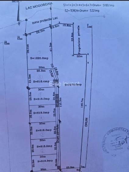
Teren intravilan Mogosoaia- 7 Loturi-Suprafata totala 5180 mp-Deschidere Lac

86.000 €
139.16 € / mp

Mogoșoaia, Județul Ilfov

Sup. teren:
618 mp
Tip:
Construcții
  • • Locație exactă

Descriere teren

Vanzare teren intravilan in Mogosoaia Deschidere lac 30mp Suprafata totala - 5180mp Terenul este deja parcelat astfel: 6 parcele a cate 618mp si o parcela de 1220mp Utilitati (curent, gaze apa) foarte aproape de teren, canalizarea se va pune anul acesta in functiune, Se doreste vanzarea integrala, este ideal pentru dezvoltarea unui complex de case Pentru vanzarea integrala, pretul/mp este negociabil Exista si posibilitatea vanzarii pe parcele, pretul este de 140 euro mp/negociabil Acte pregatite pentru vanzare UPdate: au ramas dispobibile doar 5 parcele, primele 5 de la strada.
Citește mai mult Citește mai puțin

Detalii teren

ID anunț: XFQU03000 Copiat! 259212059 Copiat!
Actualizat în: 23 Aprilie 2026
Clasificare teren: Intravilan
Front stradal: 30 m
Nr. fronturi stradale: 1
Lățime drum acces: 4 m

Utilități

Destinație
Rezidențial
Utilități
Utilități în zonă
Amenajare străzi
Pietruite
Alte caracteristici
Parcelabil Acces auto
Comision
2%

Vecinătăți:

Parc Mogosoaia, Lac, Palatul Mogosoaia

Puncte de interes

Școală
school
Scoala generala
Școli aprox. 1241 m
school
Scoala Mogosoaia
Școli aprox. 1249 m
Recreere
sports-ground
Teren sportiv
Terenuri sport aprox. 556 m
sports-ground
Teren sportiv
Terenuri sport aprox. 575 m
park
Domeniul Mogosoaia
Parcuri aprox. 1027 m
restaurant
Restaurant Casa Vanatoreasca
Restaurant aprox. 1889 m

Proprietăți similare

Teren Construcții intravilan de 383 mp, în Mogoșoaia
82.345 €
Județul Ilfov, Mogoșoaia
383 mp teren
Construcții
Teren Construcții intravilan de 892 mp, în Mogoșoaia
80.000 €
Județul Ilfov, Mogoșoaia
892 mp teren
Construcții
Teren Construcții intravilan de 603 mp, în Mogoșoaia
81.000 €
Județul Ilfov, Mogoșoaia
603 mp teren
Construcții

Detalii de contact

Elite Invest

Liana Marin

Elite Invest
PRO

Abonează-te la newsletter să fii primul care primește cele mai noi recomandări de proprietăți și sfaturi de la experți.

CONTACT

Creează alertă

Salvează căutarea ca să primești pe email ultimele anunțuri publicate

Terenuri construcții de vânzare în Mogoșoaia, Județul Ilfov