Hala industriala Timisoara,1100 mp,E xterior NORD

750.000 € + TVA

Aradului, Timișoara

Sup. prop / mp. prop.:
1.100 mp
Tip prop.:
Logistică
Niv.:
1
  • • Locație aproximativă
  • • Vizionare prin apel video

Descriere spațiu comercial

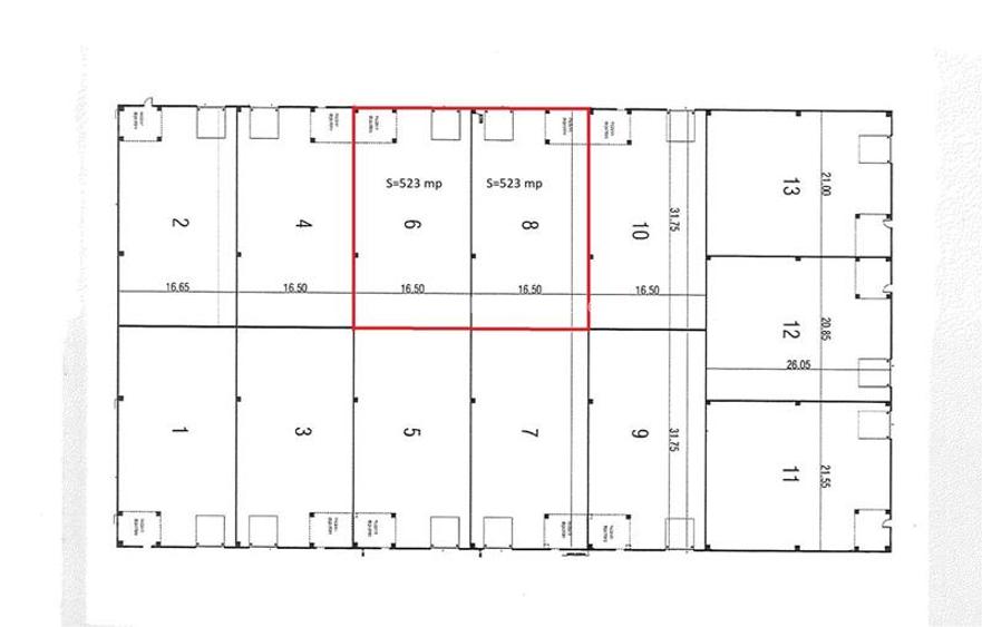
LANDMARK propune spre vânzare hala industriala amplasata într-un complex modern de hale, situat în zona Calea Aradului - Exterior Nord, cu acces facil la Centura Timișoarei și Autostrada A1. Construcția este nouă, realizată din plăci prefabricate din beton la exterior si pereti separatori din panouri sandwich pe interior, cu rezistenta la foc. Hala este compusa din doua unitati lipite avand o suprafata utila la sol de 523 mp care pot sa comunice intre ele in caz de nevoie. Fiecare unitate include o hală destinată producției sau depozitării cu CF separat, având o înălțime liberă sub grindă de 6,5 m, și o zonă de birouri desfășurată pe Parter + Mezanin, in suprafață utila desfasurata de 60 mp. Spațiile beneficiază de facilități esențiale, cum ar fi: Acces pentru TIR, drumuri de incinta betonate pt trafic greu si iluminat public Supraveghere video pe exterior Uși de tip Drive-In (dimensiuni 4x4,5 m) Iluminat natural , cu 2 trape electrice pe fiecare unitate Racorduri pentru apă, canalizare, gaze și curent electric. Prețul de vânzare pentru cele doua unitati este de 750.000 euro + TVA ( sau taxare inversa cu TVA 0) Pretabil si ca investitie imobiliara, cu un potential de randament estimat de 7 % an. Disponibil imediat ID intern 210560
Citește mai mult Citește mai puțin

Detalii spațiu comercial

ID anunț: X6CI140QS Copiat! 274941296 Copiat!
Actualizat în: 13 Februarie 2026
Stadiu construcție: Există
An construcție: 2024 (Există)
Structură rezistență: Beton
Regim înălțime: P+1E
Înălțime spațiu (m): 7

Utilități

Comision
2%

Proprietăți similare

Spațiu comercial, de 138 mp, în Neptun
720.000 €
Timișoara, Neptun
138 mp utili
Casă/Vilă
1920
Spațiu comercial, 630 mp în Mircea cel Bătrân
750.000 €
Timișoara, Mircea cel Bătrân
630 mp utili
Centru comercial
1E
Birou, 585 mp în Simion Bărnuțiu
819.990 €
Timișoara, Simion Bărnuțiu
585 mp utili
Clădire de birouri
4E

Detalii de contact

LANDMARK imobiliare

Marius Luput Consultant Imobiliar

5.00(3 review-uri)

LANDMARK imobiliare
PRO

Abonează-te la newsletter să fii primul care primește cele mai noi recomandări de proprietăți și sfaturi de la experți.

CONTACT

Creează alertă

Salvează căutarea ca să primești pe email ultimele anunțuri publicate

Spații comerciale cu o cameră de vânzare în zona Aradului, Timișoara