1

Teren intravilan - pretabil constructie P+1+M

75.000 €
132.98 € / mp

Năvodari, Județul Constanța

Sup. teren:
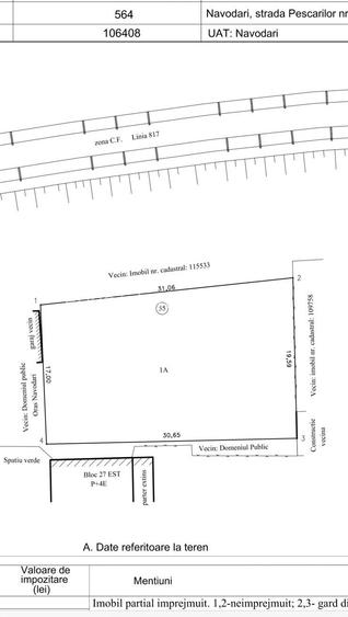
564 mp
Tip:
Construcții
  • • Locație exactă

Descriere teren

Perla Imobiliare va propune spre vanzare un teren intravilan pentru constructii rezidentiale, situat in centrul orasului Navodari, pe strada Pescarilor. Suprafata: 564 mp (aprox. 18m x 31m), acces direct din alee asfaltata. Regim de inaltime autorizat: P+1+M. Toate utilitatile existente la limita proprietatii (apa, gaz, electricitate). Pret 75000 euro negociabil. Comision 2%.
Citește mai mult Citește mai puțin
Electricitate Apă Gaz Canalizare

Detalii teren

ID anunț: XA3T03011 Copiat! 275281979 Copiat!
Actualizat în: 18 Mai 2026
Tip tranzacție: De vânzare prin agent
Clasificare teren: Intravilan
Front stradal: 18 m
Nr. fronturi stradale: 1
Modalitate de plată: Cash sau Credit

Utilități

Destinație
Rezidențial
Amenajare străzi
Asfaltate Iluminat stradal Mijloace de transport în comun
Alte caracteristici
La șosea
Comision
2%

Puncte de interes

Mijloace transport
train-station
fosta gară Năvodari
Stații tren aprox. 615 m
bus-station
Navodari
Stații autobuz aprox. 1717 m
train-station
Statia CFR Năvodari
Stații tren aprox. 1748 m
Școală
school
scoala nr2 (en)
Școli aprox. 447 m
school
Scoala cu clasele 1-8 Grigore Moisil
Școli aprox. 463 m
school
Scoala nr1, Navodari
Școli aprox. 527 m
school
Gr. sc. Lazar Edeleanu
Școli aprox. 653 m
Recreere
supermarket
Supermarket Laura & Ionel
Supermarket aprox. 200 m
park
Parc
Parcuri aprox. 240 m
restaurant
Davis
Restaurant aprox. 388 m
sports-ground
Teren sportiv
Terenuri sport aprox. 424 m

Proprietăți similare

Teren Construcții intravilan de 1100 mp, în CET
77.000 €
Constanța, CET
1.100 mp teren
Construcții
Teren Construcții intravilan de 500 mp, în Km 5
74.500 €
Constanța, Km 5
500 mp teren
Construcții
Teren Construcții intravilan de 540 mp, în Cumpăna
67.500 €
Județul Constanța, Cumpăna
540 mp teren
Construcții

Detalii de contact

Perla Litoral Imobiliare

Elena Puscasu Broker Imobiliar

Perla Litoral Imobiliare

Abonează-te la newsletter să fii primul care primește cele mai noi recomandări de proprietăți și sfaturi de la experți.

CONTACT

Creează alertă

Salvează căutarea ca să primești pe email ultimele anunțuri publicate

Terenuri construcții de vânzare în Năvodari, Județul Constanța