VANZARE TEREN THEODOR PALLADY - Drumul Lunca Corbului

78.600 €
200 € / mp

Theodor Pallady, București

Sup. teren:
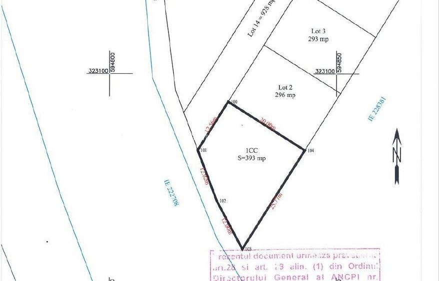
393 mp
Tip:
Construcții
  • • Exclusivitate
  • • Locație aproximativă

Descriere teren

Vanzare teren Theodor Pallady , Bucuresti , pretabil pentru construirea unui imobil . Terenul, are o suprafata de 393 mp+ drum de servitute 68 mp si o deschidere duba de 14 cu 16.Terenul Face parte dintr-un lot de parcele cuprinse intre 300-500 mp. Urbanism teren POT 70%, CUT 3,5. Terenul este incadrat in zona M2. Terenul aflat la vanzare este situat in zona Theodor Pallady, pe Drumul Lunca Corbului. Recomandarea noastra pentru acest teren. Caracteristici teren Tip Proprietate:teren Tip Operatiune:de vanzare Tip Teren:Intravilan Deschidere:30ml Numar Fronturi:2 Suprafata Teren (mp):393 Etaj:1+M Dotari teren Acces Teren:Pietonal, Auto Acces Utilitati:La, Alte Caracteristici Teren:Oportunitate de investitie, Apropiere:Piata, Transport in comun, Parc, Unitate sanitara, Farmacie, Magazine, Supermarket, Mall, Restaurante, Scoala, Gradinita, Liceu, Banca, Strazi Teren:Asfaltate, Neamenajate, Teren Pretabil:Case / vile, Urbanism:CU,
Citește mai mult Citește mai puțin

Detalii teren

ID anunț: XBHG13065 Copiat! 275386558 Copiat!
Actualizat în: 01 Aprilie 2026
Clasificare teren: Intravilan
Front stradal: 14 m
Nr. fronturi stradale: 2
P.O.T.: 70%
C.U.T.: 3.5
Sursa coef. urbanistici: P.U.Z.
Lățime drum acces: 14 m

Utilități

Destinație
Rezidențial
Amenajare străzi
Mijloace de transport în comun
Alte caracteristici
Parcelabil La șosea
Comision
3%

Puncte de interes

Mijloace transport
bus-station
Statia Policolor, Linia N111, 23, 27, 40
Stații autobuz aprox. 609 m
tram-station
STIROM
Stații tramvai aprox. 612 m
bus-station
statie tramvai STIROM :23- 27 - 40
Stații autobuz aprox. 623 m
metro-station
Metrorex.Stația Nicolae Teclu (M3)(2008)
Stații metrou aprox. 688 m
Școală
school
Scoala Nr. 149
Școli aprox. 1143 m
kindergarten
Gradinita Nr. 160
Gradinițe aprox. 1172 m
kindergarten
Gradinita Nr. 160 - "soarelui"
Gradinițe aprox. 1181 m
school
Colegiul tehnic de chimie "Costin Nenitescu"
Școli aprox. 1241 m
Recreere
park
* LA COCLAU - MOTOCROSS - TRASEU
Parcuri aprox. 448 m
supermarket
Penny
Supermarket aprox. 984 m
hypermarket
Decathlon
Hipermarket aprox. 1080 m
sports-ground
Teren de fotbal
Terenuri sport aprox. 1091 m

Proprietăți similare

Teren Construcții intravilan de 393 mp, în Theodor Pallady
71.000 €
București, Theodor Pallady
393 mp teren
Construcții
Teren Construcții intravilan de 393 mp, în Theodor Pallady
78.600 €
București, Theodor Pallady
393 mp teren
Construcții
Teren Construcții intravilan de 4400 mp, în Theodor Pallady
85.000 €
București, Theodor Pallady
4.400 mp teren
Construcții

Detalii de contact

Estate Network

Catalin Nenita

Estate Network
PRO

Abonează-te la newsletter să fii primul care primește cele mai noi recomandări de proprietăți și sfaturi de la experți.

CONTACT

Creează alertă

Salvează căutarea ca să primești pe email ultimele anunțuri publicate

Terenuri construcții de vânzare în zona Theodor Pallady, Sector 3