Lot teren 80000 mp Otopeni Sud Est dezvoltare sau lotizare

9.969.500 €
125 € / mp

Otopeni, Județul Ilfov

Sup. teren:
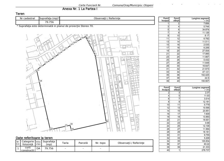
79.756 mp
Tip:
Construcții
  • • Locație aproximativă

Descriere teren

GOPO Real Estate va propune spre vanzare un teren cu o suprafata de 79756 mp pozitionat in Otopeni, in partea de Sud - Est a orasului, iar conform PUG Otopeni se regaseste la limita zonei rezidentiale, in perimetrul zonei cu caracter central si servicii. Aceasta coincide în mare măsură cu traseele importante de circulație ale orașului si se situeaza în cea mai mare parte în interiorul limitelor actualului intravilan si conține marea majoritate a clădirilor importante ale Orașului. Valoarea deosebită datorată importanței “locului central” de amplasare necesită o atentă reglementare care să permită o dezvoltare armonioasă și care să se constituie într-o sursă importantă de venituri pentru locuitori și pentru bugetul local. Pentru a estima potentialul real de valorificare si dezvoltare al terenului, acesta necesita executarea documentatiei PUZ, iar in functie de destinatia aleasa se pot contura variante de dezvoltare ale proiectului propus sau lotizare si revanzare. Proprietar persoana juridica, fara activitate - vanzarea se face prin preluarea firmei. Pretul este negociabil, iar pentru detalii sau programarea unei vizionari va stau la dispozitie.
Citește mai mult Citește mai puțin
Electricitate Apă Canalizare

Detalii teren

ID anunț: XCRT1304B Copiat! 251192015 Copiat!
Actualizat în: 29 Decembrie 2025
Clasificare teren: Intravilan
Front stradal: 100.0 m
Nr. fronturi stradale: 2

Utilități

Destinație
Rezidențial Birouri Comercial
Amenajare străzi
Iluminat stradal Mijloace de transport în comun Asfaltate
Comision
standard

Vecinătăți:

Otopeni

Disponibilitate proprietate:

Imediat

Puncte de interes

Mijloace transport
airport
Aeroportul International Henri Coanda (OTP)
Aeroporturi aprox. 1545 m
airport
Aeroportul Internațional Henri Coandă București (Otopeni)
Aeroporturi aprox. 1635 m
Școală
kindergarten
Gradinita numarul 1
Gradinițe aprox. 1657 m
Recreere
supermarket
Mega Image Otopeni-Tunari
Supermarket aprox. 193 m
sports-ground
Teren sportiv
Terenuri sport aprox. 1578 m

Proprietăți recomandate

Detalii de contact

GOPO REAL ESTATE

Paul Gaitan Sales Manager

GOPO REAL ESTATE
PRO

Abonează-te la newsletter să fii primul care primește cele mai noi recomandări de proprietăți și sfaturi de la experți.

CONTACT

Creează alertă

Salvează căutarea ca să primești pe email ultimele anunțuri publicate

Terenuri construcții de vânzare în Otopeni, Județul Ilfov