REL4000621 Teren Baneasa constructii 522

215.000 €
411.88 € / mp

Băneasa, București

Sup. teren:
522 mp
  • • Locație aproximativă
  • • Vizionare prin apel video

Descriere teren

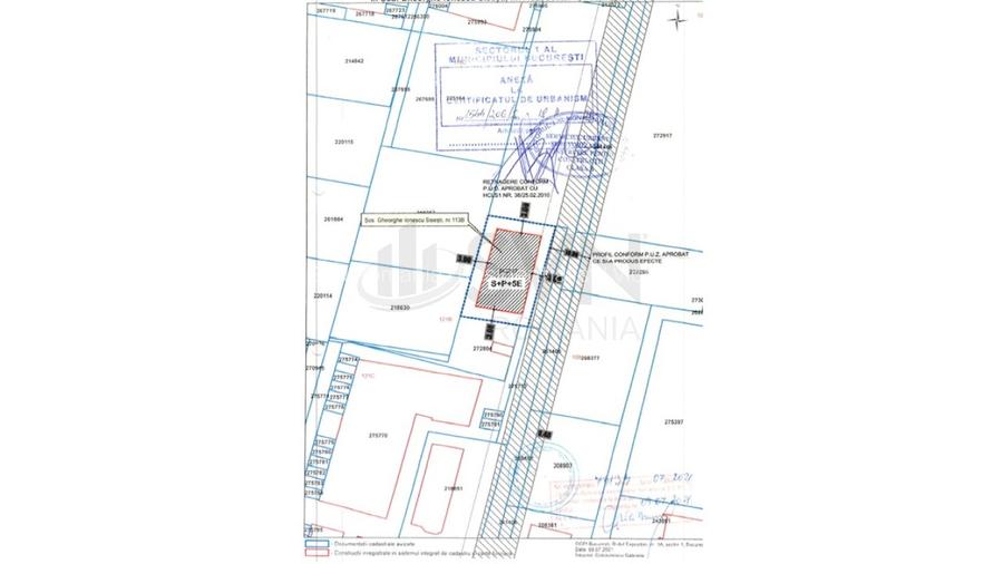
Echipa SVN Romania va prezinta un teren de 522 de mp in zona Baneasa, Sisesti cu posibilitatea de a construi S+P+5E sau 3S+P+8E conform certificatului de urmanism de contruire. Accesul la teren se fare pe un drum asfaltat avand o deschidere generoasa deb 26,6 Terenul prezentat este localizat in Sectorul 1 al Bucurestiului in cea mai cautata zona pentru locuinte cu acces facil la mijloacele de transport in comun si cu posibilitatea de comstruire conform PUZ strada Gheorghe Ionescu Sisesti.
Citește mai mult Citește mai puțin
Electricitate Apă Gaz Canalizare

Detalii teren

ID anunț: X65813BI1 Copiat! 275363689 Copiat!
Actualizat în: 27 Martie 2026
Clasificare teren: Intravilan
Front stradal: 26.60 m
P.O.T.: 50%
C.U.T.: 3.00
Lățime drum acces: 26.60 m

Utilități

Destinație
Rezidențial Comercial Industrial Birouri Birouri
Amenajare străzi
Asfaltate
Comision
Standard

Vicii:

Fără vicii.

Alte detalii:

Cartier Băneasa, alegerea perfectă pentru achiziția imobilelor

Unul dintre cartierele învecinate cu Aviatorilor, Băneasa este unul dintre cele mai căutate și mai apreciate cartiere bucureștene. În apropierea parcului Herăstrău, Băneasa este zona care dă tonul în materie de achiziții imobiliare.

Acest cartier este potrivit pentru persoane care pleacă des în străinătate, aeroportul fiind în vecinătate. Alcătuit din blocuri construite atât după 1980, cât și în ultimii ani, ansamblurile rezidențiale reprezintă alegerea potrivită pentru familii cu tipuri de venit medii și mari. În această zonă au fost construite mai multe ansambluri rezidențiale precum:

● Greenfield Residence;
● Buena Vista Residencial;
● The Ivy;
● Embassy Residence;
● La Citadela.

Acesta cuprinde multe obiective turistice ale capitalei, cum ar fi Arcul de Triumf, Muzeul Satului, Muzeul de Artă Veche Apuseană, vila Nicolae Minovici.

Zona Băneasa, spații verzi și centre comerciale complete

Cartierul Băneasa este alegerea potrivită pentru iubitorii de natură, fiind amplasat lângă lacul Băneasa și pădurea cu același nume. De asemenea, pe lângă activitățile în natură, cei care își achiziționează o locuință în acest cartier se bucură și de alte facilități precum:

● centrul comercial Băneasa Shopping Center cu peste 250 de magazine;
● acces facil la două dintre cele mai cunoscute aeroporturi din țară, Băneasa și Otopeni;
● acces facil la linia de transport în comun;
● școli;
● spitale.

Disponibilitate proprietate:

Disponibil din 04/04/2023.

Puncte de interes

Mijloace transport
bus-station
Statia Drumul Regimentului linii : 205
Stații autobuz aprox. 208 m
bus-station
Statia Piscul Radului, linia 205
Stații autobuz aprox. 313 m
metro-station
Laminorului (M4)
Stații metrou aprox. 1662 m
tram-station
Statie Cartier Damaroaia Tv24
Stații tramvai aprox. 1686 m
Școală
school
International School for Primary Education, Bucharest (en)
Școli aprox. 919 m
school
Scoala Generala Nr. 8
Școli aprox. 979 m
university
Universitatea Bioterra
Universități aprox. 1123 m
kindergarten
Gradinita Ursuletu
Gradinițe aprox. 1739 m
Recreere
restaurant
Vatra Noua
Restaurant aprox. 700 m
park
Parc
Parcuri aprox. 732 m
sports-ground
Teren sportiv
Terenuri sport aprox. 843 m
supermarket
CRIS-TIM
Supermarket aprox. 1698 m

Proprietăți similare

Teren Construcții intravilan de 560 mp, în Băneasa
210.000 €
București, Băneasa
560 mp teren
Construcții
Teren Construcții intravilan de 1040 mp, în Băneasa
210.000 €
București, Băneasa
1.040 mp teren
Construcții
Teren Construcții intravilan de 293 mp, în Băneasa
225.000 €
București, Băneasa
293 mp teren
Construcții

Detalii de contact

Abonează-te la newsletter să fii primul care primește cele mai noi recomandări de proprietăți și sfaturi de la experți.

CONTACT

Creează alertă

Salvează căutarea ca să primești pe email ultimele anunțuri publicate

Terenuri construcții de vânzare în zona Băneasa, Sector 1