Teren Popesti Autorizație Comision 0

750.000 €
364.08 € / mp

Berceni, București

Sup. teren:
2.060 mp
Tip:
Construcții
  • • Comision 0%
  • • Locație aproximativă

Descriere teren

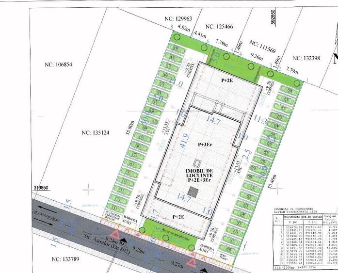
Oportunitate rară – Teren generos 2060 mp în zonă centrală Popești-Leordeni Descriere: Descoperă un teren cu adevărat valoros, situat în inima orașului Popești-Leordeni, într-o zonă aflată în plină dezvoltare și cu cerere constantă pentru proiecte rezidențiale. Cu o suprafață generoasă de 2060 mp, proprietatea oferă un potențial excelent pentru dezvoltare – fie că vorbim de un ansamblu rezidențial boutique, locuințe individuale sau investiție pe termen lung. Amplasarea centrală asigură acces rapid către București, dar și proximitate față de puncte de interes, școli, magazine și transport. Terenul beneficiază de deschidere bună și configurare versatilă, fiind potrivit pentru proiecte moderne adaptate cerințelor actuale ale pieței. Zona este deja populată și continuă să se dezvolte accelerat, ceea ce face din această proprietate o alegere inteligentă pentru investitori. Avantaje cheie: • Suprafață mare – 2060 mp • Zonă centrală, cu acces facil • Ideal pentru dezvoltare rezidențială • Investiție sigură într-o zonă în creștere • Proximitate față de București Dacă ești în căutarea unui teren cu potențial real, într-o locație strategică, acesta poate fi începutul unui proiect de succes. Imobilul este compus din 35 de unități locative, distribuite astfel: • 4 garsoniere • 25 apartamente cu 2 camere • 5 apartamente cu 3 camere • 1 apartament cu 4 camere Parcări • 39 locuri de parcare Detalii Tehnice • Regim de înălțime: P + 2 Etaje + Etaj 3 retras • Suprafață construită desfășurată totală: 2.512 mp • POT: 31% • CUT: 1,28mp Pentru vizionări și detalii: Marian Nut
Citește mai mult Citește mai puțin
Electricitate Apă Gaz Canalizare

Detalii teren

ID anunț: X9LU03008 Copiat! 275422210 Copiat!
Actualizat în: 09 Aprilie 2026
Nr. fronturi stradale: 1

Utilități

Amenajare străzi
Iluminat stradal Mijloace de transport în comun Asfaltate
Comision
0%

Disponibilitate proprietate:

Imediat

Puncte de interes

Mijloace transport
bus-station
Prestige
Stații autobuz aprox. 555 m
tram-station
ROMPRIM
Stații tramvai aprox. 1010 m
bus-station
statia Romprim, linia 634 si tramvai 11
Stații autobuz aprox. 1060 m
metro-station
Statia Dimitrie Leonida (I.M.G.B) statie metrou M2
Stații metrou aprox. 1084 m
Școală
school
Grupul Industrial "Dacia"
Școli aprox. 884 m
school
Scoala Gimnaziala Speciala Sfantul Nicolae
Școli aprox. 1096 m
kindergarten
Gradinita "Panseluta", nr.166
Gradinițe aprox. 1655 m
university
Universitatea Spiru Haret
Universități aprox. 1660 m
Recreere
sports-ground
Teren sportiv
Terenuri sport aprox. 290 m
restaurant
Pizza Hut
Restaurant aprox. 459 m
supermarket
Caro Mega Expres
Supermarket aprox. 468 m
park
Parc
Parcuri aprox. 925 m

Proprietăți similare

Teren intravilan în Metalurgiei
765.000 €
București, Metalurgiei
Construcții
Teren intravilan de 1928 mp, în Militari
700.000 €
București, Militari
1.928 mp teren
Construcții
Teren intravilan de 4100 mp, în Pipera
676.500 €
București, Pipera
4.100 mp teren

Detalii de contact

ACORD GRUP

Marian Nut Consilier Imobiliar

ACORD GRUP

Abonează-te la newsletter să fii primul care primește cele mai noi recomandări de proprietăți și sfaturi de la experți.

CONTACT

Creează alertă

Salvează căutarea ca să primești pe email ultimele anunțuri publicate

Terenuri de vânzare în zona Berceni, Sector 4