1

Teren liber cu vedere la lac, utilități și acces rapid A2 – Brănești

270.540 €
90 € / mp

Brănești, Județul Ilfov

Sup. teren:
3.006 mp
Tip:
Construcții
  • • Locație aproximativă

Descriere teren

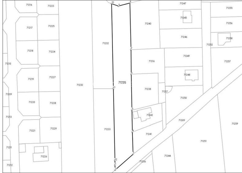
Ofer spre vânzare un teren intravilan generos de 3006 mp, amplasat pe Strada Soarelui, Comuna Brănești, la doar 2 minute de mers cu mașina până la Autostrada Soarelui (A2). Caracteristici: Suprafață totală: 3006 mp Deschidere de 24 m la Strada Soarelui Preț: 90 €/mp Vedere panoramică la lac Zonă liniștită, ideală pentru dezvoltare rezidențială Utilități: Apă, canalizare, gaz, curent electric și internet – toate disponibile chiar în fața lotului Acces și facilități: 2 minute până la Autostrada A2 – conexiune rapidă către București și Constanța 3-4 minute până la liniile de transport în comun (maxim 300-400 m) 5 minute până la magazinele locale și școlile din zonă O alegere excelentă pentru dezvoltare rezidențială sau investiție pe termen lung, într-o zonă aflată în continuă dezvoltare, cu acces facil către oraș și toate utilitățile la îndemână. Contactează-ne pentru detalii și vizionare!
Citește mai mult Citește mai puțin
Electricitate Apă Gaz Canalizare

Detalii teren

ID anunț: XFTC1300A Copiat! 269637494 Copiat!
Actualizat în: 14 Ianuarie 2026
Clasificare teren: Intravilan
Front stradal: 24.0 m
Nr. fronturi stradale: 2
Înclinație teren: 2.3° (4%)

Utilități

Utilități
Utilități în zonă
Amenajare străzi
Iluminat stradal Mijloace de transport în comun Asfaltate Betonate
Alte caracteristici
Acces auto Parcelabil
Comision
standard

Disponibilitate proprietate:

Imediat

Proprietăți recomandate

Detalii de contact

PCR WNG ENTERPRISE

Tudor Cosmin Manager

PCR WNG ENTERPRISE
PRO

Abonează-te la newsletter să fii primul care primește cele mai noi recomandări de proprietăți și sfaturi de la experți.

CONTACT

Creează alertă

Salvează căutarea ca să primești pe email ultimele anunțuri publicate

Terenuri construcții de vânzare în Brănești, Județul Ilfov