!
Actualizat în: 31 Martie 2026
Tip tranzacție: De vânzare prin agent
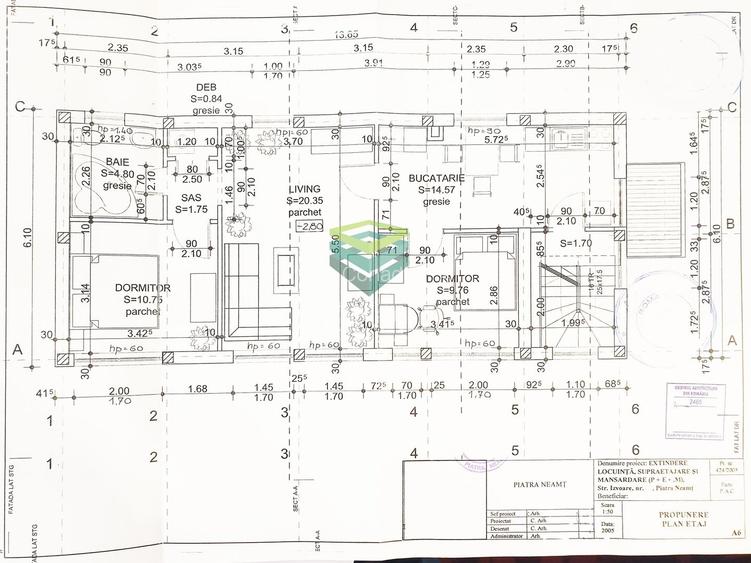
Suprafață construită: 155 mp
Suprafață desfășurată: 312 mp
Nr. bucătării: 2
Nr. băi: 3
Nr. balcoane / Terase / Logii: 1
Front stradal: 18.0 m
Învelitoare acoperiș: Tabla
An construcție: 2005 (Finalizată)
Structură rezistență: BCA
Regim înălțime: P+1E+M
Modalitate de plată: Cash sau Credit

Utilități

Pereți
Faianță Vopsea lavabilă
Podele
Gresie Parchet
Ușă intrare
Metal
Izolații termice
Exterior
Ferestre cu geam termopan
PVC
Contorizare
Apometre Contor gaz
Bucătărie
Mobilată
Electrocasnice
Aragaz Frigider Hotă TV
Diverse
Scară interioară
Utilități
Curent Apă Canalizare CATV Curent trifazic Gaze Telefon
Internet
Cablu
Amenajare străzi
Iluminat stradal Mijloace de transport în comun Asfaltate
Comision
standard

Disponibilitate proprietate:

Imediat

Puncte de interes

Școală
school
Scoala Nr. 1
Școli aprox. 970 m
Recreere
supermarket
Galleria Mall
Supermarket aprox. 808 m
restaurant
La Sultan
Restaurant aprox. 815 m
park
Parc
Parcuri aprox. 1438 m
bar
Red Rock
Bar aprox. 1565 m

Detalii despre preț și costuri

Costuri cu achiziția

Fără credit
Credit ipotecar
Noua casă

i

Costuri adiționale mai puțin știute la achiziție: taxe notariale, comisioane etc.

Acces la informații premium după autentificare
Login Gratuit

Proprietăți similare

Casă cu 5 camere în 1 Mai
200.000 €
Piatra-Neamț, 1 Mai
5 camere
200 mp
420 mp teren
Casă cu 4 camere în Exterior Vest
190.000 €
Piatra-Neamț, Exterior Vest
4 camere
200 mp
1.000 mp teren
Casă cu 4 camere în Nord
170.000 €
Piatra-Neamț, Nord
4 camere
160 mp
550 mp teren

Detalii de contact

Conadi

Dragos Faca

Conadi
PRO

Abonează-te la newsletter să fii primul care primește cele mai noi recomandări de proprietăți și sfaturi de la experți.

CONTACT

Creează alertă

Salvează căutarea ca să primești pe email ultimele anunțuri publicate

Case și vile cu 4+ camere de vânzare în zona 1 Mai, Piatra-Neamț