Vand 2700 mp in Sat Costi in zona lacului Vanatori

40.500 €
15 € / mp

Nord, Galați

Sup. teren:
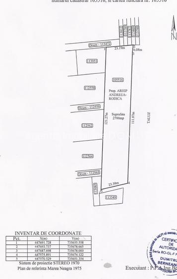
2.700 mp
Tip:
Construcții
  • • Locație exactă

Descriere teren

Agentia imobiliara Domus, va propune spre vanzare un teren in suprafat de 2700 mp, in Satul Costi, in imediata apropiere a lacului Vanatori . Zona este intr o continua dezvoltare si se preteaza pentru constructii rezidentiale . Accesul la teren se face pe drumul proaspat asfaltat, pe langa Floricultura . Pentru mai multe detalii sau vizionari contactati Agentia Imobiliara Domus -
Citește mai mult Citește mai puțin
Apă

Detalii teren

ID anunț: X5TL0301S Copiat! 239664030 Copiat!
Actualizat în: 14 Octombrie 2025
Clasificare teren: Extravilan
Front stradal: 24 m
Nr. fronturi stradale: 2
Lățime drum acces: 6 m

Utilități

Destinație
Rezidențial
Utilități
Utilități în zonă
Amenajare străzi
Asfaltate Pietruite

Puncte de interes

Școală
school
Scoala primara nr.1
Școli aprox. 1028 m
Recreere
supermarket
Metro
Supermarket aprox. 1299 m

Proprietăți similare

Teren Construcții intravilan de 216 mp, în Nord
39.000 €
Galați, Nord
216 mp teren
Construcții
Teren Construcții intravilan de 952 mp, în Bărboși
39.000 €
Galați, Bărboși
952 mp teren
Construcții
Teren Construcții intravilan de 705 mp, în Vânători
38.775 €
Județul Galați, Vânători
705 mp teren
Construcții

Detalii de contact

Abonează-te la newsletter să fii primul care primește cele mai noi recomandări de proprietăți și sfaturi de la experți.

CONTACT

Creează alertă

Salvează căutarea ca să primești pe email ultimele anunțuri publicate

Terenuri construcții de vânzare în zona Nord, Galați