Teren de vânzare – Str. Izvorului, Pitești, zona Stadion

110.000 €
100.82 € / mp

Tancodrom, Pitești

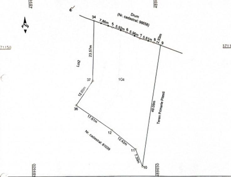
Sup. teren:
1.091 mp
Tip:
Construcții
  • • Locație aproximativă

Descriere teren

ID: EXP345. Compania imobiliara iNEX | eXp vă oferă spre de vanzare teren în suprafață de 1.000 mp, situat în Pitești, pe Strada Izvorului, în apropierea zonei Stadion. Terenul este branșat la utilități: apă, canalizare și curent electric trifazic (380V). Posibilitate de parcelare, ideal atât pentru investiție, cât și pentru construcție de locuințe individuale. Acces facil la drum public, într-o zonă liniștită, dar aproape de oraș. Mentioneaza cand ne suni: ID: EXP345 si site-ul unde ati vazut anuntul. Ne puteti suna NON STOP in functie de disponibilitate raspundem la orice ora! - * La achizitionarea imobilului cu credit Noua Casa/imobiliar/ipotecar primiti asistenta GRATUIT la realizarea dosarului bancar. * Nu ne asumam raspunderea pentru greselile de afisare sau erori ale sistemelor informatice, care pot afecta oricare dintre informatiile furnizate. * Informatiile schitele, preturile si imaginile prezentate in acest anunt au scop pur informativ si nu au caracter angajant de orice natura si pot suferi modificari.
Citește mai mult Citește mai puțin
Electricitate Apă Gaz Canalizare

Detalii teren

ID anunț: XG6P0301O Copiat! 275366379 Copiat!
Actualizat în: 27 Martie 2026
Clasificare teren: Intravilan

Utilități

Utilități
Curent trifazic Utilități în zonă
Amenajare străzi
Asfaltate Iluminat stradal
Alte caracteristici
Parcelabil Acces auto Teren împrejmuit

Puncte de interes

Mijloace transport
bus-station
Comisariat statie
Stații autobuz aprox. 1120 m
bus-station
Craiovei Statie
Stații autobuz aprox. 1128 m
bus-station
Comisariat
Stații autobuz aprox. 1140 m
bus-station
Negoiu statie
Stații autobuz aprox. 1202 m
Școală
school
Colegiul Tehnic Dimitrie Dima
Școli aprox. 504 m
school
Scoala Nr. 17
Școli aprox. 790 m
university
Facultatea de Stiinte ale Educatiei
Universități aprox. 1554 m
university
Universitatea din Pitesti - Corp D
Universități aprox. 1662 m
Recreere
park
Parc
Parcuri aprox. 638 m
sports-ground
Teren sportiv
Terenuri sport aprox. 746 m
bar
IONTON BANATULUI
Bar aprox. 888 m
supermarket
Lidl
Supermarket aprox. 924 m

Proprietăți similare

Teren Construcții intravilan de 2492 mp, în Calea București
99.998 €
Pitești, Calea București
2.492 mp teren
Construcții
Teren Construcții intravilan de 2183 mp, în Prundu
109.000 € + TVA
Pitești, Prundu
2.183 mp teren
Construcții
Teren Construcții intravilan de 319 mp, în Nord
111.650 €
Pitești, Nord
319 mp teren
Construcții

Detalii de contact

EXP REALTY ROMANIA

Alexandru SANDU Regional eXp Ambassador

EXP REALTY ROMANIA
PRO

Abonează-te la newsletter să fii primul care primește cele mai noi recomandări de proprietăți și sfaturi de la experți.

CONTACT

Creează alertă

Salvează căutarea ca să primești pe email ultimele anunțuri publicate

Terenuri construcții de vânzare în zona Tancodrom, Pitești