Dacă analizezi următorul proiect în București, merită să te uiți atent la acest teren!
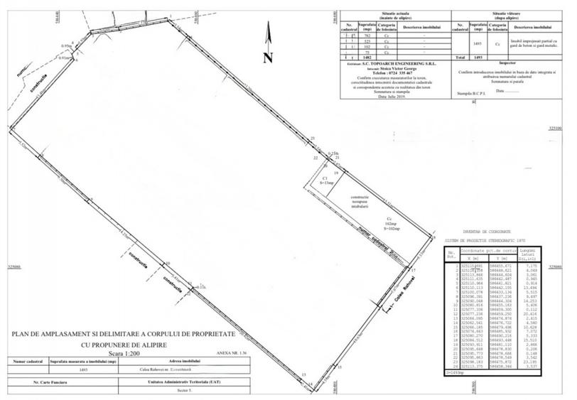
Îți propun spre achiziție un teren cu suprafață totală rezultată de 1387 mp, liber de construcții, poziționat pe Calea Rahovei, în imediata apropiere a Pieței de Flori, zonă cu trafic constant și vizibilitate foarte bună.
Pe lângă terenul deținut, de 1.387 mp, parcela se poate completa prin achiziția suplimentară a celor 102 mp, pentru o diferență de 204.000 euro.
De asemenea, există posibilitatea achiziționării separate a lotului învecinat de 475 mp.
Conform Certificatului de Urbanism, terenul este încadrat în subzona M3 – zonă mixtă.
Pentru valorificarea terenului este necesară inițierea unui PUZ, oferindu-ți posibilitatea de a configura proiectul în funcție de propria strategie.
Asta înseamnă că proiectul poate fi scalat și optimizat din punct de vedere urbanistic.
Zona permite dezvoltare rezidențială cu funcțiuni complementare la parter (spații comerciale / servicii), adresată segmentului mediu – o nișă care se vinde constant în București.
Într-o piață în care terenurile mari din interiorul orașului devin tot mai rare, această poziție oferă flexibilitate și potențial real de dezvoltare!
Sediul central - Timișoara
Bulevardul Victor Babeș nr. 2, 300230, Timișoara, România
Tel: +40.374.40.44.98 / Fax: +40.256.401.179
Email: suport@imobiliare.ro
Luni - Vineri 08:00 - 20:00
Punct de lucru - București: Iride Business Park, Bld. Dimitrie
Pompeiu 9-9A, Clădirea B2B,
020335, Sector 2, București, România
CONTACT
Sediul central - Timișoara
Bulevardul Victor Babeș nr. 2, 300230, Timișoara, România
Tel: +40.374.40.44.98 / Fax: +40.256.401.179
Email: suport@imobiliare.ro
Luni - Vineri 08:00 - 20:00
Punct de lucru - București: Iride Business Park, Bld. Dimitrie
Pompeiu 9-9A, Clădirea B2B,
020335, Sector 2, București, România
statia Piata Arsenalului, linia 385, 136, N121, N122
aprox.
815 m
Statie RATB Autogara Filaret 232 (en)
aprox.
835 m
Statia Parcul Carol I, linia 232, 7, 23, 27, 47
aprox.
838 m
statia Autogara Filaret, linia 232, N107, 7, 47
aprox.
847 m
Statia Autogara Filaret linii : 232, N107, 7, 47
aprox.
852 m
Piata Chirigiu
aprox.
406 m
Statie Tramvai 32, 23
aprox.
411 m
Piata Regina Maria
aprox.
549 m
Soseaua Progresului
aprox.
658 m
Calea Rahovei
aprox.
695 m
Calea Rahovei
aprox.
708 m
Statia Inox, Liniile 1, 8, 11, 25, 47
aprox.
733 m
Soseaua Progresului
aprox.
748 m
Autogara Filaret
aprox.
832 m
Parcul Carol I
aprox.
837 m
Gramont
aprox.
885 m
Parcul Carol I
aprox.
941 m
Patriarhia Romana
aprox.
952 m
Statia Spatarul Preda, linia 1, 11, 25, 47
aprox.
964 m
11 Iunie
aprox.
983 m
Metrorex. Statia Izvor (M1) , (M3).
aprox.
1456 m
Metrorex. Statia Izvor (M1) , (M3).
aprox.
1474 m
Metrorex. Stația Izvor (M1),(M3)(1979)
aprox.
1484 m
Izvor
aprox.
1484 m
Metrorex. Stația Piața Unirii 1 (M1) (en)
aprox.
1573 m
Piata Unirii 1
aprox.
1602 m
Metrorex. Stația Piața Unirii 1 (M1),(M3)(1979)
aprox.
1619 m
Metrorex. Stația Tineretului (M2)(1986)
aprox.
1659 m
Statia Metrou Tineretului(M2)Metrorex
aprox.
1711 m
Tineretului (M2)
aprox.
1736 m
Metrorex. Stația Piața Unirii 2 (M2)(1986)
aprox.
1737 m
Metrorex. Stația Piața Unirii 2 (M2) (en)
aprox.
1773 m
Piata Unirii 2
aprox.
1773 m
Metrorex. Stația Eroilor (M1),(M3)(1979)
aprox.
1786 m
Eroilor
aprox.
1786 m
Statia Facultatea de Drept, linia 61,69,90,91
aprox.
1595 m
Statia Piata Operei, linia 61,69,90,91
aprox.
1697 m
Statia Vasile Parvan 66,70,92
aprox.
1720 m
statia RATB Eroilor: 69, 96
aprox.
1863 m
Statia Stirbei Voda, linia 96
aprox.
1967 m
Academia Tehnica Militara
aprox.
270 m
Casa Academiei
aprox.
305 m
Facultatea de medicina veterinara
aprox.
1122 m
Facultatea de Medicina Veterinara (en)
aprox.
1301 m
Facultatea de Teologie Ortodoxa
aprox.
1469 m
Facultatea de Medicina Veterinara
aprox.
1470 m
Academia de Studii Economice: Facultatea de Management - Administratie Publica
aprox.
1496 m
Academia de Studii Economice
aprox.
1504 m
Universitatea din Bucuresti
aprox.
1566 m
Camin A
aprox.
1650 m
Rectoratul Universitatii din București și sediul Facultății de Drept
aprox.
1675 m
Rectoratul Univ. Bucuresti
aprox.
1675 m
Camin B
aprox.
1698 m
Facultatea de Sociologie si Asistenta Sociala
aprox.
1705 m
Facultatea de Sociologie și Asistență Socială
aprox.
1714 m
Gradinita Cuibusorul Zanelor
aprox.
401 m
Gradinita nr. 268
aprox.
432 m
Gradinita nr. 269
aprox.
442 m
Gradinita nr. 224
aprox.
745 m
Gradinita nr.224, "Vestitorii Primaverii"
aprox.
747 m
GRĂDINIȚA DE COPII ELECTROMAGNETICA
aprox.
879 m
Gradinita nr. 192 (Pisicile aristocrate)
aprox.
1121 m
Gradinita nr.192, "Pisicile Aristocrate"
aprox.
1133 m
Gradinita Motoc
aprox.
1179 m
Gradinita Prikindel
aprox.
1272 m
GRĂDINIȚA DE COPII NR. 33
aprox.
1314 m
Gradinita nr. 75
aprox.
1372 m
Gradinita cu program prelungit Copiii Soarelui
aprox.
1384 m
Gradinita de Copii nr.30 "Copiii soarelui
aprox.
1483 m
Cresa Micii Poznasi
aprox.
1505 m
ȘCOALA CU CLASELE I-VIII NR. 128
aprox.
422 m
Colegiul economic "Viilor"
aprox.
816 m
Colegiul Economic Viilor
aprox.
818 m
COLEGIUL ECONOMIC "VIILOR"
aprox.
818 m
Liceu de Coregrafie Floria Capsali
aprox.
976 m
Liceul de Arte "Dinu Lipatti"
aprox.
1001 m
Clubul Copiilor si Elevilor sect. 5
aprox.
1090 m
ȘCOALA CU CLASELE I-VIII NR. 132
aprox.
1094 m
Scoala Generala 130 (en)
aprox.
1097 m
132
aprox.
1105 m
Scoala nr. 132
aprox.
1112 m
Liceul Motoc (en)
aprox.
1117 m
Scoala nr. 130
aprox.
1117 m
Scoala Generala nr 132
aprox.
1118 m
Scoala generala Nr. 130
aprox.
1127 m
Profi Non-Stop
aprox.
437 m
Mega Image
aprox.
583 m
Liberty Center Mall
aprox.
671 m
Carrefour Market
aprox.
700 m
Carrefour express
aprox.
770 m
Jysk
aprox.
872 m
Succes
aprox.
936 m
Shop & Go
aprox.
951 m
Carrefour Vulcan
aprox.
1006 m
Kaufland Sebastian
aprox.
1119 m
Mega Image
aprox.
1139 m
Mega Image
aprox.
1172 m
Penny Market
aprox.
1204 m
Nasaud Shopping Center
aprox.
1205 m
Mega Image Rahova
aprox.
1253 m
Parcare
aprox.
374 m
Parcare
aprox.
378 m
Parcare
aprox.
474 m
Parcare
aprox.
530 m
Parcare
aprox.
609 m
Parcare
aprox.
658 m
Parcare
aprox.
666 m
Parcare
aprox.
690 m
Parcare
aprox.
722 m
Parcare
aprox.
871 m
Parcare
aprox.
875 m
Parcare
aprox.
892 m
Parcare
aprox.
933 m
Parcare
aprox.
953 m
Parcare
aprox.
960 m
Gradina Palatului Bragadiru
aprox.
288 m
Parc
aprox.
371 m
Parc
aprox.
382 m
Parc
aprox.
382 m
Parc
aprox.
636 m
Parc
aprox.
756 m
Parcul Gara Filaret
aprox.
756 m
Parc
aprox.
819 m
Curtea Palatului Parlamentului
aprox.
821 m
Parc
aprox.
829 m
Parc
aprox.
985 m
Parc
aprox.
989 m
Parc
aprox.
1003 m
Aleea principala
aprox.
1009 m
Parc
aprox.
1046 m
P-ta Chirigiu
aprox.
333 m
Piața Regina Maria
aprox.
478 m
Piata Arsenalului
aprox.
791 m
Piața Constituției
aprox.
965 m
Jose Rizal Square (en)
aprox.
997 m
Piata Natiunilor Unite
aprox.
1410 m
Piata Bibescu
aprox.
1437 m
Piața Sfântul Anton
aprox.
1792 m
Piața Eroilor
aprox.
1797 m
Piata Bucur
aprox.
1844 m
Piata Timpului
aprox.
1941 m
Piața Drapelului (Tricolorului)
aprox.
1950 m
Piata Roma
aprox.
1955 m
Teren sportiv
aprox.
814 m
Teren sportiv
aprox.
846 m
Teren sportiv
aprox.
856 m
Stadionul Cotroceni
aprox.
1129 m
Teren sportiv
aprox.
1164 m
Teren Antrenament
aprox.
1179 m
Teren sportiv
aprox.
1194 m
Teren sportiv
aprox.
1231 m
Teren sportiv
aprox.
1241 m
Teren sportiv
aprox.
1256 m
Teren sportiv
aprox.
1265 m
Teren sportiv
aprox.
1267 m
Teren sportiv
aprox.
1271 m
Teren sportiv
aprox.
1289 m
Teren sportiv
aprox.
1291 m
Discovery Clinic (en)
aprox.
555 m
Clinica Medicala HIPOCRAT 2000
aprox.
921 m
Institutul de Fonoaudiologie si Chirurgie Functionala ORL Profesor Doctor Dorin Hociota
aprox.
976 m
Oftapro
aprox.
982 m
Spital Fonoaudiologie "Prof. D. Hociota"
aprox.
989 m
Spitalul Clinic Profesor Doctor Theodor Burghele
aprox.
1113 m
Spitalul clinic Prof. Dr. Th. Burghele
aprox.
1119 m
I.N.E.M.R.C.M. - Institutul National de Expertiza Medicala si Recuperare a Capacitatii de Munca
aprox.
1191 m
Institutul National pentru medicina complementara si alternativa
aprox.
1193 m
Institutul National de Expertiza Medicala si Recuperare a Capacitatii de Munca
aprox.
1197 m
Clinica AGERMED (en)
aprox.
1295 m
Synevo Sebastian
aprox.
1336 m
Centrul Medical Panduri
aprox.
1344 m
Centru Medical Panduri (en)
aprox.
1346 m
Europe EYE Hospital (en)
aprox.
1399 m
Sensiblu
aprox.
886 m
Homeofarm
aprox.
942 m
Help Net Farma
aprox.
1060 m
Ivo Pharm Impex
aprox.
1114 m
Farmacia Dona
aprox.
1163 m
Belladona Non-Stop
aprox.
1177 m
Dona Nasaud
aprox.
1219 m
Farmacia Dona 35
aprox.
1234 m
Farmacia Dona 51
aprox.
1255 m
Pharma Vic
aprox.
1287 m
Rondfarm
aprox.
1303 m
Rondfarm
aprox.
1311 m
Farmacia Algevita
aprox.
1430 m
Farmacia Sandoria
aprox.
1443 m
Farmacia 20
aprox.
1466 m
Musafir (en)
aprox.
102 m
Suzana Ribs & Wings
aprox.
215 m
Bistro Orhideea
aprox.
229 m
Mahala Restaurant
aprox.
305 m
Dharma
aprox.
521 m
Restaurant La Giganto
aprox.
543 m
La Giganto
aprox.
555 m
Restaurant Business
aprox.
572 m
La Oriental
aprox.
638 m
Casa Sarbeasca
aprox.
676 m
Restaurant MeLe
aprox.
688 m
Restaurant Zariștea
aprox.
700 m
Jaristea
aprox.
702 m
Restaurant La Chef Calcan
aprox.
721 m
Rotifood
aprox.
735 m
Braserie Cosbuc
aprox.
511 m
Club Expirat
aprox.
853 m
DanDana
aprox.
1282 m
The Roof
aprox.
1473 m
Nargila Grill&Bar
aprox.
1561 m
Big Mamou
aprox.
1606 m
B Bar
aprox.
1617 m
55 Jazz
aprox.
1628 m
Qetesh
aprox.
1634 m
Marvin bar&more
aprox.
1636 m
Energiea
aprox.
1670 m
True Social Club
aprox.
1674 m
Bound Club
aprox.
1680 m
Corelli Wine Bar
aprox.
1684 m
La Comedie
aprox.
1686 m
Mall Liberty
aprox.
657 m
Cofetaria Raisa
aprox.
1315 m
Angel Cafe
aprox.
1347 m
Cafe Torino
aprox.
1347 m
Dalidana
aprox.
1369 m
Bio Cream gelateria
aprox.
1526 m
Dante Cafe
aprox.
1588 m
Roland 1811 cafe
aprox.
1601 m
Kafeterya Cafe
aprox.
1621 m
Unique
aprox.
1648 m
La Folie
aprox.
1648 m
Dolce Baccio
aprox.
1653 m
Anturaj Caffe
aprox.
1657 m
Cafe Deko
aprox.
1661 m
Buen Humor
aprox.
1666 m
Club Fabrica
aprox.
831 m
Long Fong
aprox.
834 m
Carol Cafe
aprox.
943 m
Snatch Pub
aprox.
1298 m
The Temple
aprox.
1411 m
D`eight Pub
aprox.
1560 m
The Harp
aprox.
1597 m
Queen and Clown Pub
aprox.
1615 m
Old City
aprox.
1625 m
Oktoberfest 3
aprox.
1627 m
Explorer's Irish Pub
aprox.
1630 m
O`Hara Irish Pub
aprox.
1650 m
Club Expirat and Other Side
aprox.
1666 m
The Bankers
aprox.
1676 m
Goblin Club
aprox.
1679 m
BCR
aprox.
422 m
Raiffeisen Bank
aprox.
557 m
BRD
aprox.
557 m
Raiffeisen
aprox.
567 m
BRD Libertatii
aprox.
571 m
Banc post
aprox.
681 m
Bancpost
aprox.
688 m
Banca Transilvania - Ag. Mall Liberty Center
aprox.
709 m
ING 13 Septembrie
aprox.
796 m
Piraeus Bank Romania - Agentia Panduri
aprox.
829 m
UniCredit Tiriac bank
aprox.
889 m
Garantibank
aprox.
891 m
UniCredit Bank - Ag. Panduri
aprox.
900 m
Garanti
aprox.
906 m
Banca Transilvania - Suc. Marriott
aprox.
909 m
Stațiile de metrou aflate chiar în "inima" acestei zone, în Piața Unirii, îți oferă posibilitatea de a călători rapid, evitând aglomerația din trafic. Stația Piața Unirii 1 oferă conexiuni la magistrala M1 Dristor - Pantelimon și la magistrala M3 Preciziei - Anghel Saligny. Aceasta este conectată de stația Piața Unirii 2, aflată pe magistrala M2 Berceni - Pipera printr-un pasaj. Astfel, poți ajunge chiar și în mai puțin de 10 minute în zona Politehnică sau la Piața Victoriei și în circa 15 minute în Pipera, unul dintre principalii poli de business ai orașului. Cu autobuzul 104 poți ajunge în cartierul Pantelimon, iar cu tramvaiul 47 în cartierul Rahova. Consultă harta pentru a localiza stațiile mijloacelor de transport în comun.
Printre unitățile de învățământ din această zonă se numără Colegiul Național "Mihai Eminescu", Colegiul Național "Ion Creangă", Colegiul Național de Arte "Dinu Lipatti" și Facultatea de Teologie Ortodoxă "Justinian Patriarhul". Tot aici își are sediul și Institutul Bancar Român care ajută la specializarea personalului din sectorul financiar-bancar. Ajungi foarte repede din Piața Unirii, chiar și pe jos, la Palatul Universității care găzduiește sediile mai multor facultăți. Găsește pe hartă și cele mai apropiate grădinițe, școli și licee de viitoarea ta locuință.
Dacă te vei muta în această zonă, vei avea la doi pași de casă centrul comercial Unirea Shopping Center, care găzduiește, printre altele, magazinele mai multor branduri de modă. În spatele acestuia vei găsi un hipermarket Carrefour. Diverse magazine pot fi găsite și în Centrul Vechi. Pe Strada Lipscani poți să vizitezi una dintre cele mai frumoase librării din Capitală, Cărturești Carusel. Magazin Cocor, care a fost modernizat recent, poate fi și el o alternativă. În imediata sa vecinătate se află și noul magazin București. Pentru mai multe opțiuni, poți merge la București Mall, cel mai apropiat centru comercial de acest tip. Consultă harta pentru a vedea ce alte opțiuni ai în zona Unirii și în împrejurimi.
Lângă Centrul Comercial Unirea Shopping Center vei găsi o parcare supraterană unde îți poți lăsa mașina contra-cost. Dacă te gândești să te muți în zona Piața Unirii îți amintim, de asemenea, că traficul pe Bulevardul Unirii este destul de îngreunat la orele de vârf. Nu uita, totodată, că traficul rutier este închis uneori în Piața Constituției pentru organizarea unor evenimente și concerte. Pentru închirierea unui loc de parcare în apropierea locuinței de care ești interesat va trebui să apelezi la reprezentanții autorităților locale de pe sectorului în care se află aceasta (Direcția Generală Impozite și Taxe Locale Sector 3, Direcția Mobilitate Urbană Sector 4, Serviciul Parcaje Scop Reședință Sector 5). Consultă harta pentru a localiza mai ușor principalele parcări din zona Unirii.
Dacă decizi să te muți într-o locuință în zona Unirii, atunci vei avea la dispoziție numeroase opțiuni de petrecere a timpului liber. Chiar în Piața Unirii vei găsi unul dintre binecunoscutele obiective ale orașului, Hanul lui Manuc. Construit în 1808 acesta a fost renovat în urmă cu câțiva ani și găzduiește, în prezent, mai multe cafenele, restaurante și mici magazine. Acesta se află chiar la marginea Centrului Vechi al Capitalei, principalul punct de atracție pentru iubitorii vieții de noapte. Tot aici găsești și câteva obiective turistice importante - Palatul Voievodal Curtea Veche, Palatul BNR, Muzeul Național de Istorie a României și Muzeul Municipal București. Parcurile Izvor și Unirii sunt principalele spații verzi din această zonă. Nu trebuie să uiți însă că nu va trebui să mergi mult pentru a ajunge și la Grădina Cișmigiu sau în Parcul Tineretului. Poți merge, totodată, la un spectacol la Teatrul Evreiesc de Stat sau poți participa la evenimentele și la concertele care se organizează periodic în Piața Constituției de lângă Palatul Parlamentului. Poți lua parte la diverse evenimente și vizitând Biblioteca Națională a României, o altă clădire reprezentativă din această zonă. Ajungi foarte ușor, pe jos sau cu metroul, la Teatrul Național București în fața căruia găsești și un mic parc. Iar dacă toate acestea nu sunt de ajuns, atunci o plimbare pe Calea Victoriei și o vizită la numeroasele obiective de interes aflate de-a lungul ei cu siguranță te vor satisface. Cea mai bună parte este că această arteră de circulație se închide circulației rutiere uneori și devine strict pietonală. În plus, aici ai la dispoziție una dintre puținele piste dedicate bicicliștilor din oraș. Consultă harta pentru a vedea ce alte opțiuni de petrecere a timpului liber vei avea odată ce te vei muta în zona Unirii.
Dacă te vei muta în această zonă, vei putea apela în caz de nevoie la câteva clinici private. Printre acestea amintim Hiperclinica MedLife Unirii, clinica de stomatologie DentaLife și Medas Unirea. Unele dintre cele mai apropiate spitale la care vei avea acces vor fi Spitalul Cinic Colțea din Piața Universității și Spitalul Clinic Prof. Dr. Theodor Burghele, aflat în apropierea Palatului Parlamentului. Vezi pe hartă ce alte unități medicale se află în zona Unirii și în vecinătatea sa.
Centrul Vechi îți oferă numeroase opțiuni la acest capitol, iar câteva fast food-uri ai la dispoziție la parterul centrului comercial Unirea Shopping Center, situat chiar în Piața Unirii. Găsești câteva terase și pe malul Dâmboviței, lângă Biblioteca Națională a României. Dacă vrei să schimbi peisajul, poți să ajungi destul de repede cu mașina sau cu mijloacele de transport în comun la București Mall sau poți încerca una dintre numeroasele terase din Piața Alba Iulia sau de pe Bulevardul Decebal. Mai mult, ai relativ aproape și Calea Victoriei, perfectă pentru promenadă, dar și pentru un popas la restaurant. Consultă harta și află care sunt cele mai apropiate localuri de viitoarea ta locuință.
Găsești mai multe ATM-uri și sucursale bancare în Piața Unirii, unele dintre ele chiar în incinta complexului comercial Unirea Shopping Center. Vezi care este cel mai potrivit pentru tine de pe hartă.
Înainte să pleci...
Ești sigur că ai văzut și aceste proprietăți?
2.200.000 €
București, Aviației
1.155 mp teren
Construcții
2.000.000 €
București, Unirii
1.387 mp teren
Construcții
2.025.000 €
București, Theodor Pallady
4.500 mp teren
Construcții
Creează alertă
Salvează căutarea ca să primești pe email ultimele anunțuri publicate
Terenuri construcții de vânzare în zona Unirii, Sector 3
Cere detalii prin email
*
*
*
*
Detaliile tale de contact vor fi partajate cu Homeshub