1

Oportunitate investitie – Teren 50.561 mp, pozitie premium, Sector 4

15.168.300 € + TVA
300 € + TVA / mp

Berceni, București

Sup. teren:
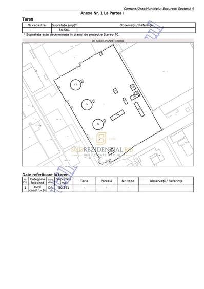
50.561 mp
Tip:
Construcții
  • • Exclusivitate
  • • Locație exactă

Descriere teren

Va oferim spre vanzare un lot de teren intravilan cu o suprafata totala de 50.561 mp, amplasat in Sectorul 4, cu acces direct din Bulevardul Metalurgiei, una dintre cele mai importante artere aflate in plina dezvoltare. Proprietatea beneficiaza de o pozitie strategica, fiind la o distanta foarte mica pietonal de statia de metrou Dimitrie Leonida, intr-o zona dinamica, moderna si in continua expansiune. Conform Certificatului de Urbanism emis in anul 2025, terenul se incadreaza in urmatoarele zone urbanistice: Conform PUG, terenul se incadreaza in: A2a – subzona unitatilor predominant industriale CB1 – subzona serviciilor publice Conform PUZ Sector 4, terenul se incadreaza in: A3– subzona unitatilor mici si mijlocii productive si de servicii In acelasi timp, lotul de teren dispune de PUZ propriu in curs de aprobare pentru constructii rezidentiale cu regim de inaltime 2S+P+14E si spatii comerciale tip streetmall cu regim de inaltime P+1E, ce ofera un cadru urbanistic clar, reglementat si flexibil pentru dezvoltarea unor proiecte mixte. Datorita localizarii avantajoase, accesului facil si infrastructurii deja dezvoltate in zona, proprietatea beneficiaza de un potential ridicat de valorificare, fiind potrivita atat pentru dezvoltari rezidentiale de amploare, cat si pentru spatii comerciale, de servicii sau functiuni complementare. Caracteristici teren: Suprafata: 50.561 mp Deschidere: 117 ml / 176 ml Regim urbanistic: A2a + CB1 +A3 (conform CU) Proprietatea se remarca prin suprafata generoasa, accesibilitate si pozitionare, fiind una dintre cele mai valoroase oportunitati din zona pentru investitori si dezvoltatori.
Citește mai mult Citește mai puțin
Electricitate Apă Gaz Canalizare

Detalii teren

ID anunț: XFQP1302T Copiat! 273205751 Copiat!
Actualizat în: 01 Mai 2026
Clasificare teren: Intravilan
Nr. fronturi stradale: 2

Utilități

Destinație
Rezidențial Comercial Industrial
Amenajare străzi
Iluminat stradal Mijloace de transport în comun Asfaltate
Alte caracteristici
Acces auto Construcție demolabilă La șosea Teren împrejmuit
Comision
standard

Disponibilitate proprietate:

Imediat

Puncte de interes

Mijloace transport
metro-station
Dimitrie Leonida (M2)
Stații metrou aprox. 104 m
metro-station
Statia Dimitrie Leonida (I.M.G.B) statie metrou M2
Stații metrou aprox. 146 m
bus-station
Statia IMGB Poarta 1 linia 125
Stații autobuz aprox. 202 m
tram-station
ROMPRIM
Stații tramvai aprox. 1696 m
Școală
school
Colegiul Tehnic Miron Nicolescu
Școli aprox. 317 m
school
Grupul Industrial "Dacia"
Școli aprox. 1272 m
university
Universitatea Spiru Haret
Universități aprox. 1496 m
kindergarten
Gradinita "Panseluta", nr.166
Gradinițe aprox. 1771 m
Recreere
supermarket
Market 22
Supermarket aprox. 244 m
park
Parc
Parcuri aprox. 456 m
sports-ground
Teren sportiv
Terenuri sport aprox. 1259 m
hypermarket
Metro Berceni
Hipermarket aprox. 1430 m

Proprietăți similare

Teren Construcții intravilan de 30800 mp, în Olteniței
15.400.000 €
București, Olteniței
30.800 mp teren
Construcții
Teren Construcții intravilan de 15808 mp, în Viilor
15.808.000 € + TVA
București, Viilor
15.808 mp teren
Construcții
Teren Construcții intravilan de 5717 mp, în Aviației
14.500.000 €
București, Aviației
5.717 mp teren
Construcții

Detalii de contact

SUDREZIDENTIAL.

Catalin Isache Director Vanzari

SUDREZIDENTIAL.
PRO

Abonează-te la newsletter să fii primul care primește cele mai noi recomandări de proprietăți și sfaturi de la experți.

CONTACT

Creează alertă

Salvează căutarea ca să primești pe email ultimele anunțuri publicate

Terenuri construcții de vânzare în zona Berceni, Sector 4