43

Teren intravilan intre 500 si 1000 mp in zona Bran

22.800 €
45.60 € / mp

Bran, Județul Brașov

Sup. teren:
500 mp
Tip:
Construcții
  • • Locație aproximativă

Descriere teren

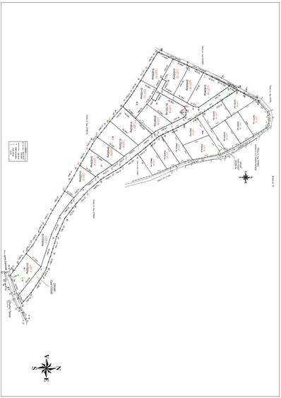
Terenul este situat in zona Bran Tohanita , strada Pe Tarina. Fiind situat pe o mica culme de deal ofera o priveliste panoramica asupra muntilor Bucegi, Piatra Craiului dar si asupra intregii zone. Terenul este intravilan, are carte funciara, cadastru si certificate de urbanism . Utilitati: curent la limita terenului , gazul la 400 m de teren Este intravilan si are :Carte funciara, Cadastru actualizat si Certificat de urbanism pentru informare. Loturile au suprafata cuprinsa intre 500 si 800 mp.Daca se doreste o suprafata mai mare se pot achizitiona mai multe loturi alaturate. Sunt disponibile loturi cu suprafata de 500 mp si cu preturi incepand cu 14800 euro astfel: Lot 1 700 mp 34800 euro Vandut Lot 2 1000 mp 39000 euro Vandut Lot 3 500 mp 25800 euro Liber Lot 4 500 mp 25800 euro Vandut Lot 5 500 mp 27800 euro Vandut Lot 6 750 mp 38500 euro Vandut Lot 7 802 mp 36000 Vandut Lot 8-597 mp 27800 Vandut Lot 9-700 mp 29000 Vandut Lot 10-700 mp 27000 Vandut Lot 11-655 mp 15800 Vandut Lot 12-600 mp 17800 Vandut Lot 13-600 mp 19900 Vandut Lot 14-804 mp 25500 Vandut Lot 15 500 mp 16800 euro Vandut Lot 16 500 mp 14800 euro Vandut Lot 17 741 mp 21800 euro Vandut Lot 18 500 mp 18800 euro Vandut Lot 19 500 mp 19800 euro Vandut Lot 20 622 mp 25500 euro Vandut Lot 21 621 mp 25500 euro Vandut Lot 22 500 mp 22800 euro Liber Lot 23 500 mp 22800 euro Liber Lot 24 500 mp 22800 euro Liber Preturile de mai sus contin TVA 21%.In situatia in care cumpararea terenului se face de catre o firma platitoare de TVA preturile de mai sus vor fi cu 21% mai mici. Conform PUG-ui(Planului Urbanistic General) suprafata minima pe care se poate construi case de locuit si de agrement cu dotarile aferente in aceasta zona este de 500 mp (terenul apartine de Zarnesti si de aceea se poate construi pe suprafete de 500 mp). Pentru locuinte regimul de inaltime poate varia intre S+P,S+P+1,S+P+M. -Procentul de ocupare al terenului(POT): maxim 35% -Coeficientul de utilizre a terenului(CUT): maxim 0,85 Nu percepem comision .
Citește mai mult Citește mai puțin
Electricitate

Detalii teren

ID anunț: XF010300G Copiat! 249900914 Copiat!
Actualizat în: 16 Mai 2026
Tip tranzacție: De vânzare prin agent
Clasificare teren: Intravilan
P.O.T.: 35%
C.U.T.: 0.85
Sursa coef. urbanistici: Certificat Urbanism
Vizionare cu programare: Da
Modalitate de plată: Cash sau Credit

Utilități

Destinație
Rezidențial De vacanță
Utilități
Utilități în zonă
Amenajare străzi
Asfaltate Pietruite
Alte caracteristici
La șosea Acces auto

Puncte de interes

Recreere
sports-ground
Teren sportiv
Terenuri sport aprox. 109 m
sports-ground
Teren sportiv
Terenuri sport aprox. 657 m
park
Parc
Parcuri aprox. 664 m
park
Parcul Regina Maria
Parcuri aprox. 1232 m

Istoricul prețurilor

Acces la informații premium după autentificare
Login Gratuit

Proprietăți similare

Teren Construcții intravilan de 442 mp, în Sânpetru
23.000 €
Județul Brașov, Sânpetru
442 mp teren
Construcții
Teren Construcții intravilan de 410 mp, în Sânpetru
21.900 €
Județul Brașov, Sânpetru
410 mp teren
Construcții
Teren Construcții intravilan de 500 mp, în Bran
23.800 €
Județul Brașov, Bran
500 mp teren
Construcții

Detalii de contact

LANDVIEW B.M. SRL

Ioan Bogdan Giurgiu

LANDVIEW B.M. SRL
PRO

Abonează-te la newsletter să fii primul care primește cele mai noi recomandări de proprietăți și sfaturi de la experți.

CONTACT

Creează alertă

Salvează căutarea ca să primești pe email ultimele anunțuri publicate

Terenuri construcții de vânzare în Bran, Județul Brașov