2

Teren 1Ha ( 10.000 MP ) & Alte loturi 400 - 600 mp | Oportunitate Investitie

1.100.000 €
110 € / mp

Ferentari, București

Sup. teren:
10.000 mp
Tip:
Construcții
  • • Exclusivitate
  • • Locație exactă

Descriere teren

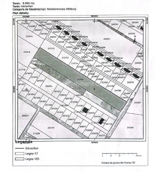
Va prezentam, in exclusivitate, un teren de 10.000 mp situat in zona Salaj - Ferentari - Progresul cu potential pentru dezvoltare imobiliara ( zona Drumul Sanpaul ). Totodata, mentionam disponibilitatea multor loturi mai mici, detaliate mai jos * Va rugam consultati fotografiile pentru a vedea cadastrul si planul de amplasament. Pretul solicitat este de 110 e / mp pentru loturi din spate si 130 e / mp pentru cele din fata. Despre terenul de 1ha ( 10.000 MP ) - oportunitate de investitie imobiliara: * Conform cadastrului, terenul beneficiaza de o deschidere generoasa de 33 ml iar adancimea este de 303 ml. Despre alte loturi disponibile in zona: * In imediata apropiere a terenului de 10.000 MP, avem disponibile mai multe loturi oferite spre vanzare, dupa cum urmeaza: - 524 mp ( 26.8 ml deschidere x 19.5 adancime ) - 462 mp ( 30.7 ml deschidere x 15.0 adancime ) - 599 mp ( 28.7 ml deschidere x 19.5 adancime ) - 558 mp ( 30.1 ml deschidere x 18.5 adancime ) - 602 mp ( 16.8 ml deschidere x 35.5 adancime ) - 548 mp ( 16.3 ml deschidere x 34.5 adancime ) Despre zona si facilitati: - Utilitatile se afla in apropiere ( la case alaturate ): gaze, apa curenta, electricitate. - In zona se dezvolta case individuale, duplexuri iar putin mai indepartat, blocuri si cartiere. - Regimul de inaltime al zonei este P+4. * Tot dosarul cu acte pregatit. Vanzare imediata. * Comisionul agentiei este 0%. * Pretul este negociabil. Se accepta urmatoarele metode de plata: - Plata integrala – transfer bancar. - Plata prin credit bancar. Pentru varianta creditarii, va stam la dispozitie gratuit cu echipa, cat si pentru toata procedura juridica de achizitie. Pentru mai multe detalii, va rugam sa ne contactati.
Citește mai mult Citește mai puțin
Electricitate Apă Canalizare

Detalii teren

ID anunț: XACM0303A Copiat! 254752596 Copiat!
Actualizat în: 13 Ianuarie 2026
Clasificare teren: Intravilan
Front stradal: 33 m
Nr. fronturi stradale: 1
Sursa coef. urbanistici: P.U.Z.
Regim înălțime: 4 m

Utilități

Destinație
Rezidențial Industrial De vacanță
Amenajare străzi
Pietruite De pământ
Alte caracteristici
Parcelabil Acces auto Teren împrejmuit
Comision
Standard

Vecinătăți:

Salaj
Progresul
Ferentari
Giurgiului

Alte detalii despre preț:

Nu se adauga TVA la pretul afisat.

Puncte de interes

Mijloace transport
tram-station
Zetarilor
Stații tramvai aprox. 450 m
bus-station
Statia Baciului, linia 220, N112, 4
Stații autobuz aprox. 708 m
bus-station
statia Valtoarei, linia 139, 141, 220, 323, N121, N124,8,23
Stații autobuz aprox. 901 m
tram-station
Valtoarei
Stații tramvai aprox. 966 m
Școală
school
"Das Reich" Arian Brotherhooh HQ (en)
Școli aprox. 547 m
kindergarten
GRĂDINIȚA DE COPII NR. 245
Gradinițe aprox. 669 m
school
ȘCOALA CU CLASELE I-VIII NR. 134
Școli aprox. 934 m
kindergarten
GRĂDINIȚA DE COPII NR. 53
Gradinițe aprox. 1092 m
Recreere
park
Parc
Parcuri aprox. 574 m
sports-ground
Teren sportiv
Terenuri sport aprox. 601 m
supermarket
AlexMar Supermarket 1
Supermarket aprox. 782 m
restaurant
pizzeria
Restaurant aprox. 996 m

Proprietăți recomandate

Detalii de contact

SI Development Group

Rares I Real Estate Advisor

4.92(8 review-uri)

SI Development Group
PRO

Abonează-te la newsletter să fii primul care primește cele mai noi recomandări de proprietăți și sfaturi de la experți.

CONTACT

Creează alertă

Salvează căutarea ca să primești pe email ultimele anunțuri publicate

Terenuri construcții de vânzare în zona Ferentari, Sector 5