Timisoara Nord - Sanandrei - Lot industrial: 4923 mp - P.U.Z. - utilitati

290.500 €
59.01 € / mp

Sânandrei, Județul Timiș

Sup. teren:
4.923 mp
Tip:
Construcții
  • • Comision 0%
  • • Exclusivitate
  • • Locație exactă
  • • Vizionare prin apel video

Descriere teren

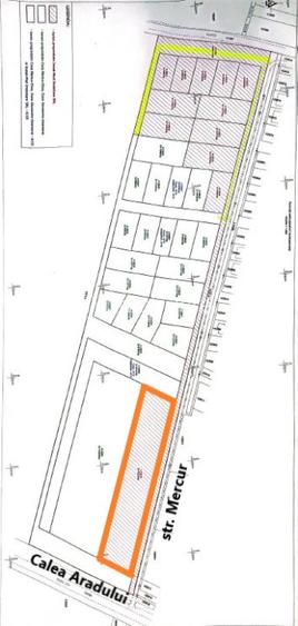
Sanandrei, situat în județul Timiș, România, este un hub industrial în creștere, cu oportunități ample pentru afaceri. Localitatea este localizata in zona metropolitana a municipiului Timisoara, la 5 km Nord de aceasta, cu acces ușor la autostrăzile majore, ceea ce îl face o alegere ideală pentru investitorii care doresc să își stabilească prezența în regiune. Loturile industriale din Sanandrei sunt spațioase, oferind spațiu amplu pentru extindere și creștere. Localitatea are, de asemenea, o forță de muncă calificată și un mediu de afaceri favorabil, oferind o bază solidă pentru companiile dintr-o varietate de industrii. Cu condițiile sale favorabile de afaceri și opțiunile imobiliare accesibile, Sanandrei este o alegere excelentă pentru companiile care doresc să investească în Timis. IM Imobiliare ofera spre vanzare parcele de teren industrial, cu P.U.Z., situat in Sanandrei, invecinate cu noua descarcare urcare/coborare de pe A1 (drum in lucru), Centura Nord Timisoara, Aeroport Timisoara, Ikea (7 km); Mahle (4km); Sameday (4km), Banat Business Park (500 m) - 4 parcele industriale: 5810 mp, 6182 mp, 6411 mp si 4923 mp - spatiu verde: 2549 mp - acces auto asfaltat de pe DN69 Timisoara - Arad Coeficienti urbanistici: - P.O.T. max - 55% - C.U.T max - 2% - destinatiile permise sunt industria usoara curata, logistica, depozitare, servicii, retail, birouri, unitati administrative; - utilitati complete la limita parcelei (gaz, curent, apa) Front stradal DN69 Timisoara - Arad: 98 ml Pret plecare: 50 EURO/mp Pretul afisat variaza in functie de pozitia parcelei alese. Mai multe informatii, la cerere: Raul -
Citește mai mult Citește mai puțin
Electricitate Apă Gaz

Detalii teren

ID anunț: X7PS03075 Copiat! 47157493 Copiat!
Actualizat în: 04 Februarie 2026
Clasificare teren: Intravilan
Nr. fronturi stradale: 2
P.O.T.: 55%
C.U.T.: 2
Sursa coef. urbanistici: P.U.G.

Utilități

Destinație
Industrial Comercial
Amenajare străzi
Asfaltate Mijloace de transport în comun Iluminat stradal
Alte caracteristici
La șosea Acces auto
Comision
0%

Vicii:

nu sunt

Vecinătăți:

Noua descarcare urcare/coborare de pe A1 (drum in lucru)
Centura Nord Timisoara
Aeroport Timisoara
Ikea (7 km)
Mahle (4km)
Sameday (4km)
Banat Business Park (500 m)

Alte detalii despre preț:

negociabil

Proprietăți recomandate

Detalii de contact

Abonează-te la newsletter să fii primul care primește cele mai noi recomandări de proprietăți și sfaturi de la experți.

CONTACT

Creează alertă

Salvează căutarea ca să primești pe email ultimele anunțuri publicate

Terenuri construcții de vânzare în Sânandrei, Județul Timiș