4

Teren Livezilor | Planul 2 | Zona linistita | 2 loturi

109.000 €
151.81 € / mp

Mogoșoaia, Județul Ilfov

Sup. teren:
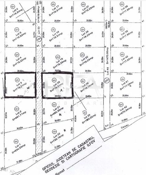
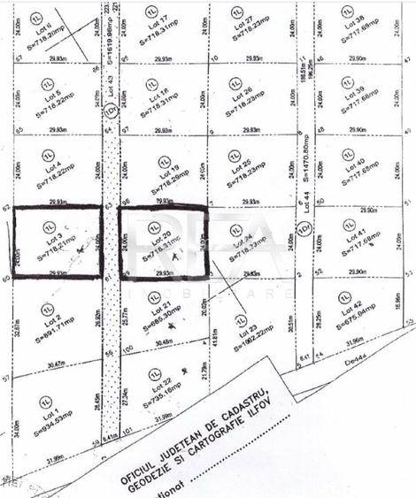
718,21 mp
Tip:
Construcții
  • • Locație exactă

Descriere teren

REA Imobiliare va propune spre vanzare un teren cu o pozitie deosebita in Mogosoaia, departe de zgomotul urban. Dispune de utilitati in proximitate. Terenul are o suprafata de 712m.p, cu un front stradal, de 24 m.l, are deschidere la drum de servitute. Se accepta toate modalitatile de plata. Informatiile tehnice au caracter orientativ, acestea fiind preluate de la proprietari. Pentru mai multe detalii si vizionari, ne puteti contacta telefonic, specificand codul de identificare P4851.
Citește mai mult Citește mai puțin

Detalii teren

ID anunț: XDKS1301G Copiat! 238849216 Copiat!
Actualizat în: 08 Ianuarie 2026
Clasificare teren: Intravilan
Front stradal: 24 m
Nr. fronturi stradale: 1
Lățime drum acces: 6.41 m

Utilități

Utilități
Utilități în zonă
Amenajare străzi
Asfaltate
Comision
standard

Puncte de interes

Mijloace transport
bus-station
Gara Chitila
Stații autobuz aprox. 1839 m
bus-station
Chitila
Stații autobuz aprox. 1849 m
train-station
Gara Chitila
Stații tren aprox. 1858 m
Recreere
supermarket
Mega Image
Supermarket aprox. 1169 m
restaurant
Restaurant Casa Vanatoreasca
Restaurant aprox. 1180 m
park
Padurea Chitila
Parcuri aprox. 1668 m
sports-ground
Teren sportiv
Terenuri sport aprox. 1710 m

Proprietăți recomandate

Detalii de contact

R.E.A. Imobiliare

Emanuel Lapadatu Manager

4.89(3 review-uri)

R.E.A. Imobiliare
PRO

Abonează-te la newsletter să fii primul care primește cele mai noi recomandări de proprietăți și sfaturi de la experți.

CONTACT

Creează alertă

Salvează căutarea ca să primești pe email ultimele anunțuri publicate

Terenuri construcții de vânzare în Mogoșoaia, Județul Ilfov