De vânzare -Atelier Mecanic, Birouri si Camere la 9 min de București

316.000 €

Mânăstirea, Județul Dâmbovița

Sup. utilă / mp. utili:
550 mp
Tip prop.:
Spațiu stradal
Niv.:
1
An constr.:
2007
  • • Comision 0%
  • • Exclusivitate
  • • Locație exactă

Descriere spațiu comercial

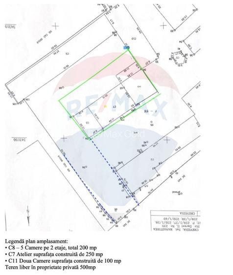
Se oferă spre vânzare proprietate cu destinație mixtă cu potențial ridicat pentru activități comerciale, logistice sau administrative, situată într-o zonă cu acces rapid către București, pe Șoseaua București–Târgoviște la câteva minute de Podul Mogoșoaia, cu acces rapid către București. Descrierea construcțiilor: 1. Atelier mecanic cu suprafața totală construită de 250 mp, conceput pentru activități de producție, service auto, reparații sau alte activități tehnice/comerciale. 2. Cinci birouri/ încaperi în suprafața totală de 200 mp: Parter: 100 mp, pentru birouri, sala de ședințe sau spații de management Etaj: 100 mp, pentru birouri, sala de ședințe sau spații de management. 3. Două camere a câte 50 mp fiecare, ideale pentru, locuit, depozitare, arhivă sau alte funcțiuni Amprenta clădirii: 450 mp  Suprafață utilă totală: 550 mp  Descriere teren: Teren liber în proprietate privată: 500 mp, cu posibilități pentru parcare, extindere construcții, zone de încărcare-descărcare sau amenajări exterioare. Include aproximativ 1.000 mp teren UZD (uz de drum) comun, destinat drumului de acces, cu deschidere de 6 m lățime, asigurând circulația facilă a autovehiculelor.Avantaje și potențial: Localizare strategică pe un drum principal, cu vizibilitate și acces rapid către București și localitățile limitrofe. Spații versatile, adaptabile pentru afaceri comerciale, service, birouri administrative sau depozitare.Posibilitate de dezvoltare ulterioară, datorită terenului liber din proprietate și drumului de acces inclus.
Citește mai mult Citește mai puțin
10 Parcări

Detalii spațiu comercial

ID anunț: XFR414015 Copiat! 274824180 Copiat!
Actualizat în: 09 Februarie 2026
Suprafață utilă: 550 mp
Regim înălțime: P+1E
Suprafață teren: 2000 mp

Utilități

Comision
0%

Puncte de interes

Școală
school
Centru de arte martiale
Școli aprox. 971 m
school
Scoala Generala nr.1 Buftea
Școli aprox. 1144 m
Recreere
supermarket
Lidl
Supermarket aprox. 1185 m
park
Domeniul Stirbey
Parcuri aprox. 1939 m

Proprietăți similare

Spațiu industrial, de 250.00 mp, în Petrești
295.000 €
Județul Dâmbovița, Petrești
250 mp utili
Depozitare
Spațiu industrial, de 240.00 mp, în Petrești
295.000 €
Județul Dâmbovița, Petrești
240 mp utili
Producție/Servicii
2021
Spațiu industrial, de 600 mp, în Centură
299.000 €
Târgoviște, Centură
600 mp utili
Producție/Servicii
2010

Detalii de contact

Re/Max Gold

Mihaela Barbieru Sales Associate

Re/Max Gold
PRO

Abonează-te la newsletter să fii primul care primește cele mai noi recomandări de proprietăți și sfaturi de la experți.

CONTACT

Creează alertă

Salvează căutarea ca să primești pe email ultimele anunțuri publicate

Spații comerciale cu 4+ camere de vânzare în Mânăstirea, Județul Dâmbovița