Teren intravilan 3707 mp - Aviatiei

2.112.990 €
570 € / mp

Aviației, București

Sup. teren:
3.707 mp
Tip:
Construcții
  • • Comision 0%
  • • Locație exactă

Descriere teren

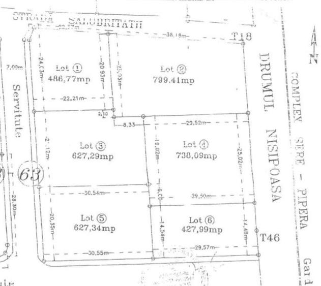
Va propunem spre achizitie un teren intravilan cu destinatia curti-constructii cu suprafata de 3707 metri patrati, aflat la intersectia strazilor Salubritatii cu Drumul Nisipoasa, terenul este aproximativ patrat si are latura dinspre str. Salubritatii de 60,55 metri si latura dinspre str. Drumul Nisipoasa de 64,70 metri. Terenul este format din 6 loturi alipite fiecare cadastrat individual. Terenul are un CUT de 2.2 si un POT de 60% si inaltimea maxima de 21 metri si se poate construi blocuri cu regim de inaltime P+4. Terenul dispune de toate utilitatile: electricitate, gaze, apa, canalizare, iar in prezent gazduieste terenuri de tenis de camp.
Citește mai mult Citește mai puțin
Electricitate Apă Gaz Canalizare

Detalii teren

ID anunț: XBDF13022 Copiat! 47810321 Copiat!
Actualizat în: 27 Februarie 2026
Clasificare teren: Intravilan
Front stradal: 65.0 m
Nr. fronturi stradale: 3

Utilități

Utilități
Utilități în zonă
Amenajare străzi
Iluminat stradal Mijloace de transport în comun Asfaltate
Alte caracteristici
Acces auto La șosea
Comision
0%

Disponibilitate proprietate:

Imediat

Puncte de interes

Mijloace transport
tram-station
Drumul Nisipoasa
Stații tramvai aprox. 489 m
bus-station
Pasaj Baneasa statie 605, 5
Stații autobuz aprox. 929 m
airport
Aeroportul Internațional Băneasa (Aurel Vlaicu) - LRBS (BBU)
Aeroporturi aprox. 1122 m
metro-station
Metrorex. Stația Aurel Vlaicu (M2)(1987)
Stații metrou aprox. 1458 m
Școală
school
Scoala primara si gimnaziala MEA
Școli aprox. 683 m
school
Grupul Școlar de Aeronautică "Henri Coandă".
Școli aprox. 700 m
kindergarten
Gradinita Miniterra
Gradinițe aprox. 1238 m
university
Școala Superioară de Aviație Civilă - S.S.Av.C.
Universități aprox. 1621 m
Recreere
supermarket
Lidl
Supermarket aprox. 766 m
park
Parc
Parcuri aprox. 906 m
sports-ground
Teren sportiv
Terenuri sport aprox. 1063 m
bar
Simbi's
Bar aprox. 1108 m

Proprietăți recomandate

Detalii de contact

SMASH FREE

Alexandru Vladarau Consultant imobiliar

4.74(9 review-uri)

SMASH FREE
PRO

Abonează-te la newsletter să fii primul care primește cele mai noi recomandări de proprietăți și sfaturi de la experți.

CONTACT

Creează alertă

Salvează căutarea ca să primești pe email ultimele anunțuri publicate

Terenuri construcții de vânzare în zona Aviației, Sector 1