TEREN REPREZENTA VOLVO - 27.000 mp

810.000 €
30 € / mp

Palas, Constanța

Sup. teren:
27.000 mp
Tip:
Pășune
  • • Locație exactă

Descriere teren

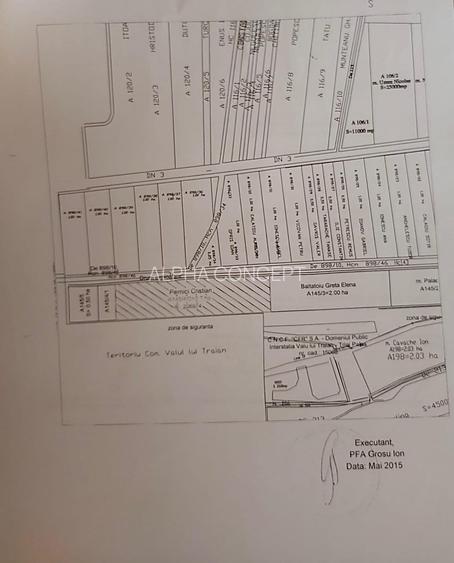
Alpha Imobiliare Concept vă propune spre vânzare un teren extravilan situat la ieșire din Constanța spre Valu lui Traian, în zona reprezentanței Volvo, cu acces facil și vizibilitate bună. Preț: 810.000 € negociabil Comision agenție: 2% Terenul are o suprafață generoasă de 27.000 mp, fiind potrivit pentru investiții pe termen lung, dezvoltări viitoare sau activități agricole. Detalii teren: Suprafață: 27.000 mp Deschidere pe lungime: 145,6 ml Lățime: 78,41 ml. Extravilan. Utilități în zonă. Poziționarea este un avantaj important, terenul fiind situat într-o zonă cu potențial de dezvoltare, aproape de artere principale și în apropierea orașului. Avantaje zonă: Ieșire rapidă din Constanța; Acces facil către Valu lui Traian; Aproape de drum principal și zone comerciale; Potențial ridicat de dezvoltare pe termen mediu și lung. O oportunitate foarte bună pentru investiție, la un preț competitiv pentru suprafața oferită. Pentru detalii suplimentare și vizionări, contactați Alpha Imobiliare Concept.
Citește mai mult Citește mai puțin

Detalii teren

ID anunț: X8I003058 Copiat! 275334006 Copiat!
Actualizat în: 25 Martie 2026
Clasificare teren: Extravilan

Utilități

Utilități
Utilități în zonă
Amenajare străzi
Asfaltate Iluminat stradal

Detalii de contact

Abonează-te la newsletter să fii primul care primește cele mai noi recomandări de proprietăți și sfaturi de la experți.

CONTACT

Creează alertă

Salvează căutarea ca să primești pe email ultimele anunțuri publicate

Terenuri de vânzare în zona Palas, Constanța