HALA INDUSTRIALA/DEPOZIT

3.200.000 € + TVA

Dobreni, Județul Giurgiu

Sup. prop / mp. prop.:
1.643 mp
Tip prop.:
Producție/Servicii
Niv.:
1
  • • Comision 0%
  • • Exclusivitate
  • • Locație exactă

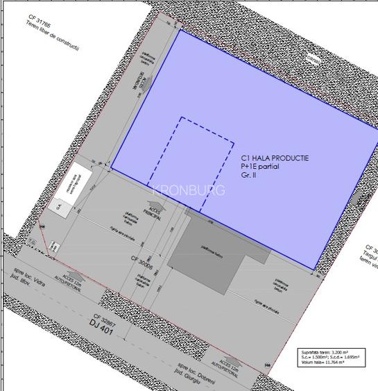
Descriere spațiu comercial

Suprafață Totală: 3.200 mp, din care 1500 mp construita Înălțime Utilă: 6 - 8 metri, ideală pentru sisteme de rafturi înalte Tip Structură: Structură metalică modulară cu panouri sandwich pentru izolație termică optimă. Pardoseală: Industrială, elicopterizată, cu rezistență mare la tonaj Compartimentare și Facilități Zonă de Producție: Spațiu deschis (open space), iluminat natural generos și prize de forță (380V) distribuite strategic. Zonă de Depozitare: Acces facil pentru stivuitoare, dotată cu uși secționale industriale sau rampe de încărcare/descărcare. Zona Administrativă: Birouri integrate, vestiare pentru angajați, grupuri sanitare Acces Auto: Platformă betonată pentru manevrarea TIR-urilor și locuri de parcare dedicate. Utilități: Sistem complet de prevenire și stingere a incendiilor (hidranți, sprinklere), monitorizare video, curent trifazic și gaz. Locație: Apropiere de artere principale pentru reducerea costurilor de transport. Eficiență Energetică: Izolație de înaltă calitate care reduce costurile de mentenanță. Flexibilitate: Posibilitatea de a recompartimenta spațiul în funcție de evoluția afacerii.
Citește mai mult Citește mai puțin
Electricitate Apă Acces TIR

Detalii spațiu comercial

ID anunț: XFOG04001 Copiat! 275254910 Copiat!
Actualizat în: 11 Martie 2026
Nume proprietate: HALA INDUSTRIALA/DEPOZIT
Stadiu construcție: Există
An construcție: 2025 (Există)
Structură rezistență: Pereți sandwich
Suprafață platformă (mp): 1500
Regim înălțime: P+1E
Înălțime spațiu (m): 6
Suprafață birouri (mp): 195
Tip podea: Pardoseli pe bază de rășini epoxidice
Recomandare utilizare: Pentru investiție

Utilități

Acces
Cale rutieră
Dotări
Rampă Instalație încălzire Iluminat Ferestre/luminatoare
Comision
0%

Certificat energetic:

Clasa energetică: B

Vecinătăți:

DJ 401 este un drum județean important din România care face legătura între municipiul București (prin sectorul 4) și limita județului Giurgiu, traversând localități cheie din zona de sud a județului Ilfov

Alte detalii despre preț:

Pret fara tva

Proprietăți similare

Spațiu industrial, de 15,912.00 mp, în Semicentral
3.223.500 €
Giurgiu, Semicentral
15.912 mp utili
data_properties.building_type.warehouse

Detalii de contact

KRONBURG

Cornel Ciumarnean reprezentant vanzari

KRONBURG

Abonează-te la newsletter să fii primul care primește cele mai noi recomandări de proprietăți și sfaturi de la experți.

CONTACT

Creează alertă

Salvează căutarea ca să primești pe email ultimele anunțuri publicate

Spații comerciale de vânzare în Dobreni, Județul Giurgiu