Teren Intravilan 3.000 mp Jilava Investiție sau Rezidențial

225.000 €
75 € / mp

Jilava, Județul Ilfov

Sup. teren:
3.000 mp
Tip:
Construcții
  • • Locație aproximativă

Descriere teren

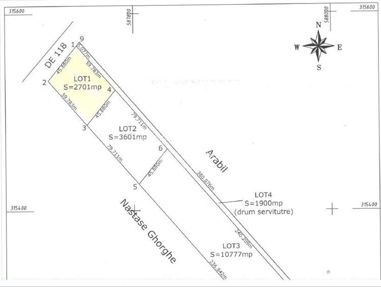
Vânzare teren intravilan 3.000 mp Jilava – Investiție și Dezvoltare Rezidențială/Comercială Locație: Comuna Jilava, Județul Ilfov Suprafață: 3.000 mp Deschidere la drum: 46 ml Formă: Dreptunghiular Topografie: Plană Regim Urbanistic și Posibilități: Destinație PUZ/PUG: Zonă mixtă – rezidențial și industrial Utilizări recomandate: Locuințe individuale sau vile Blocuri P+2 / P+4 / ansamblu rezidențial Spații comerciale (magazin, birouri, showroom) Hală sau depozit industrial Proiect mixt: locuințe + spații comerciale Parcelabil: Posibilitate de împărțire pentru mai multe investiții Utilități: Curent electric: la stradă Apă: la stradă Gaze: în zonă Canalizare: la stradă Drum de acces pietruit, lățime 12 m Acces și Vecinătăți" Școală: 1.000 m Transport public: 500 m Vecinătăți: locuințe, terenuri libere, spații comerciale Zonă în dezvoltare, cu proiecte publice și rezidențiale în apropiere Acces rapid către București și centre logistice / industriale Situație Juridică: Acte de proprietate: Da Cadastru și intabulare: Da Certificat de urbanism: Da Liber de sarcini / ipoteci: Da Oportunitate de Investiție: Parcelabil, ideal pentru dezvoltare cartier rezidențial Posibilitate de construire blocuri P+2/P+4 sau ansamblu mixt Zonă în plină dezvoltare, cu proiecte publice și private în apropiere Teren ideal pentru investitori care caută randament pe termen mediu și lung Avantaje suplimentare: Liber de sarcini și cadastru finalizat – tranzacție rapidă Drum de acces pietruit și lat – ușor de construit și utilitar Zonă mixtă cu potențial ridicat pentru rezidențial și comercial Amplasament strategic: aproape de școală, transport, magazine și centre logistice Bonus: Acest teren este disponibil imediat și reprezintă o oportunitate rară pentru investiție în zona Jilava – Ilfov, cu potențial de dezvoltare rapidă și multiple destinații.
Citește mai mult Citește mai puțin
Electricitate Apă Gaz Canalizare

Detalii teren

ID anunț: XG2K13001 Copiat! 270627519 Copiat!
Actualizat în: 23 Ianuarie 2026
Clasificare teren: Intravilan
Suprafață construită: 3000 mp
Front stradal: 46.0 m
Lățime drum acces: 12.0 m

Utilități

Destinație
Rezidențial Industrial
Amenajare străzi
Pietruite
Alte caracteristici
Acces auto
Comision
standard

Vecinătăți:

Terenul este situat într-o zonă liniștită și în plină dezvoltare a comunei Jilava, perfect pentru proiecte rezidențiale sau comerciale. În apropiere vei găsi:

Locuințe moderne și terenuri libere, ideale pentru un cartier nou sau extinderea unui ansamblu existent.

Spații comerciale și servicii pentru confortul viitorilor locatari.

Școală și facilități educaționale la doar 1.000 m, perfecte pentru familii.

Transport public accesibil, la doar 500 m, facilitând legătura rapidă cu Bucureștiul.

Zona beneficiază de drum pietruit lat de 12 m și utilități disponibile la stradă (curent, apă, canalizare), gata de dezvoltare.

Bonus: Zona este în expansiune, cu proiecte publice și rezidențiale noi, ceea ce face terenul o oportunitate rară pentru investiții cu potențial ridicat.

Disponibilitate proprietate:

Imediat

Puncte de interes

Mijloace transport
train-station
Statia CFR Jilava
Stații tren aprox. 895 m
Școală
school
Scoala Gimnaziala Numarul 2 Jilava
Școli aprox. 1351 m

Proprietăți recomandate

Detalii de contact

ASCENDO IMOBILIARE

Mihai Nedelcu Broker Imobiliar

ASCENDO IMOBILIARE

Abonează-te la newsletter să fii primul care primește cele mai noi recomandări de proprietăți și sfaturi de la experți.

CONTACT

Creează alertă

Salvează căutarea ca să primești pe email ultimele anunțuri publicate

Terenuri construcții de vânzare în Jilava, Județul Ilfov