Oferta urgenta! Teren 2519 mp + constructie 68 mp — Pret atractiv

37.000 €

Govora, Județul Vâlcea

Nr. cam.:
2
Sup. utilă:
68 mp
Sup. teren:
2.519 mp
Tip prop.:
Individuală
  • • Comision 0%
  • • Locație exactă

Descriere casă

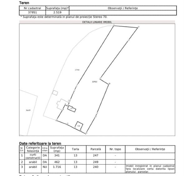
Se vinde imobil situat în Loc. Govora, com. Mihăești, județul Vâlcea, compus din teren intravilan și extravilan, construcție tip locuință individuală. Date teren Suprafață totală: 2.519 mp -Teren compus din: curți construcții: 341 mp (intravilan) -intravilan: 462 mp -Arabil extravilan: 1.716 mp Imobil înregistrat cadastral (nr. cadastral 37951) Date construcție -Regim de înălțime: Parter + Mansardă -Suprafață desfășurată totală: 68.1 mp -Compartimentare: Parter: dormitor, baie, bucătărie, casă scării, Mansardă: dormitor, casă scării + Atelier de Constructii si Magazie! Construcție existentă (conform planurilor cadastrale) Acces la proprietate din drum de acces Zonă liniștită, potrivită pentru locuință sau casă de vacanță Teren generos, ideal pentru extindere sau investiție Pentru informații suplimentare și stabilirea unei vizionări, vă rog să mă contactați.
Citește mai mult Citește mai puțin
Parțial mobilat Aeroterme Necesită renovare

Detalii casă

ID anunț: XV10014HG Copiat! 275404317 Copiat!
Actualizat în: 04 Aprilie 2026
An construcție: 2010
Regim înălțime: P+1E
Curte/Grădină: Curte

Utilități

Comision
0%

Puncte de interes

Școală
school
Scoala Gimnaziala Govora sat
Școli aprox. 1011 m

Detalii despre preț și costuri

Costuri cu achiziția

Fără credit
2.815 RON
Credit ipotecar
3.837 RON
Noua casă
329 RON+ taxe notariale

i

Costuri adiționale mai puțin știute la achiziție: taxe notariale, comisioane etc.

Proprietăți similare

Casă individuală cu 3 camere în Olteni
176.134 RON
Județul Vâlcea, Olteni
3 camere
135,68 mp
222 mp teren
Casă individuală cu 3 camere în Bărbătești
35.000 €
Județul Vâlcea, Bărbătești
3 camere
96 mp
440 mp teren
Casă individuală cu 2 camere în Malaia
40.000 €
Județul Vâlcea, Malaia
2 camere
46 mp
200 mp teren

Detalii de contact

Eduard Neferu

Eduard Neferu

Abonează-te la newsletter să fii primul care primește cele mai noi recomandări de proprietăți și sfaturi de la experți.

CONTACT

Creează alertă

Salvează căutarea ca să primești pe email ultimele anunțuri publicate

Case individuale cu 2 camere de vânzare în Județul Vâlcea