11

Teren 6550 mp in Sinaia cu PUZ | Oportunitate Investitie

3.256.352 €
497.15 € / mp

Sinaia, Județul Prahova

Sup. teren:
6.550 mp
Tip:
Construcții
  • • Locație exactă

Descriere teren

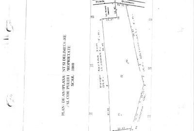
Teren de vânzare în Sinaia, poziționat ultracentral, cu o suprafață totală de 6.550 mp, formată din două loturi alăturate: Teren 1 – 3.986 mp (CF 20597) Teren 2 – 2.562 mp Proprietatea beneficiază de o expunere însorită pe versant și acces la două fronturi stradale principale, pe Str. Cuza Vodă și Str. Mihail Kogălniceanu, oferind o vizibilitate excelentă și un potențial ridicat pentru investiție. Pentru terenul de 3.986 mp, este în curs de obținere autorizația de construire pentru trei clădiri de locuințe colective, cu următoarea structură propusă: Corp C1: 18 apartamente Corp C2: 14 apartamente Corp C3: 17 apartamente Funcțiuni secundare: parcare (55 locuri), spații administrative, comerciale și tehnice aferente funcțiunii principale Indicatori urbanistici (conform proiectului): Suprafață teren: 3.986 mp Suprafață construită la sol: 1.023,98 mp P.O.T.: 25,7% Suprafață desfășurată totală: 6.825,16 mp C.U.T.: 1,71 Regim de înălțime: demisol + parter + 2-3 etaje (conform PUZ) Amplasamentul beneficiază de PUZ valabil și deschidere către două parcuri publice, fiind ideal pentru dezvoltarea unui complex rezidențial premium, hotel sau apart-hotel. Localizare excepțională: 170 m de Telecabina Sinaia 250 m de Hotel New Montana 600 m de Hotel Internațional Toate utilitățile (apă, gaz, electricitate, canalizare) sunt disponibile la limită de proprietate, ceea ce facilitează implementarea rapidă a unui proiect. Aceasta este o oportunitate rară de investiție într-o zonă centrală, cu potențial turistic și rezidențial deosebit, în inima stațiunii Sinaia. Pentru mai multe informații sau pentru a programa o vizionare, vă rugăm să ne contactați la numărul .
Citește mai mult Citește mai puțin
Electricitate Apă Gaz Canalizare

Detalii teren

ID anunț: X8H913003 Copiat! 86325 Copiat!
Actualizat în: 13 Decembrie 2025
Tip tranzacție: De vânzare prin dezvoltator
Clasificare teren: Intravilan
Front stradal: 29 m
Modalitate de plată: Cash sau Credit

Utilități

Destinație
Rezidențial Comercial
Amenajare străzi
Asfaltate
Comision
Standard

Alte detalii despre preț:

Puncte de interes

Recreere
park
Parc
Parcuri aprox. 174 m
park
Parcul Dimitrie Ghica
Parcuri aprox. 842 m
park
Parc
Parcuri aprox. 1314 m

Proprietăți similare

Teren Construcții intravilan de 39000 mp, în Ultracentral
2.500.000 €
Județul Prahova, Azuga
39.000 mp teren
Construcții

Detalii de contact

Maia

Vlad Radulescu Consultant imobiliar

Maia

Abonează-te la newsletter să fii primul care primește cele mai noi recomandări de proprietăți și sfaturi de la experți.

CONTACT

Creează alertă

Salvează căutarea ca să primești pe email ultimele anunțuri publicate

Terenuri construcții de vânzare în Sinaia, Județul Prahova