5

Teren intravilan 3000mp, deschidere 60ml, varianta Ovidu

109.900 €
36.63 € / mp

Ovidiu, Județul Constanța

Sup. teren:
3.000 mp
Tip:
Construcții
  • • Locație aproximativă
  • • Vizionare prin apel video

Descriere teren

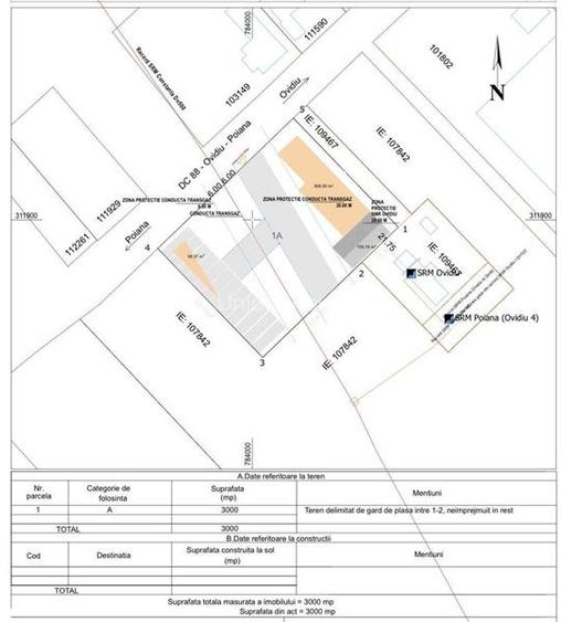
De vanzare teren intravilan in suprafata de 3000mp, situat in apropierea variantei Ovidiu, pe drumul dintre Ovidiu si localitatea Poiana. Pe sub teren, trece o magistrala Transgaz, zona de protectie a conductei fiind delimitata conform schitei atasate. Se poate construi in zonele adiacente zonei de protectie, conform planului de amplsament. Deschiderea terenului este de 60mp, terenul este intarusat si beneficieaza de toate utilitatile: curent electric, apa, canalizare, gaze. Vizavi de teren se afla un cartier de case. Nu pierde aceasta oportunitate de a deveni propietarul unui teren cu potential intr-o zona in plina dezvoltare!
Citește mai mult Citește mai puțin
Electricitate Apă Gaz Canalizare

Detalii teren

ID anunț: XCOO1300J Copiat! 257840908 Copiat!
Actualizat în: 16 Februarie 2026
Clasificare teren: Intravilan
Front stradal: 60 m
Nr. fronturi stradale: 1

Utilități

Destinație
Rezidențial
Amenajare străzi
Asfaltate
Alte caracteristici
Oportunitate de investiție Acces auto
Comision
2%

Puncte de interes

Școală
kindergarten
Gradinita Licuriciul
Gradinițe aprox. 919 m
school
Scoala Nr. 2
Școli aprox. 990 m
school
Școala gimnazială
Școli aprox. 998 m
Recreere
sports-ground
Stadionul Viitorul
Terenuri sport aprox. 1831 m
sports-ground
Teren sportiv
Terenuri sport aprox. 1890 m

Proprietăți recomandate

Detalii de contact

Union Group

George Barzu

Union Group
PRO

Abonează-te la newsletter să fii primul care primește cele mai noi recomandări de proprietăți și sfaturi de la experți.

CONTACT

Creează alertă

Salvează căutarea ca să primești pe email ultimele anunțuri publicate

Terenuri construcții de vânzare în Ovidiu, Județul Constanța