1

I.C.Bratianu teren intravilan 1028 mp dubla deschidere

252.888 €
246 € / mp

I. C. Brătianu, Constanța

Sup. teren:
1.028 mp
Tip:
Construcții
  • • Exclusivitate
  • • Locație exactă

Descriere teren

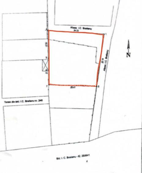
Exclusiv prin Alpha Imobiliare Concept vă oferim spre vânzare teren intravilan 1028 mp deschidere pe colț la strada 34 / 32 m , utilități la limita proprietății ( apa, curent electric, canalizare, gaze ) , oportunitate de investiție, preț discutabil !
Citește mai mult Citește mai puțin
Electricitate Apă Gaz Canalizare

Detalii teren

ID anunț: XCS21300I Copiat! 275353163 Copiat!
Actualizat în: 14 Mai 2026
Tip tranzacție: De vânzare prin agent
Clasificare teren: Intravilan
Front stradal: 34.0 m
Nr. fronturi stradale: 2
Lățime drum acces: 6.0 m
Modalitate de plată: Cash sau Credit

Utilități

Amenajare străzi
Iluminat stradal Mijloace de transport în comun Asfaltate Betonate
Alte caracteristici
Acces auto La șosea Teren împrejmuit
Comision
standard

Disponibilitate proprietate:

Imediat

Puncte de interes

Mijloace transport
bus-station
Cap linie Poarta 2 [42
Stații autobuz aprox. 313 m
bus-station
Statia Poarta 2, Linia 5,42,48
Stații autobuz aprox. 338 m
train-station
Gara CFR Constanta(1960)
Stații tren aprox. 1741 m
train-station
Gara Constanța(1960)
Stații tren aprox. 1819 m
Școală
school
Gradinita O.P. nr. 56 "Vaporasul Magic" (en)
Școli aprox. 215 m
school
Colegiul Național Mihail Eminescu
Școli aprox. 312 m
kindergarten
Gradinita nr.16
Gradinițe aprox. 340 m
university
Universitatea Populara (ru)
Universități aprox. 675 m
Recreere
sports-ground
Teren sportiv
Terenuri sport aprox. 300 m
park
Parcul Regele Carol
Parcuri aprox. 327 m
public-square
Piața Ovidiu
Piețe publice aprox. 467 m
supermarket
Magazinul Grand
Supermarket aprox. 669 m

Istoricul prețurilor

Acces la informații premium după autentificare
Login Gratuit

Proprietăți similare

Teren Construcții intravilan de 721 mp, în Kamsas
252.350 €
Constanța, Kamsas
721 mp teren
Construcții
Teren Construcții intravilan de 720 mp, în Kamsas
252.000 €
Constanța, Kamsas
720 mp teren
Construcții
Teren Construcții intravilan de 500 mp, în Primo
240.000 €
Constanța, Primo
500 mp teren
Construcții

Detalii de contact

Abonează-te la newsletter să fii primul care primește cele mai noi recomandări de proprietăți și sfaturi de la experți.

CONTACT

Creează alertă

Salvează căutarea ca să primești pe email ultimele anunțuri publicate

Terenuri construcții de vânzare în Constanța, Județul Constanța