Vanzare teren 10.000mp Cornetu- Mihailesti

195.000 €
19.50 € / mp

Mihăilești, Județul Giurgiu

Sup. teren:
10.000 mp
Tip:
Construcții
  • • Exclusivitate
  • • Locație exactă

Descriere teren

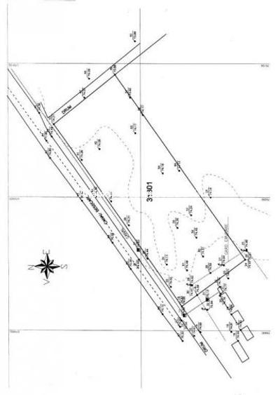
Pentru a evalua aceasta oportunitate, iata cateva consideratii cheie legate de terenul extravilan prezentat: Terenul are o suprafata de 10.000 mp, cu deschidere de 60 m si 167 m. Aceste dimensiuni sugereaza o forma posibil rectangulara, ceea ce poate facilita anumite constructii sau utilizari. Terenul este situat la limita dintre localitatea Cornetu si Mihailesti. Este important sa verificati reglementarile de urbanism pentru ambele localitati, deoarece acestea pot influenta utilizarea terenului (de exemplu, constructii rezidentiale, comerciale sau agricole). Avand in vedere ca este un teren extravilan, este crucial sa analizati optiunile de urbanizare si profilul de utilizare a terenului. Este recomandat sa consultati un agent imobiliar pentru a obtine o analiza detaliata a potentialului terenului si pentru a verifica toate aspectele legale si administrative. Daca aveti intrebari specifice sau doriti informatii suplimentare legate de acest teren, nu ezitati sa le adresati!
Citește mai mult Citește mai puțin

Detalii teren

ID anunț: X7NK1300V Copiat! 254778436 Copiat!
Actualizat în: 01 Octombrie 2025
Clasificare teren: Extravilan
Suprafață construită: 10000 mp
Front stradal: 60 m
Nr. fronturi stradale: 2

Utilități

Destinație
Rezidențial Comercial De vacanță
Utilități
Utilități în zonă
Amenajare străzi
Asfaltate Iluminat stradal
Alte caracteristici
Oportunitate de investiție Acces auto
Comision
comision standard

Alte detalii:

Pentru a evalua această oportunitate, iată câteva considerații cheie legate de terenul extravilan prezentat:

Suprafața și Dimensiunile: Terenul are o suprafață de 10.000 mp, cu deschidere de 60 m și 167 m. Aceste dimensiuni sugerează o formă posibil rectangulară, ceea ce poate facilita anumite construcții sau utilizări.

Locația: Terenul este situat la limita dintre localitatea Cornetu și Mihăilești. Este important să verificați reglementările de urbanism pentru ambele localități, deoarece acestea pot influența utilizarea terenului (de exemplu, construcții rezidențiale, comerciale sau agricole).

Accesibilitate: Verificați calitatea și accesul la drumurile din apropiere, precum și infrastructura (apă, canalizare, electricitate). Aceste aspecte sunt esențiale pentru orice dezvoltare planificată.

Posibilități de dezvoltare: Având în vedere că este un teren extravilan, este crucial să analizați opțiunile de urbanizare, profilul de utilizare a terenului și eventualele taxe sau impozite care s-ar aplica.

Consultarea unui specialist: Este recomandat să consultați un agent imobiliar sau un specialist în urbanism pentru a obține o analiză detaliată a potențialului terenului și pentru a verifica toate aspectele legale și administrative.

Dacă aveți întrebări specifice sau doriți informații suplimentare legate de acest teren, nu ezitați să le adresați!

Puncte de interes

Școală
school
Scoala Generala Mihailesti
Școli aprox. 781 m
Recreere
restaurant
Dovinot
Restaurant aprox. 1341 m

Proprietăți similare

Teren Construcții intravilan de 10000 mp, în Ulmi
180.000 €
Județul Giurgiu, Ulmi
10.000 mp teren
Construcții
Teren Construcții intravilan de 5600 mp, în Adunații-Copăceni
200.000 €
Județul Giurgiu, Adunații-Copăceni
5.600 mp teren
Construcții
Teren Construcții intravilan de 2069 mp, în Ultracentral
210.000 €
Giurgiu, Ultracentral
2.069 mp teren
Construcții

Detalii de contact

Alfamar Grup Imobiliare

Prodana Flori Manager Agentie Imobiliara

3.67(3 review-uri)

Alfamar Grup Imobiliare

Abonează-te la newsletter să fii primul care primește cele mai noi recomandări de proprietăți și sfaturi de la experți.

CONTACT

Creează alertă

Salvează căutarea ca să primești pe email ultimele anunțuri publicate

Terenuri construcții de vânzare în Mihăilești, Județul Giurgiu