8

Teren de vanzare in zona Pallady -Ikea

425.000 €
114.68 € / mp

Theodor Pallady, București

Sup. teren:
3.706 mp
Tip:
Construcții
  • • Locație exactă

Descriere teren

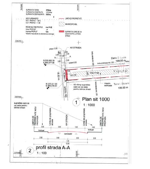
Teren intravilan in suprafata de 3706 mp masurata, deschidere dubla - la Drumul Gura solcii ( 18,50ml) si la Drumul Gura Saratii ( 18,71ml). Certificat de urbanism ( 2024) se poate construi P+3E. POT - propus 39% CUT - propus 1,59
Citește mai mult Citește mai puțin

Detalii teren

ID anunț: XB6N0300Q Copiat! 258019015 Copiat!
Actualizat în: 13 Mai 2025
Clasificare teren: Intravilan
Front stradal: 18 m
Nr. fronturi stradale: 2

Utilități

Destinație
Rezidențial
Utilități
Utilități în zonă
Amenajare străzi
Asfaltate
Comision
2%

Puncte de interes

Mijloace transport
bus-station
Statia Isovolta, linia 246, 103
Stații autobuz aprox. 769 m
metro-station
Metrorex.Stația Anghel Saligny (M3)(2008)
Stații metrou aprox. 1374 m
tram-station
Complex RATB Titan
Stații tramvai aprox. 1382 m
train-station
GARA BUCURESTI-SUD
Stații tren aprox. 1553 m
Școală
school
Spectrum Liceul Teoretic International de Informatica
Școli aprox. 1061 m
school
Scoala cu clasele I-VIII Nr. 47
Școli aprox. 1293 m
school
Scoala Generala nr. 47
Școli aprox. 1336 m
kindergarten
Gradinita nr. 68
Gradinițe aprox. 1814 m
Recreere
park
Parc
Parcuri aprox. 954 m
supermarket
Auchan Pallady
Supermarket aprox. 1097 m
hypermarket
Metro
Hipermarket aprox. 1119 m
sports-ground
Teren sportiv
Terenuri sport aprox. 1304 m

Proprietăți similare

Teren Construcții intravilan de 1667 mp, în Theodor Pallady
416.750 €
București, Theodor Pallady
1.667 mp teren
Construcții
Teren Construcții intravilan de 2150 mp, în Basarabia
450.000 €
București, Basarabia
2.150 mp teren
Construcții
Teren Construcții intravilan de 7000 mp, în Splaiul Unirii
420.000 €
București, Splaiul Unirii
7.000 mp teren
Construcții

Detalii de contact

Catalog Rezidential

Rodica Petcu Consultant Imobiliar

Catalog Rezidential
PRO

Abonează-te la newsletter să fii primul care primește cele mai noi recomandări de proprietăți și sfaturi de la experți.

CONTACT

Creează alertă

Salvează căutarea ca să primești pe email ultimele anunțuri publicate

Terenuri construcții de vânzare în zona Theodor Pallady, Sector 3