3

Teren intravilan 300mp | Hanul cu Peste | Comision 0%

76.000 €
253.33 € / mp

Mamaia-Sat, Județul Constanța

Sup. teren:
300 mp
Tip:
Construcții
  • • Comision 0%
  • • Exclusivitate
  • • Locație exactă

Descriere teren

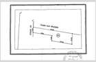
Agenția imobiliară Danicris va propune spre achiziție un teren intravilan, situat într-o zona liniștită și cu acces rapid către plajă, în Mamaia Nord. Terenul este situat pe partea cu lacul Siutghiol, în a două linie de la bulevardul Mamaia Nord, având acces foarte rapid către Profi, Mega Image, Hanul cu Peste, la 3-4 min de mers pe jos, și plaja la numai 9 minute de mers pe jos. Lotul dispune de o suprafață de 300 mp, cu o deschidere la stradă de 5,08 m (alee cu lungimea de 19,94 m), care se lărgește până la 10,02m pe o lungime de 20,06 m. Conform Certificatului de Urbanism informativ, procentul de ocupare a terenului (POT) este de maxim 35%. Strada pe care este poziționat terenul este liniștită, iar toate utilitățile (canalizare, apă, gaz, energie electrică) sunt disponibile pe stradă. *Comision 0% *Proprietate reprezentată exclusiv, acceptăm colaborări cu agenții imobiliare. Pentru mai multe informații sau pentru a programa o vizionare, nu ezitați să ne contactați la numărul de telefon .
Citește mai mult Citește mai puțin
Electricitate Apă Gaz Canalizare

Detalii teren

ID anunț: XCU80300M Copiat! 271231675 Copiat!
Actualizat în: 22 Octombrie 2025
Clasificare teren: Intravilan
Front stradal: 5.08 m
Nr. fronturi stradale: 1

Utilități

Utilități
Utilități în zonă
Amenajare străzi
Asfaltate Iluminat stradal Mijloace de transport în comun
Comision
0%

Puncte de interes

Recreere
restaurant
Terasa Merlin
Restaurant aprox. 496 m
park
Parc
Parcuri aprox. 529 m
supermarket
Max supermarket
Supermarket aprox. 1123 m
sports-ground
Teren sportiv
Terenuri sport aprox. 1943 m

Proprietăți recomandate

Detalii de contact

Danicris

Daniela Real Estate Broker

Danicris

Abonează-te la newsletter să fii primul care primește cele mai noi recomandări de proprietăți și sfaturi de la experți.

CONTACT

Creează alertă

Salvează căutarea ca să primești pe email ultimele anunțuri publicate

Terenuri construcții de vânzare în Mamaia-Sat, Județul Constanța