ASTORIUM, LOT 361 MP!

1.000 € / lună
2.77 € / mp / lună

Theodor Pallady, București

Sup. teren:
361 mp
Tip:
Construcții
  • • Comision 0%
  • • Locație exactă
  • • Vizionare prin apel video

Descriere spațiu comercial

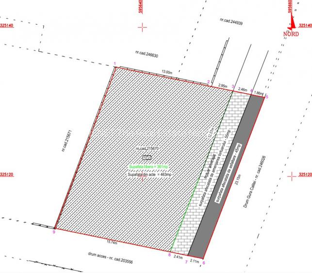
Vă propun spre închiriere un teren intravilan cu suprafața de 361 mp, situat în București, în proximitatea complexului Astorium Garden, pe Drumul Gura Căliței nr.153-157, la doar câteva minute de strada Liviu Rebreanu și Bulevardul Theodor Pallady. Proprietatea este amplasată într-o zonă cu dezvoltare accelerată, cu acces facil și vizibilitate foarte bună, fiind potrivită pentru activități comerciale desfășurate în amplasamente mobile. Terenul beneficiază de două fronturi stradale, cu deschidere de aproximativ 23 ml, respectiv 15,7 ml, ceea ce îl recomandă pentru un business stradal, showroom de prezentare, comerț de proximitate, punct de lucru, food-container, coffee point sau alte concepte comerciale mobile. În plus, există certificat de urbanism obținut recent pentru P+1, cu destinația spațiu comercial, având amprentă la sol de 120 mp. În zonă se regăsesc utilitățile în apropiere — curent, apă, canalizare, gaz, curent trifazic, CATV și fibră optică — iar accesul se face dintr-un drum de 8 m, aspect important pentru aprovizionare și operare facilă. Proprietatea se pretează exclusiv pentru construcții nepermanente, proprietarul acceptând doar amplasament mobil / container, nu construcție fixă.
Citește mai mult Citește mai puțin
Electricitate Apă Gaz Canalizare

Detalii spațiu comercial

ID anunț: X5LL140L6 Copiat! 275453381 Copiat!
Actualizat în: 20 Aprilie 2026
Clasificare teren: Intravilan

Utilități

Comision
0%

Puncte de interes

Mijloace transport
bus-station
Scoala Generala nr. 55
Stații autobuz aprox. 1289 m
bus-station
Statia Scoala Generala 65, Linia 103
Stații autobuz aprox. 1289 m
tram-station
Statia Nicolae Teclu, Linia M3
Stații tramvai aprox. 1291 m
metro-station
Metrorex.Stația Nicolae Teclu (M3)(2008)
Stații metrou aprox. 1295 m
Școală
kindergarten
Gradinita nr. 68
Gradinițe aprox. 1091 m
school
Scoala Generala nr. 55
Școli aprox. 1219 m
school
Scoala cu clasele I-VIII, nr.55
Școli aprox. 1232 m
kindergarten
Gradinita nr. 187
Gradinițe aprox. 1597 m
Recreere
park
Parc
Parcuri aprox. 701 m
hypermarket
Metro
Hipermarket aprox. 1084 m
supermarket
Metro Pallady
Supermarket aprox. 1084 m
sports-ground
Teren de fotbal
Terenuri sport aprox. 1560 m

Proprietăți similare

Teren construcție, în Theodor Pallady
1.000 € / lună
București, Theodor Pallady
Rezidențial
Spațiu industrial, în Theodor Pallady
966 € / lună
București, Theodor Pallady
Depozitare
1974
Spațiu comercial, 45 mp în Titan
1.035 € / lună
București, Titan
45 mp utili
Spațiu stradal
1E

Detalii de contact

RENET The Real Estate Network

Vitalie Pascari agent imobiliar

3.40(6 review-uri)

RENET The Real Estate Network
PRO

Abonează-te la newsletter să fii primul care primește cele mai noi recomandări de proprietăți și sfaturi de la experți.

CONTACT

Creează alertă

Salvează căutarea ca să primești pe email ultimele anunțuri publicate

Spații comerciale de închiriat în zona Theodor Pallady, Sector 3