18

Vanzare teren intravilan Sos. Orhideelor - Grozavesti

4.400.000 €
2,444.44 € / mp

Grozăvești, București

Sup. teren:
1.800 mp
Tip:
Construcții
  • • Locație exactă

Descriere teren

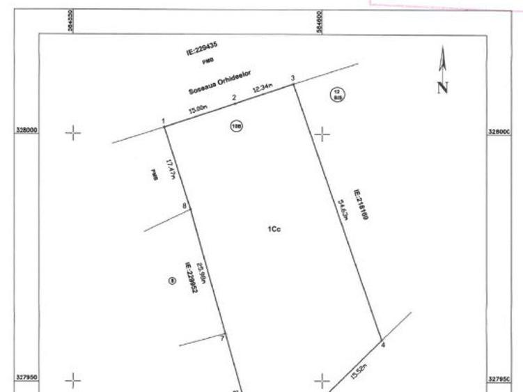
Ned Com Imobiliare va propune spre vanzare un teren cu un potential excelent, situat in apropiere de statia de metrou Grozavesti, pe sos. Orhideelor, chiar langa hotelul Sir - o zona cu o ascensiune imobiliara fantastica in ultimii ani. Terenul are suprafata de 1788mp, deschidere de aproximativ 27,5 ml catre Sos. Orhideelor. Destinatia: conform P.U.Z. Coordonator Sector 6, imobilul este situat in zona CB3 - subzona polilor urbani principali. P.O.T. maxim = 70%, cu posibilitatea acoperirii restului terenului in proportie de 80% cu cladiri cu maxim 2 niveluri .Nu se limiteaza inaltimea cladirilor. Pretul este negociabil. Toate utilitatile.
Citește mai mult Citește mai puțin
Electricitate Apă Gaz Canalizare

Detalii teren

ID anunț: X5U413008 Copiat! 40652186 Copiat!
Actualizat în: 07 Mai 2026
Tip tranzacție: De vânzare prin agent
Clasificare teren: Intravilan
Front stradal: 27.0 m
Nr. fronturi stradale: 1
Modalitate de plată: Cash sau Credit

Utilități

Destinație
Comercial
Amenajare străzi
Iluminat stradal Mijloace de transport în comun Asfaltate
Alte caracteristici
Acces auto La șosea Teren împrejmuit
Comision
standard

Vecinătăți:

Sos. Orhideelor, Pod Grozavesti, Orhideea Business District

Disponibilitate proprietate:

Imediat

Puncte de interes

Mijloace transport
bus-station
Statia Camin U4, linia 601, N110, N120
Stații autobuz aprox. 61 m
metro-station
Statia Metrou Grozavesti
Stații metrou aprox. 235 m
tram-station
Statia Pod Grozavesti linia: 1, 11, 35
Stații tramvai aprox. 271 m
trolleybus-station
Statie Gara Basarab 133, 178, 282, 105, 123, 162, 780
Stații troleibuz aprox. 986 m
Școală
university
Intercollege IBS Romania (en)
Universități aprox. 377 m
university
Universitatea Ecologica din Bucuresti
Universități aprox. 441 m
kindergarten
Gradinița Dumbrava Fermecată
Gradinițe aprox. 446 m
school
Casa Corpului Didactic a Municipiului Bucuresti
Școli aprox. 476 m
Recreere
supermarket
Carrefour Orhideea
Supermarket aprox. 412 m
hypermarket
Intrarea in caminele C si D din grozavesti
Hipermarket aprox. 478 m
park
Parc
Parcuri aprox. 548 m
sports-ground
Teren sportiv
Terenuri sport aprox. 595 m

Istoricul prețurilor

Acces la informații premium după autentificare
Login Gratuit

Proprietăți similare

Teren Construcții intravilan de 8350 mp, în Theodor Pallady
4.041.400 €
București, Theodor Pallady
8.350 mp teren
Construcții
Teren Construcții intravilan de 10055 mp, în Pipera
4.500.000 €
București, Pipera
10.055 mp teren
Construcții
Teren Construcții intravilan de 4871 mp, în Iancu Nicolae
4.390.000 €
București, Iancu Nicolae
4.871 mp teren
Construcții

Detalii de contact

Ned Com Imobiliare

Cristiana Nicorici Consilier Imobiliar

Ned Com Imobiliare
PRO

Abonează-te la newsletter să fii primul care primește cele mai noi recomandări de proprietăți și sfaturi de la experți.

CONTACT

Creează alertă

Salvează căutarea ca să primești pe email ultimele anunțuri publicate

Terenuri construcții de vânzare în zona Grozăvești, Sector 6