7

Teren situat in Nadaselu cu PUZ in lucru pentru depozit

50.000 €
17.86 € / mp

Nădășelu, Județul Cluj

Sup. teren:
2.800 mp
Tip:
Construcții
  • • Comision 0%
  • • Exclusivitate
  • • Locație exactă

Descriere teren

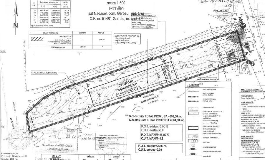
Exclusiv prin Habitas Imobiliare! 0% comision la cumparare! Teren situat in Nadaselu la strada principala ideal pentru un depozit. Terenul are PUZ in lucru pentru constructie de depozit in suprafata de 700 mp, cu regim de inaltime S+P+1E, avand CUT de 0.6%, POT de 25%. Pe teren este prevaut si loc de paracre pentru masini. Fiind situat la drum principal si aproape de autostrada terenu are un acces foarte facil. Alimentarea cu apa se asigura din fantana propie si se cere dotare cu microstatie epurare. Pentru orice detalii suplimentare va stam la dispozitie!
Citește mai mult Citește mai puțin
Electricitate Apă Canalizare

Detalii teren

ID anunț: X4I713043 Copiat! 78789 Copiat!
Actualizat în: 22 Februarie 2026
Clasificare teren: Intravilan
Front stradal: 19.0 m
Nr. fronturi stradale: 1

Utilități

Destinație
Industrial
Amenajare străzi
Iluminat stradal Mijloace de transport în comun Asfaltate
Alte caracteristici
Acces auto La șosea
Comision
0%

Disponibilitate proprietate:

Imediat

Puncte de interes

Mijloace transport
bus-station
Mera
Stații autobuz aprox. 1028 m
bus-station
Gara Mera
Stații autobuz aprox. 1036 m
Recreere
bar
Bar
Bar aprox. 160 m
bar
Bar
Bar aprox. 203 m
sports-ground
Teren de fotbal
Terenuri sport aprox. 955 m

Proprietăți recomandate

Detalii de contact

Habitas Imobiliare

Ioan Hosszu Manager

Habitas Imobiliare
PRO

Abonează-te la newsletter să fii primul care primește cele mai noi recomandări de proprietăți și sfaturi de la experți.

CONTACT

Creează alertă

Salvează căutarea ca să primești pe email ultimele anunțuri publicate

Terenuri construcții de vânzare în Nădășelu, Județul Cluj