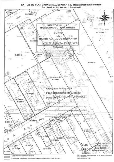
Teren de vanzare de 503 mp , cu deschidere pe 2 laturi .
Teren fara constructii existente pe el . PUD aprobat
O latura de 39 ml si una de 13 ,2 ml .
Telefon : .
Sediul central - Timișoara
Bulevardul Victor Babeș nr. 2, 300230, Timișoara, România
Tel: +40.374.40.44.98 / Fax: +40.256.401.179
Email: suport@imobiliare.ro
Luni - Vineri 08:00 - 20:00
Punct de lucru - București: Iride Business Park, Bld. Dimitrie
Pompeiu 9-9A, Clădirea B2B,
020335, Sector 2, București, România
CONTACT
Sediul central - Timișoara
Bulevardul Victor Babeș nr. 2, 300230, Timișoara, România
Tel: +40.374.40.44.98 / Fax: +40.256.401.179
Email: suport@imobiliare.ro
Luni - Vineri 08:00 - 20:00
Punct de lucru - București: Iride Business Park, Bld. Dimitrie
Pompeiu 9-9A, Clădirea B2B,
020335, Sector 2, București, România
Sună acum și cere detalii sau programează o vizionare.
Cere detalii prin email
*
*
*
*
Stații autobuz
Stații tramvai
Stații metrou
Stații tren
Stații troleibuz
Școli
Gradinițe
Universități
Supermarket
Parcări
Parcuri
Terenuri sport
Piețe publice
Farmacie
Spital
Restaurant
Bar
Cafenea
Pub
Bancă
Statie Clabucet 780, N117, 105, 65, 97, 86
aprox.
84 m
Maxi-Taxi Chibrit - Mogosoaia - Buftea
aprox.
108 m
1 Mai
aprox.
142 m
1 Mai (M4)
aprox.
142 m
Statie Bd. Ion Mihalache/ Clabucet linii : 300, N118, 20, 24, 42, 45
aprox.
158 m
Statie Clabucet 300, 105, 780
aprox.
215 m
Statie Carpati N118, N117, 20, 24, 45, 65, 97, 86
aprox.
330 m
Statie R.A.R. N117, 105, 65, 97, 86
aprox.
424 m
Statie Bd. Expozitiei / Grivita 42, 105
aprox.
545 m
Soseaua Chitilei
aprox.
708 m
Statie Bd. Bucurestii Noi / Depoul Bucurestii Noi / Soseaua Chitilei N118, N117, 20, 24, 45, 65, 97, 86
aprox.
718 m
Statie Traian Vasile 42, 105
aprox.
992 m
Sandu Aldea
aprox.
1076 m
Statia Bd. Constructorilor linia 162, 163, N110
aprox.
1090 m
Statia Godeni linia:162, 163, N110
aprox.
1093 m
Carpati
aprox.
110 m
Clabucet
aprox.
182 m
Bd. Ion Mihalache
aprox.
197 m
Clabucet
aprox.
265 m
Statie Grivita Tv42
aprox.
385 m
Grivita
aprox.
484 m
Grivita
aprox.
545 m
Bulevardul Bucurestii Noi
aprox.
694 m
Depoul Bucurestii Noi
aprox.
748 m
Bd. Expozitiei
aprox.
838 m
Navigatiei
aprox.
981 m
Statia Navigatiei, linia 45
aprox.
991 m
Statia Bd. Constructorilor linia 11
aprox.
1067 m
Statia Godeni linia 11
aprox.
1077 m
Bd. Constructorilor
aprox.
1078 m
Metrorex. Stația 1 Mai (M4)(2000)
aprox.
142 m
Metrorex Statia 1 Mai M4
aprox.
236 m
Stație metrou "Jiului"
aprox.
1166 m
Metrorex. Stația Grivița (M4)(2000)
aprox.
1245 m
Metrorex. Stația Grivița (M4) (en)
aprox.
1279 m
Metrorex. Stația Jiului (M4)(2011)
aprox.
1288 m
Statie Grivita M4
aprox.
1332 m
Acces stația Parc Bazilescu N117, 112, 20, 97, M4
aprox.
1860 m
Metrorex. Stația Parc Bazilescu (M4)(2011)
aprox.
1938 m
Halta CFR Bucuresti Basarab h
aprox.
1172 m
Statie Caraiman 65, 97, 86
aprox.
1511 m
Statie Cimitirul Sf. Vineri 65, 97, 86
aprox.
1776 m
Statie Pasaj Grant 65, 97, 86
aprox.
1978 m
Scoala Nr. 180
aprox.
472 m
Liceul Greco-Catolic "Timotei Cipariu"
aprox.
472 m
Liceul Greco-Catolic Timotei Cipariu
aprox.
475 m
COLEGIUL TEHNIC MECANIC GRIVITA
aprox.
488 m
Clubul Sportiv Scolar nr.1 Pajura
aprox.
558 m
cantina Lic.12
aprox.
766 m
Scoala Nr. 175 Sf. Nicolae
aprox.
783 m
Gradinita Iboo
aprox.
788 m
Liceul teologic greco catolic
aprox.
807 m
Colegiul Tehnic Feroviar "Mihai I"
aprox.
826 m
Grup Scolar Industrial Transporturi CF
aprox.
834 m
Scoala Nationala de Studii Politice si Administrative (SNSPA)
aprox.
855 m
Colegiul Tehnic Mircea cel Batran
aprox.
856 m
SNSPA
aprox.
858 m
Liceul Aurel Vlaicu
aprox.
932 m
Gradinita de copii nr.281 Steaua
aprox.
959 m
Gradinita nr. 281
aprox.
969 m
Gradinita nr. 43
aprox.
1001 m
Gradinita Nr. 43
aprox.
1030 m
Gradinita Ciupercuta
aprox.
1058 m
Gradinita Karin's Kids Academy
aprox.
1142 m
Gradinita 97
aprox.
1171 m
Gradinita cu program prelungit Winnie
aprox.
1244 m
Gradinita Winnie
aprox.
1244 m
Gradinita Casuta Piticilor
aprox.
1480 m
Gradinita nr 40
aprox.
1604 m
Gradinita Happy Tweety
aprox.
1608 m
Gradinita nr. 222
aprox.
1691 m
Gradinita 97
aprox.
1792 m
Facultatea de Biotehnologii
aprox.
1088 m
Facultatea de Viticultura
aprox.
1146 m
Universitatea Romano-Americana
aprox.
1325 m
Universitatea de Stiinte Agronomice si Medicina veterinara
aprox.
1332 m
Campus Universitatea de Stiinte Agronomice si Medicina Veterinara Bucuresti
aprox.
1340 m
ICPA Bucuresti
aprox.
1662 m
Universitatea De Stiinte Agronomice Si Medical Veterinare
aprox.
1713 m
Institutul de Cercetări Metalurgice
aprox.
1820 m
Mega Image
aprox.
54 m
Magazin Alimentar
aprox.
499 m
Carrefour market
aprox.
722 m
Mega Image
aprox.
776 m
Pronto Expres
aprox.
929 m
Express
aprox.
994 m
Penny Market
aprox.
1149 m
Mega Image
aprox.
1190 m
Kaufland
aprox.
1206 m
Rom Sep
aprox.
1217 m
Profi
aprox.
1226 m
Annabella
aprox.
1312 m
Profi City Pajura
aprox.
1333 m
Profi
aprox.
1360 m
Mega Image Giulesti-Prunaru
aprox.
1496 m
Parcare
aprox.
39 m
Parcare
aprox.
159 m
Parcare
aprox.
257 m
Parcare
aprox.
653 m
Parcare
aprox.
657 m
Parcare
aprox.
702 m
Parcare
aprox.
735 m
Parcare pentru clienti
aprox.
737 m
Parcare
aprox.
795 m
Parcare
aprox.
821 m
Parcare privata
aprox.
1060 m
Parcare
aprox.
1070 m
Parcare
aprox.
1142 m
Parcare
aprox.
1153 m
Parcare
aprox.
1169 m
Parc
aprox.
171 m
Parc
aprox.
236 m
Parc
aprox.
392 m
parculet de joaca pentru copii
aprox.
401 m
Parc
aprox.
408 m
Parc
aprox.
433 m
Parc leagane (en)
aprox.
493 m
Teren de Fotbal
aprox.
633 m
Parc
aprox.
674 m
Codrii Romexpoului (en)
aprox.
988 m
Parc
aprox.
1015 m
Serele de FLORI - catedra de Floricultura - Facultatea Horticultura
aprox.
1031 m
Parc
aprox.
1114 m
Parc
aprox.
1115 m
Clubul Copiilor nr. 1, Ciresarii
aprox.
1139 m
Teren sportiv
aprox.
472 m
Teren sportiv
aprox.
482 m
Teren sportiv
aprox.
490 m
Teren fotbal acoperit
aprox.
738 m
Teren sportiv
aprox.
810 m
Teren sportiv
aprox.
812 m
Teren sportiv
aprox.
858 m
Teren sportiv
aprox.
1066 m
Teren sportiv
aprox.
1111 m
Teren sportiv
aprox.
1136 m
Teren sportiv
aprox.
1197 m
Teren sportiv
aprox.
1248 m
Teren sportiv
aprox.
1266 m
Teren sportiv
aprox.
1356 m
Teren sportiv
aprox.
1525 m
Piata Montreal
aprox.
1759 m
Belladonna
aprox.
161 m
Catena
aprox.
228 m
M. C. Serv Tour
aprox.
261 m
HelpNet
aprox.
753 m
Flamingo Invest Trading LTD
aprox.
1089 m
Cantena Farmacie
aprox.
1091 m
Belladonna 18
aprox.
1102 m
Farmacia Belladonna 39
aprox.
1107 m
April Farmexim
aprox.
1131 m
Dona
aprox.
1216 m
Catena
aprox.
1218 m
Farmacia 99
aprox.
1299 m
Farmacia Belladonna 40
aprox.
1485 m
Dridu Farm
aprox.
1513 m
Help Net Farma
aprox.
1550 m
Clinica
aprox.
253 m
Anemona Med
aprox.
787 m
Bucharest: MedLife and Memorial Hospital (en)
aprox.
796 m
Medlife Grivita
aprox.
835 m
Policlinica CFR (en)
aprox.
937 m
Spitalul de Chirurgie Plastica, Reparatorie si Arsi
aprox.
993 m
Spitalul Clinic de Urgenta Chirurgie Plastica
aprox.
993 m
Ava Clinique
aprox.
1210 m
Policlinica Pajura
aprox.
1367 m
Spitalul de Copii Caraiman
aprox.
1445 m
Centrul de Dializa dr.Carol Davila
aprox.
1538 m
Centrul de Dializa Fresenius Bucuresti
aprox.
1547 m
Spitalul Cfr 2
aprox.
1676 m
Spitalul 2 CFR
aprox.
1684 m
Genesys Fertility Center
aprox.
1721 m
La Hussein
aprox.
126 m
Gerard
aprox.
214 m
Restaurant Gerrard
aprox.
229 m
Food Mania
aprox.
365 m
Terasa La Turcu
aprox.
452 m
Vechea Napoli
aprox.
653 m
Famous Giulesti PUB / Bar
aprox.
845 m
Forneti
aprox.
912 m
cantina agronomie
aprox.
1092 m
Cantina Agronomie
aprox.
1100 m
Terasa TASTE
aprox.
1148 m
Rotiserie
aprox.
1458 m
Coin Vert (en)
aprox.
1570 m
Hotel Diplomat ****
aprox.
1572 m
Mica Elvetie (en)
aprox.
1577 m
Zodiac
aprox.
1051 m
Bar de cartier
aprox.
1167 m
Bar
aprox.
1226 m
Bar Adesim
aprox.
1900 m
French Bakery
aprox.
1524 m
The King
aprox.
1848 m
Bordo Caffe1
aprox.
1904 m
Casa Mara
aprox.
1888 m
Bancpost - Piata Chibrit
aprox.
46 m
Alpha Bank
aprox.
73 m
Banca Transilvania - Ag. Piata Chibrit
aprox.
119 m
OTP Bank
aprox.
126 m
ING Chibrit
aprox.
142 m
Piraeus Bank
aprox.
155 m
Raiffaisen Bank
aprox.
168 m
Garanti Bank
aprox.
169 m
BRD
aprox.
983 m
Banca Transilvania - Ag. Giulesti
aprox.
1090 m
Raiffeisen Bank
aprox.
1208 m
Raiffeisen Bank Pajurei (en)
aprox.
1220 m
BRD Pajura (en)
aprox.
1297 m
BRD
aprox.
1298 m
Raiffeisen Bank
aprox.
1410 m
Zona 1 Mai dispune nu doar de o poziție privilegiată față de centrul Capitalei, dar este și conectată cu alte cartiere ale orașului prin diverse mijloace de transport în comun. Poți să iei metroul de la stațiile aflate de-a lungul Căii Grivița, mai exact 1 Mai, Grivița și Basarab. Toate acestea se află pe Magistrala M4 care leagă Gara de Nord de zona Străulești. Astfel, vei ajunge de la stația Basarab la Piața Victoriei chiar și în 5 minute. Iar în zona Eroilor în circa 10 minute. Alte mijloace de transport în comun la care ai putea să apelezi dacă te muți în zona 1 Mai sunt tramvaiul 42, care leagă Piața Presei de Gara de Nord și tramvaiul 41, care ajunge în Drumul Taberei și în Ghencea. Consultă harta pentru a vedea care sunt cele mai apropiate stații de locuința de care ești interesat.
Una dintre principalele unități de învățământ din zona 1 Mai este Colegiul Național "Ion Neculce". Acesta este amplasat în apropierea Cimitirului evreiesc Filantropia. Colegiul poate fi potrivit dacă îți dorești ca încă din clasa a V-a copilul tău să învețe intensiv o limbă străină, având în vedere că acesta dispune de clase cu program intensiv în limba germană și italiană. Găsești pe hartă și alte unități de învățământ aflate în zona 1 Mai și în vecinătatea acesteia.
Ești interesat de o locuință în zona 1 Mai și te gândești unde ai putea să-ți faci cumpărăturile odată ce te muți acolo? Vei avea în zonă Piața Ion Mihalache și în apropiere Piața Domenii. Poți să ajungi destul de ușor la magazinele Kaufland sau Penny de pe Bulevardul Bucureștii Noi, iar cu mașina ajungi în câteva minute la complexul comercial Colosseum Retail Park de pe Șoseaua Chitilei. Cele mai apropiate mall-uri vor fi AFI Cotroceni, Băneasa Shopping City sau Promenada. Distanța pe care va trebui să o parcurgi pentru a ajunge la acestea va fi destul de mare, motiv pentru care vei merge la ele doar cu mașina. Află unde îți vei putea face cumpărăturile dacă te muți în zona 1 Mai consultând harta.
Dacă ai mașină sau te gândești să îți iei carnetul în curând și să nu mai circuli cu mijloacele de transport în comun, atunci trebuie să știi că traficul rutier în zona 1 Mai este concentrat pe marile artere de circulație, precum bulevardele Ion Mihalache și Banu Manta, Calea Grivița și Șoseaua Nicolae Titulescu. La marginea acestei zone se află, totodată, Pasajul Basarab care unește Sectorul 1 de Sectorul 6 și face parte din inelul interior de circulație al Bucureștiului, dar și Podul Grant care leagă Bulevardul Ion Mihalache de cartierul Crângași. La orele de vârf, traficul este de multe ori îngreunat. Îți recomandăm, totodată, să verifici dacă poți închiria un loc de parcare pentru mașina ta în apropierea locuinței de care ești interesat. Pentru a face acest lucru trebuie să te adresezi Serviciului Parcaje din cadrul ADP Sector 1. Consultă harta și află unde sunt localizate principalele parcări din zonă.
Dacă alegi să te muți în zona 1 Mai vei avea relativ aproape Parcul Regele Mihai I al României (fostul Herăstrău). Aici te vei putea plimba alături de familie în weekend-uri sau vei putea petrece câteva ore la terasă cu prietenii. Un alt parc aflat în vecinătatea acestei zone este Kiseleff, iar lângă el găsești trei muzee importante din Capitală - Antipa, Muzeul Țăranului Român și Muzeul de Geologie. Poți face aici o vizită educativă alături de copilul tău. Și Parcul Bazilescu se află în apropiere. Poți să ajungi rapid la el cu troleibuzul 97. Nici Centrul Expozițional Romexpo, unde sunt organizate periodic diferite concerte, expoziții și târguri, nu se va afla departe de noua ta locuință. O plimbare cu bicicleta în zona Parcului Regele Mihai I al României poate fi o altă variantă bună de relaxare în timpul liber. Ajungi destul de repede și pe Calea Victoriei. Și aici ai o pistă specială pentru bicicliști, dar poți să faci un popas și la una dintre cafenelele din zonă. Dacă preferi să-ți petreci ziua la cumpărături, atunci vei ajunge cu mașina în câteva minute la mall-ul Băneasa Shopping City. Consultă harta și află ce alte opțiuni de petrecere a timpului liber vei avea la dispoziție, dacă te muți în zona 1 Mai.
În zona 1 Mai și în apropierea acesteia ai la dispoziție mai multe unități sanitare la care poți apela. Amintim în acest sens Spitalul Clinic Sfânta Maria, de pe Bulevardul Ion Mihalache, spitalele Elias și CF 2 din zona Domenii și MedLife Life Memorial Hospital de pe Calea Griviței. Găsești pe hartă și alte clinici private la care ai acces în împrejurimi.
Găsești câteva restaurante pe Bulevardul Ion Mihalache și în apropierea Parcului Regele Mihai I, în special în Piața Charles de Gaulle. Ajungi destul de repede și în Piața Victoriei unde ai la dispoziție câteva restaurante de tip fast food - McDonald"™s, Subway, Springtime - și două cafenele Starbucks. Dacă pornești apoi pe Calea Victoriei ai la dispoziție numeroase localuri, inclusiv terase. Cu mașina poți să ajungi rapid și la mall-ul Băneasa Shopping CIty unde ai la dispoziție numeroase restaurante, fast food-uri, cafenele și cofetării. Aruncă o privire pe hartă și vezi unde poți lua masa în oraș, dacă te muți în zona 1 Mai.
În zona intersecției dintre Bulevardul Ion Mihalache și Calea Griviței găsești mai multe bancomate - OTP Ban, BRD, BCR. Alte sucursale bancare și ATM-uri sunt disponibile pe Bulevardul Ion Mihalache și în zona Piața Victoriei. Consultă harta. Află ce alte opțiuni ai în apropierea casei.
Înainte să pleci...
Ești sigur că ai văzut și aceste proprietăți?
369.000 €
București, 1 Mai
370 mp teren
Construcții
235.000 €
București, 1 Mai
471 mp teren
Construcții
427.770 €
București, 1 Mai
582 mp teren
Construcții
365.000 €
București, 1 Mai
520 mp teren
Construcții
478.000 €
București, Domenii
250 mp teren
Construcții
1.150.000 €
București, 1 Mai
770 mp teren
Construcții
Creează alertă
Salvează căutarea ca să primești pe email ultimele anunțuri publicate
Terenuri construcții de vânzare în zona 1 Mai, Sector 1
Cere detalii prin email
*
*
*
*
Detaliile tale de contact vor fi partajate cu Sandu Constantin