2

OPORTUNITATE!

6.549.950 €
110 € / mp

Nord, Brașov

Sup. teren:
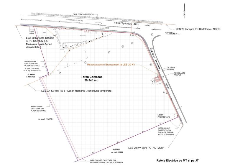
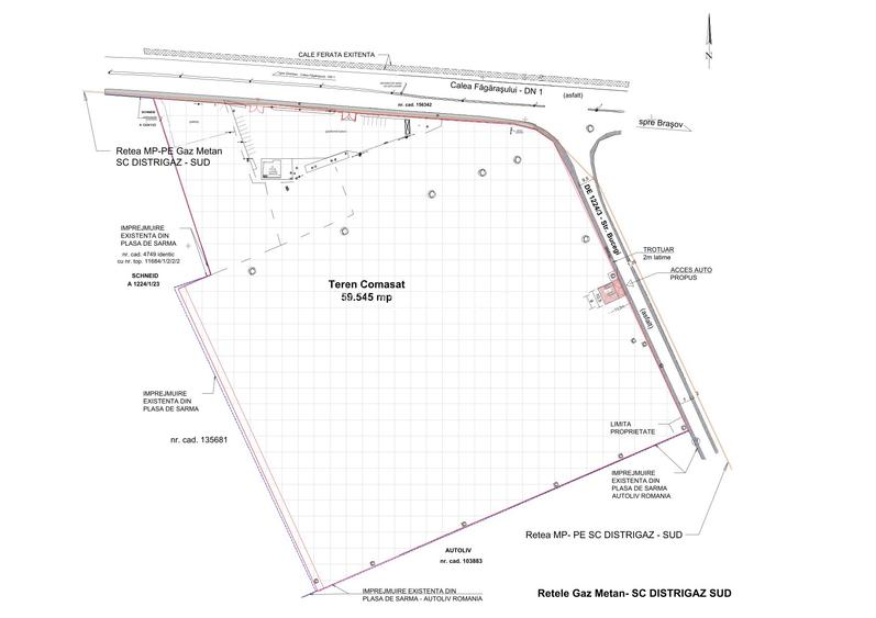
59.545 mp
Tip:
Construcții
  • • Locație exactă

Descriere teren

Va oferim oportunitatea achizitionarii unei suprafate de 59.545 mp, ca urmare a alipirii a 4 parcele, amplasata la iesirea din Brasov pe directia spre Ghimbav , pe drumul spre Sibiu. Are acces direct din soseaua DN1, in dreptul bornei Km 173, cu intrare in zona KM 173+100 si Iesire in zona KM 173+000 si acces suplimentar pe Strada Bucegi. Adresa stradala principala este Strada Calea Fagarasului nr. 57 si adresa stradala suplimentara este Strada Bucegi nr. 2. Pentru accesul din DN 1 de pe Strada Calea Fagarasului nr 57, exista amenajata partial, banda de decelerare si banda de accelerare pe sensul de deplasare spre Brasov Proprietatea este incadrata in Intravilan Municipiul Brasov, cu categoria de folosinta Curti- Constructii pentru suprafata de 47.175 mp ( 79,2% din suprafata totala) si Arabil ( pentru restul de 12.370 mp ( respectiv 20,8 % din suprafata totala ). Incadrarea terenului de la proprietate si alte precizari: • conform PUG – Brasov, reactualizat si avizat prin HCL 144 din 07.03.2011, la data prezentei, incadrarea Zonala este: M3b– subzona mixta situata in afara zonei protejate, cu cladiri avand caracter continu sau discontinu si inaltimi pana la max. P+6E cu functiuni dominante: servicii, comert, mica productie, depozitare de mici dimensiuni, functie de locuire este permisa pentru locuinte de serviciu sau locuinte colective, afectata partial in dreptul strazii Calea Fagarasului de zona de protectie infrastructura cai ferate. • POT maxim = 60%; CUT volumetric maxim = 9,0; H maxim cornise = 18 m. • Zona “C” conform zonificarii municipiului Brasov, aprobat cu HCL nr. 236/2015 republicata conform HCL nr. 221/2016 municipiu categoria I. • Pentru amplasament, conditiile de clima si incadrarea in zonele din hartile climaterice prevazute de STAS 6472 / 2-X3 sunt zona „B” pentru incarcari din zapada si „A” din vant. • Zona seismica „D” cu I=7; Ks=0.16 si Tc=1.0 sec. • Trenul nu este afectat de artere hidrografice, izvoare, torenti sau avalanse. • Terenul nu se afla in Sit Natura 2000 sau in alte incadrari cu restrictii pentru Protectia Mediului • Pentru aceasta proprietate sunt intocmite Studii Geotehnice
Citește mai mult Citește mai puțin
Electricitate Apă Canalizare

Detalii teren

ID anunț: X9VG0300C Copiat! 237328699 Copiat!
Actualizat în: 20 Iunie 2025
Clasificare teren: Intravilan
Nr. fronturi stradale: 2
P.O.T.: 60%
C.U.T.: 9
Sursa coef. urbanistici: P.U.G.

Utilități

Destinație
Rezidențial Industrial Comercial
Utilități
Utilități în zonă
Amenajare străzi
Asfaltate Mijloace de transport în comun Iluminat stradal
Alte caracteristici
La șosea Acces auto Teren împrejmuit

Puncte de interes

Mijloace transport
bus-station
Statie "Hornbach", linia 28
Stații autobuz aprox. 190 m
bus-station
Facultativa
Stații autobuz aprox. 295 m
bus-station
Statie Facultativa, linia 28
Stații autobuz aprox. 334 m
train-station
Gara Bartolomeu
Stații tren aprox. 1293 m
Școală
kindergarten
Gradinita cu program normal nr. 3B (fosta nr.11 )
Gradinițe aprox. 1047 m
school
Institutul de Cercetare Dezvoltare Inovare Produse High tech pentru Dezvoltare Durabila
Școli aprox. 1379 m
kindergarten
Gradinita privata Happy Kids
Gradinițe aprox. 1414 m
school
Grupul Scolar Auto
Școli aprox. 1475 m
Recreere
supermarket
Auchan
Supermarket aprox. 374 m
cafe
Art Caffe
Cafenea aprox. 383 m
restaurant
Pizza Saltinbocca
Restaurant aprox. 602 m
park
Fosta cariera de piatra Bartolomeu
Parcuri aprox. 1322 m

Proprietăți similare

Teren Construcții intravilan de 60000 mp, în Exterior Est
6.000.000 €
Brașov, Exterior Est
60.000 mp teren
Construcții
Teren Construcții intravilan de 4200 mp, în Centrul Civic
6.300.000 €
Brașov, Centrul Civic
4.200 mp teren
Construcții
Teren Construcții intravilan de 186000 mp, în Exterior Vest
5.952.000 € + TVA
Județul Brașov, Codlea
186.000 mp teren
Construcții

Detalii de contact

1CLASS Real Estate

Vasile Catana

1CLASS Real Estate

Abonează-te la newsletter să fii primul care primește cele mai noi recomandări de proprietăți și sfaturi de la experți.

CONTACT

Creează alertă

Salvează căutarea ca să primești pe email ultimele anunțuri publicate

Terenuri construcții de vânzare în zona Nord, Brașov