1

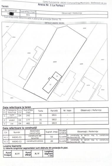
Teren intravilan-constructii | 901 mp | Stefanestii de Jos – Strada Violetelor

108.000 €
119.87 € / mp

Ștefăneștii de Jos, Județul Ilfov

Sup. teren:
901 mp
Tip:
Construcții
  • • Comision 0%
  • • Locație exactă

Descriere teren

Aceasta proprietate reprezinta o oportunitate excelenta pentru cei care isi doresc sa construiasca o casa intr-o zona linistita si bine pozitionata, in Stefanestii de Jos, pe Strada Violetelor nr. 5. Terenul are o suprafata de 901 mp si un front stradal de 17 metri, oferind spatiu amplu pentru realizarea unei locuinte confortabile, cu gradina si anexe, conform propriului proiect. Terenul este imprejmuit, are toate utilitatile disponibile in zona – canalizare, gaz, curent electric – si beneficiaza de acces facil la mijloacele de transport in comun, ceea ce il face ideal pentru o familie care isi doreste o locuinta intr-o zona accesibila, dar linistita. Pe teren se afla o casa batraneasca demolabila, cu o amprenta la sol de 51 mp, oferind posibilitatea de a demara rapid o noua constructie. Proprietatea dispune si de pomi fructiferi, creand un cadru natural placut si primitor. Locatia imbina linistea unei zone rezidentiale cu apropierea de principalele artere si facilitati ale orasului, fiind perfecta pentru cei care isi doresc sa construiasca o casa intr-un mediu curat si echilibrat. Daca va doriti un loc potrivit pentru viitorul camin al familiei dumneavoastra, acest teren poate fi exact ceea ce cautati. Contactati-ma pentru mai multe detalii sau pentru a programa o vizionare.
Citește mai mult Citește mai puțin
Electricitate Apă Gaz Canalizare

Detalii teren

ID anunț: XCP11306B Copiat! 271005646 Copiat!
Actualizat în: 30 Mai 2026
Tip tranzacție: De vânzare prin agent
Clasificare teren: Intravilan
Modalitate de plată: Cash sau Credit

Utilități

Utilități
Utilități în zonă
Amenajare străzi
Asfaltate Iluminat stradal Mijloace de transport în comun
Alte caracteristici
Construcție demolabilă La șosea Acces auto Teren împrejmuit
Comision
0%

Puncte de interes

Recreere
sports-ground
Teren sportiv
Terenuri sport aprox. 1136 m
sports-ground
Teren sportiv
Terenuri sport aprox. 1218 m

Proprietăți similare

Teren Construcții intravilan de 1158 mp, în Ghermănești
99.900 €
Județul Ilfov, Ghermănești
1.158 mp teren
Construcții
Teren Construcții intravilan de 1455 mp, în Dragomirești-Vale
101.850 €
Județul Ilfov, Dragomirești-Vale
1.455 mp teren
Construcții
Teren Construcții intravilan de 505 mp, în Tunari
101.000 €
Județul Ilfov, Tunari
505 mp teren
Construcții

Detalii de contact

MR. EXCLUSIVITATE BUCURESTI

Florentina Radulescu Consultant

3.90(4 review-uri)

MR. EXCLUSIVITATE BUCURESTI
PRO

Abonează-te la newsletter să fii primul care primește cele mai noi recomandări de proprietăți și sfaturi de la experți.

CONTACT

Creează alertă

Salvează căutarea ca să primești pe email ultimele anunțuri publicate

Terenuri construcții de vânzare în Ștefăneștii de Jos, Județul Ilfov