Teren intravilan, 2 parcele, 815 mp, utilitati, Preajba - zona Smart Pub

55.000 €
67.48 € / mp

Malu Mare, Județul Dolj

Sup. teren:
815 mp
Tip:
Construcții
  • • Comision 0%
  • • Locație exactă

Descriere teren

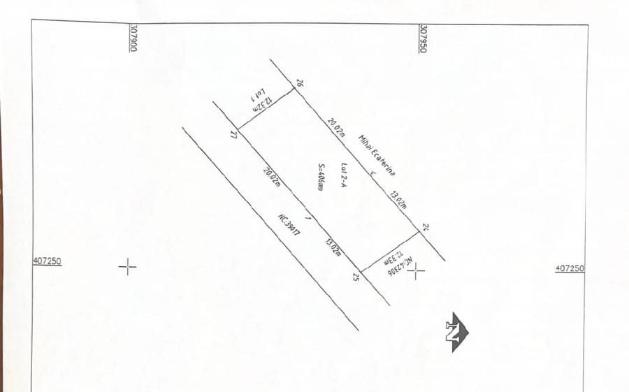
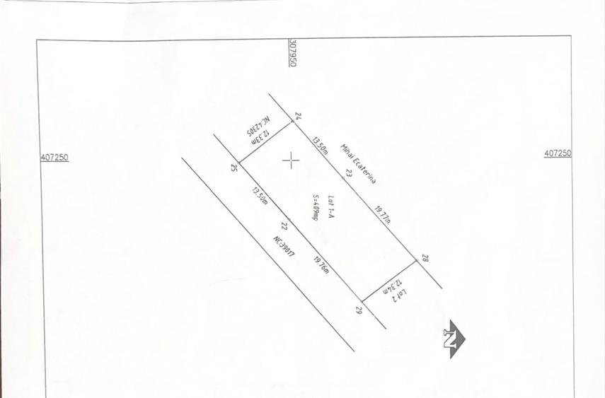
0% Comision pentru cumparator! Va oferim un teren intravilan situat in comuna Malu Mare, sat Preajba, zona Aleea 3 Bechetului (Tarlaua 28, parcelele 18 si 19). Proprietatea este compusa din doua parcele alaturate, cu o suprafata totala de 815 mp (409 mp + 406 mp), ideale pentru constructia unei locuinte sau investitie. Parcela 1 beneficiaza de o deschidere de 33,26 ml si o latime de 12,34 ml, iar parcela 2 are o deschidere de 33,04 ml si o latime de 12,33 ml, oferind un front stradal generos. Terenul este situat la aproximativ 75 m de strada si beneficiaza de drum de acces cu latime de 7 m, iar strada urmeaza sa fie asfaltata in curand, ceea ce creste atractivitatea si valoarea proprietatii. Utilitatile sunt disponibile in zona: curent electric, apa, canalizare, precum si proiect de gaze aprobat. Parcelele sunt neimprejmuite si sunt amplasate intr-o zona linistita, in plina dezvoltare, la doar cateva minute de mers cu masina de Smart Pub si Wolcar. Ideal pentru constructie casa individuala sau duplex. Pretul terenului (ambele parcele) este de 55000 Euro, negociabil. Pentru mai multe informatii sau pentru a programa o vizionare, nu ezitati sa ma contactati!
Citește mai mult Citește mai puțin
Electricitate Apă Canalizare

Detalii teren

ID anunț: XG8803006 Copiat! 275309710 Copiat!
Actualizat în: 23 Martie 2026
Clasificare teren: Intravilan

Utilități

Utilități
Utilități în zonă
Amenajare străzi
Neamenajate
Alte caracteristici
Acces auto
Comision
0%

Proprietăți similare

Teren Construcții intravilan de 435 mp, în Malu Mare
52.000 €
Județul Dolj, Malu Mare
435 mp teren
Construcții
Teren Construcții intravilan de 1469 mp, în Malu Mare
58.760 €
Județul Dolj, Malu Mare
1.469 mp teren
Construcții
Teren Construcții intravilan de 435 mp, în Preajba
52.200 €
Județul Dolj, Preajba
435 mp teren
Construcții

Detalii de contact

Mr.Exclusivitate Valoria

Oana Ticu Consultant Imobiliar

Mr.Exclusivitate Valoria
PRO

Abonează-te la newsletter să fii primul care primește cele mai noi recomandări de proprietăți și sfaturi de la experți.

CONTACT

Creează alertă

Salvează căutarea ca să primești pe email ultimele anunțuri publicate

Terenuri construcții de vânzare în Malu Mare, Județul Dolj