Vanzare teren intravilan - Popești-Leordeni / Splaiul Unirii

6.850.000 €
150.38 € / mp

Splaiul Unirii, București

Sup. teren:
45.552 mp
Tip:
Construcții
  • • Locație exactă

Descriere teren

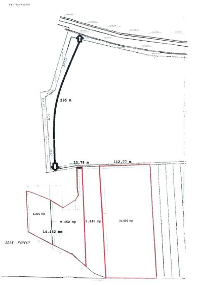
DIRECT PROPRIETAR - Persoana Fizica vanzare Teren intravilan Popesti-Leordeni, Splaiul Unirii Vă oferim spre vânzare un teren intravilan cu o suprafață generoasă de 45.552 mp, compus din trei parcele, în suprafețe de 31.100 mp, 9.452 mp și respectiv de 5.000 mp. Terenul este situat în orașul Popești-Leordeni – județul Ilfov, într-o zonă în plină expansiune, ideal pentru investiții imobiliare. Detalii principale: • Destinație urbanistică: Conform noului Plan Urbanistic General al orașului Popești-Leordeni, terenul este inclus în zona M, fiind permisă construcția de clădiri astfel: - pentru funcțiunea de locuire: regimul maxim de înălțime este de P+4 Etaje; - pentru funcțiunea de birouri: regimul maxim de înălțime este de P+11 Etaje. • Acces rapid și strategic: - Locația terenului, situată în apropierea Splaiului Unirii, permite conexiuni rapide către Șoseaua de Centura DNCB și acces facil la autostrăzile A0, A1 si A2, oferind un avantaj semnificativ în ceea ce privește mobilitatea și transportul. - Accesibilitatea ridicată către principalele artere rutiere din zonă face ca acest teren să fie perfect atât pentru proiecte rezidențiale, cât și comerciale. • Utilități: Disponibile în imediata apropiere. Localizare de excepție: Acest teren este situat într-o zona strategică din Orașul Popești-Leordeni, județul Ilfov, la doar câteva minute de Splaiul Unirii, ceea ce facilitează accesul rapid către centrul Capitalei, dar și către zonele periurbane. În imediata vecinătate se regăsesc instituții de învățământ, supermarketuri, ansambluri rezidențiale și spații verzi, ceea ce transformă zona într-o comunitate urbană bine conectată. De asemenea, apropierea de Șoseaua de Centura DNCB și conexiunile rapide către autostrăzile A0, A1 si A2 oferă un avantaj semnificativ pentru logistică și transport, respectiv asigură totodată o mobilitate excelentă pentru rezidenți și investitori. Avantaje cheie: • Localizare excelentă: În proximitatea unor puncte de interes esențiale, precum: - Mega Image, - Grădinița Nr. 1, - Liceul Teoretic Radu Popescu, - Complexurile rezidențiale Confort City, Trend Residence și Hils Splai. • Zonă cu potențial ridicat de dezvoltare: Cererea crescută pentru locuințe și spatii comerciale în această parte a orașului transformă acest teren într-o alegere ideală pentru investitori. În apropiere, se află în construcție un ansamblu rezidențial de mari dimensiuni. De asemenea, la o distanta de 500 m de terenul propus spre vânzare se află în amenajare Parcul Viscofil, în suprafață de 80.000 mp, ce prevede 7 terenuri de sport, 2 locuri de joaca, skatepark de 300 mp, precum și parcare de 300 de locuri. • Acces facil la transportul în comun: Terenul beneficiază de o poziționare excelentă față de rețeaua de transport public, fiind situat in apropierea stației STB cu linia 223, la o distanță de numai 500 m față de proprietate. În ceea ce privește situația juridică a terenului, precizăm faptul că terenul este liber de orice sarcini și se află în proprietatea unei singure persoane fizice.
Citește mai mult Citește mai puțin

Detalii teren

ID anunț: X8K10300F Copiat! 275481771 Copiat!
Actualizat în: 27 Aprilie 2026
Clasificare teren: Intravilan
Front stradal: 200 m
Nr. fronturi stradale: 2
Lățime drum acces: 14 m

Utilități

Utilități
Utilități în zonă
Amenajare străzi
Asfaltate
Alte caracteristici
Oportunitate de investiție Parcelabil Acces auto
Comision
0%

Puncte de interes

Mijloace transport
bus-station
Statia Sere, linia 223
Stații autobuz aprox. 432 m
bus-station
Statia Taberei, linia 223
Stații autobuz aprox. 538 m
tram-station
I.O.R. 2
Stații tramvai aprox. 1975 m
tram-station
statie tramvai -23, 27 si 40 - I.O.R
Stații tramvai aprox. 1977 m
Școală
school
Liceul Teoretic Radu Popescu
Școli aprox. 1230 m
school
Scoala nr. 1
Școli aprox. 1272 m
kindergarten
Gradinita de copii nr. 211
Gradinițe aprox. 1948 m
kindergarten
Gradinita nr. 211
Gradinițe aprox. 1948 m
Recreere
sports-ground
Teren sportiv
Terenuri sport aprox. 1046 m
park
* LA COCLAU - MOTOCROSS - TRASEU
Parcuri aprox. 1134 m
restaurant
Casa Teca
Restaurant aprox. 1433 m
supermarket
Mega Image
Supermarket aprox. 1467 m

Proprietăți similare

Teren Construcții intravilan de 25000 mp, în Pipera
6.250.000 €
București, Pipera
25.000 mp teren
Construcții
Teren Construcții intravilan de 6772 mp, în Iancu Nicolae
7.000.000 €
București, Iancu Nicolae
6.772 mp teren
Construcții
Teren Construcții intravilan de 15000 mp, în Militari
6.200.000 €
București, Militari
15.000 mp teren
Construcții

Detalii de contact

Abonează-te la newsletter să fii primul care primește cele mai noi recomandări de proprietăți și sfaturi de la experți.

CONTACT

Creează alertă

Salvează căutarea ca să primești pe email ultimele anunțuri publicate

Terenuri construcții de vânzare în zona Splaiul Unirii, Sector 3