Teren 19.470 mp, investitie ideala, Green City -1 Decembrie, Ilfov

1.557.600 € + TVA
80 € + TVA / mp

1 Decembrie, Județul Ilfov

Sup. teren:
19.470 mp
Tip:
Construcții
  • • Locație aproximativă

Descriere teren

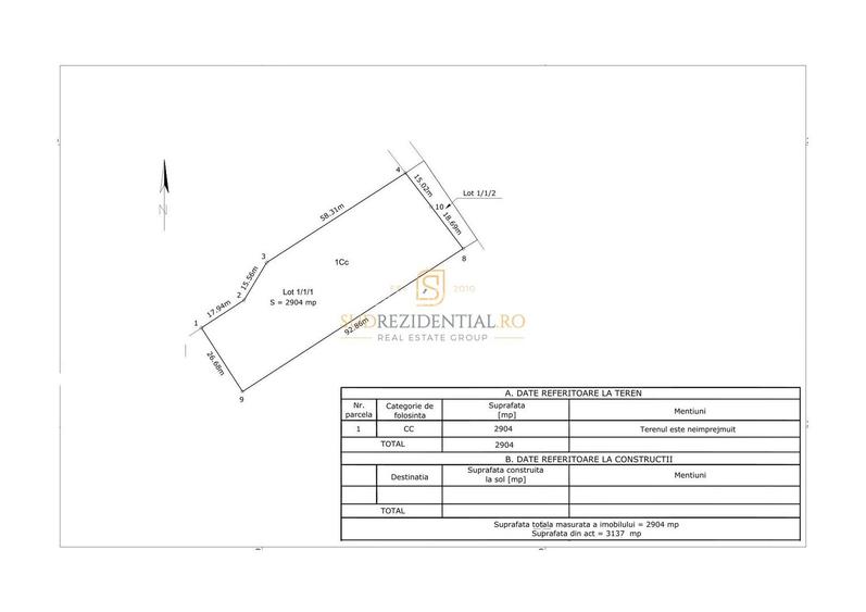
De vanzare – Teren intravilan construibil de 19.470 mp in ansamblul Rezidential Green City, Localitatea 1 Decembrie, Ilfov O oportunitate rara pentru dezvoltatara unui proiect rezidential de succes! Acest teren generos, cu suprafata de19.470 mp, este situat strategic in zona de Sud a ariei metropolitane Bucuresti, in Localitatea 1 Decembrie, Ilfov, in incinta ansamblului rezidential Green City. Amplasarea sa de exceptie pe Str. Bucuresti, cu acces direct din DJ503, permite o legatura facila cu Autostrada A0 si acces rapid la Centura Capitalei si faciliteaza conexiuni directe catre autostrazile A1, A2 si A3. Detalii Tehnice - Suprafata totala: 19.470 mp, dezmembrat in trei loturi: - Lot 1: 13.266 mp - Lot 2: 2.904 mp - Lot 3: 2.780 mp - Deschidere stradala: 114 metri liniari - Regim de inaltime: Parter + 2 etaje - POT(Procent de Ocupare a Terenului): 35% - CUT(Coeficient de Utilizare a Terenului): 1.05 - Certificat Urbanism: Valabil pentru lotul de 2.904 mp - PUZ: In lucru pentru intreaga suprafata de 19.470 mp Facilitati si Utilitati Terenul dispune de toate utilitatile necesare, inclusiv gaze, electricitate, apa si canalizare pluviala. Drumul de acces care strabate proiectul are o latime de 7 metri, asigura o circulatie optima pentru rezidenti si vizitatori. Terenul se afla pe E70 (DJ503) cu acces facil catre Giurgiu si Bucuresti: - 8 kmpana la Centura Capitalei - 4 kmpana la intrarea in Autostrada A0 Zona rezidentiala si beneficiile investitiei Terenul este situat intr-o zona rezidentiala noua, formata preponderent din case noi si vile moderne. Ansamblul Green City, in care se afla terenul, este o comunitate bine dezvoltata, cu acces la strazi largi si infrastructura moderna, si faciliteaza o dezvoltare imobiliara de succes. Acest teren reprezinta o oportunitate excelenta pentru investitori, ofera un spatiu vast si bine conectat pentru proiecte rezidentiale de anvergura. Pret de lista: 1.577.600 Euro + TVA
Citește mai mult Citește mai puțin
Electricitate Apă Canalizare

Detalii teren

ID anunț: XFQP1301A Copiat! 272817408 Copiat!
Actualizat în: 26 Ianuarie 2026
Clasificare teren: Intravilan
Front stradal: 114.0 m
Nr. fronturi stradale: 1

Utilități

Destinație
Rezidențial
Utilități
Utilități în zonă
Amenajare străzi
Iluminat stradal Mijloace de transport în comun Asfaltate
Alte caracteristici
Acces auto Parcelabil Teren împrejmuit
Comision
standard

Disponibilitate proprietate:

Imediat

Puncte de interes

Școală
school
GreenCity kindergarden (en)
Școli aprox. 399 m
school
scoala 305 (veche)
Școli aprox. 616 m
school
scoala 305 (noua)
Școli aprox. 923 m
Recreere
park
Parc
Parcuri aprox. 35 m
park
Parc
Parcuri aprox. 44 m
restaurant
Renaissance Restaurant GreenCity (en)
Restaurant aprox. 177 m
supermarket
Mega Image - Green City
Supermarket aprox. 466 m

Proprietăți recomandate

Detalii de contact

SUDREZIDENTIAL.

Alexandru Costache Director Vanzari

SUDREZIDENTIAL.
PRO

Abonează-te la newsletter să fii primul care primește cele mai noi recomandări de proprietăți și sfaturi de la experți.

CONTACT

Creează alertă

Salvează căutarea ca să primești pe email ultimele anunțuri publicate

Terenuri construcții de vânzare în 1 Decembrie, Județul Ilfov