Vanzare casa si teren Mosilor

375.000 €

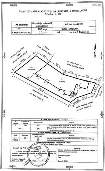
Moșilor, București

Nr. cam.:
4
Sup. utilă:
138 mp
Sup. teren:
196 mp
Tip prop.:
Individuală
  • • Locație aproximativă
  • • Vizionare prin apel video

Descriere casă

Cladire de vanzare S+P+1 ( spatiu comercial la parter si apartament la etaj ) cu posibilitate de extindere la P+4, pana la maxim 500 mp conform PUZ. Vila este in zona Mosilor - Bucuresti, reper Intersectie Mosilor - Carol I, avand 4 camere, 3 dormitoare, 2 bai, 1 bucatarii, suprafata totala construita 138 mp, suprafata utila 138 mp si suprafata teren 196 mp. Deschiderea este de 10 ml. Imobilul are amprenta 85 mp, casa este din 1930 dar este consolidata total in anul 2000 In fata locatiei sunt 3 locuri de parcare stradale pe teren proprietate. Parterul are intrare stradala si doua intrari auxiliare ( una din curte si una prin casa scarii ), iar la etaj intrarea este separata ( una prin curte si una prin parter, cu acces pe casa scarii ). Cladirea este ideala pentru studiouri camere de inchiriat in regim hotelier ( Airbnb si Booking ) birouri, after school, clinica, productie, atelier, farmacie, brutarie, vulcanizare, showroom, etc. ID intern: 7R-2783.
Citește mai mult Citește mai puțin

Detalii casă

ID anunț: XD4N1104K Copiat! 273727085 Copiat!
Actualizat în: 05 Aprilie 2026
Suprafață construită: 138 mp
Suprafață desfășurată: 138 mp
Nr. bucătării: 1
Nr. băi: 2
An construcție: 2000 (Finalizată)
Structură rezistență: Altele
Regim înălțime: P+1E

Utilități

Destinație
Rezidențial

Puncte de interes

Mijloace transport
bus-station
Bulevardul Carol I
Stații autobuz aprox. 174 m
tram-station
Bulevardul Carol I
Stații tramvai aprox. 184 m
trolleybus-station
Statia Foisorul de Foc linii : 79,86
Stații troleibuz aprox. 724 m
metro-station
Universitate (M2)
Stații metrou aprox. 863 m
Școală
school
Colegiul Economic Hermes
Școli aprox. 28 m
school
Scoala Generala "Iovan Ducici", Nr 71
Școli aprox. 36 m
university
Universitatea din Bucuresti - Facultatea de Stiinte Politice
Universități aprox. 322 m
kindergarten
Gradinita Magica
Gradinițe aprox. 493 m
Recreere
public-square
Piata Latina
Piețe publice aprox. 135 m
supermarket
Mega Image Paleologu
Supermarket aprox. 189 m
park
Parcul Izvorul Rece
Parcuri aprox. 290 m
mall
Bucharest, Calea Vitan nr. 8, Bl V51, near VITAN Mall
Mall aprox. 1863 m

Detalii despre preț și costuri

Costuri cu achiziția

Fără credit
15.781 RON
Credit ipotecar
18.486 RON
Noua casă
2.052 RON+ taxe notariale

i

Costuri adiționale mai puțin știute la achiziție: taxe notariale, comisioane etc.

Proprietăți similare

Casă individuală cu 9 camere în Moșilor
360.000 €
București, Moșilor
9 camere
320 mp
107 mp teren
Casă individuală cu 9 camere în Moșilor
360.000 €
București, Moșilor
9 camere
320 mp
107 mp teren
Casă individuală cu 9 camere în Moșilor
360.000 €
București, Moșilor
9 camere
260 mp
107 mp teren

Detalii de contact

7R STUDIO

Rolando Fulvio Manager

7R STUDIO

Abonează-te la newsletter să fii primul care primește cele mai noi recomandări de proprietăți și sfaturi de la experți.

CONTACT

Creează alertă

Salvează căutarea ca să primești pe email ultimele anunțuri publicate

Case individuale cu 4+ camere de vânzare în zona Moșilor, Sector 2