37

Oferta! Casa noua tip Duplex, 5 Camere, P+1E+M,in Otopeni

215.000 €

Otopeni, Județul Ilfov

Nr. cam.:
5
Sup. utilă:
230 mp
Sup. teren:
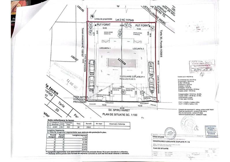
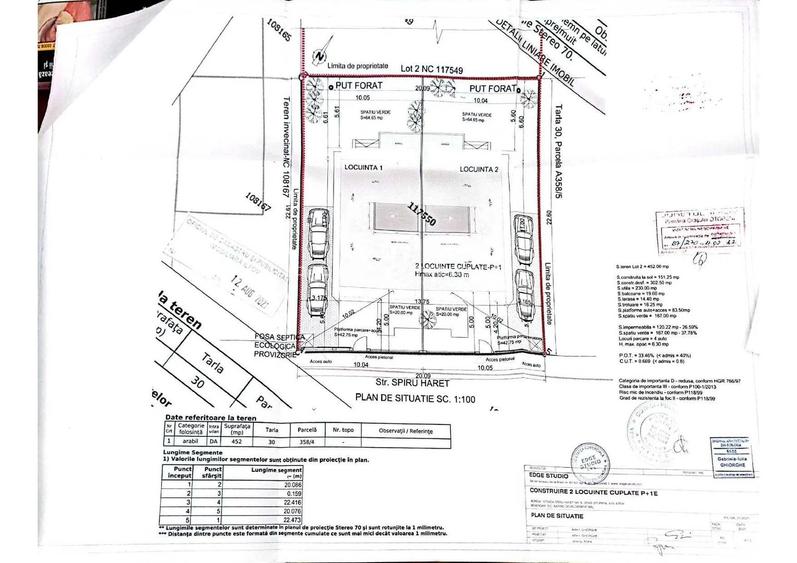
452 mp
Tip prop.:
Duplex
  • • Locație aproximativă

Descriere casă

Ofer spre vanzare casa tip duplex, 5 camere, P+1E+M, suprafata teren 226mp, situata in Otopeni-Odaile, Strada Spiru Haret nr. 5, Ilfov-Bucuresti. Constructia imobilului a inceput aprox. la jumatatea anului 2024, aceasta fiind din caramida Porotherm, izolatia fiind facuta cu polistiren de 10 cm. Imobilul beneficiaza de toate utilitatile(curent, apa-canal, gaz, cablu TV, internet) Aceasta este compartimentata astfel: -Parter: Living spatios cu iesire catre terasa si gradina din spate, bucatarie inchisa cu acces la un spatiu generos de depozitare si baie de serviciu. -Etaj: Dormitorul matrimonial cu baie proprie si acces la balconul din fata casei, 2 Dormitoare cu acces la balconul din spatele casei care impart o baie echipata cu cada. -Mansarda open space ce ofera acces la terasa de pe acoperisul imobilului. -Scara interioara este placata cu piatra de interior antiderapanta . Accesul la imobil se face din strada Spiru Haret aceasta avand o latime de 8ml. In lateralul cladirii este creat spatiu de parcare pentru 2 masini. In apropiere se regasesc o multime de magazine alimentare, institutii scolare, clinici medicale, benzinarii, plus multe alte locatii necesare. Accesul la transportul in comun este facil, existand conexiuni rapide catre majoritatea destinatiilor. Tamplarie Pvc Salamander Germania , cu geam tripan, culoare gri antracit. Pentru mai multe detalii nu ezitati sa ma contactati! Pretul este de 199.000 EUR+TVA
Citește mai mult Citește mai puțin
Nemobilat Curte Aer condiționat Calorifere 2 Parcări

Detalii casă

ID anunț: XFTC11000 Copiat! 260869900 Copiat!
Actualizat în: 23 Ianuarie 2026
Suprafață construită: 151 mp
Suprafață desfășurată: 302.5 mp
Nr. bucătării: 2
Nr. băi: 3
Nr. balcoane / Terase / Logii: 2
Nr. terase: 1
Suprafață terase: 7.21 mp
Front stradal: 21.0 m
Învelitoare acoperiș: Tabla
An construcție: 2024 (Finalizată)
Structură rezistență: Cărămidă
Regim înălțime: P+2E+M

Utilități

Destinație
Birouri Rezidențial
Jaluzele
Orizontale Verticale
Pereți
Faianță
Podele
Parchet
Ușă intrare
Metal
Uși interior
Lemn
Izolații termice
Exterior Interior
Ferestre cu geam termopan
PVC
Contorizare
Contor căldură Contor gaz
Diverse
Scară interioară
Alte spații utile
WC Serviciu
Facilități imobil
Acoperiș
Utilități
Curent Apă Canalizare CATV Curent trifazic Fosa septică Gaze Telefon
Internet
Cablu
Amenajare străzi
Iluminat stradal Mijloace de transport în comun Asfaltate
Comision
standard

Disponibilitate proprietate:

Imediat

Puncte de interes

Mijloace transport
bus-station
Statia Sat Odai, linia 304
Stații autobuz aprox. 746 m
bus-station
Statia I.C.S.I.M, linia 304
Stații autobuz aprox. 942 m
bus-station
Statia Pasaj Otopeni, linia 149,304
Stații autobuz aprox. 1164 m
bus-station
Statia Amco, linia 783
Stații autobuz aprox. 1179 m
Școală
kindergarten
Gradinita cu program prelungit nr. 2 Otopeni
Gradinițe aprox. 322 m
university
Academia Națională de Informații "Mihai Viteazul"
Universități aprox. 1215 m
school
Liceul Teoretic Ioan Petrus - Corp 1
Școli aprox. 1953 m
school
Liceul Teoretic Ioan Petrus - Corp 2
Școli aprox. 1992 m
Recreere
sports-ground
Teren sportiv
Terenuri sport aprox. 347 m
restaurant
Complexul Ambasad'Or
Restaurant aprox. 457 m
park
Loc de joaca
Parcuri aprox. 1426 m
sports-ground
Teren sportiv
Terenuri sport aprox. 1439 m

Detalii despre preț și costuri

Costuri cu achiziția

Fără credit
10.281 RON
Credit ipotecar
12.306 RON
Noua casă
1.235 RON+ taxe notariale

i

Costuri adiționale mai puțin știute la achiziție: taxe notariale, comisioane etc.

Proprietăți recomandate

Detalii de contact

PCR WNG ENTERPRISE

Tudor Cosmin Manager

PCR WNG ENTERPRISE
PRO

Abonează-te la newsletter să fii primul care primește cele mai noi recomandări de proprietăți și sfaturi de la experți.

CONTACT

Creează alertă

Salvează căutarea ca să primești pe email ultimele anunțuri publicate

Duplexuri cu 4+ camere de vânzare în Otopeni, Județul Ilfov